카드
거제시 거제면 산달길 703 (산전경로당앞)
거제시 거제면 산달길 703 (산전경로당앞)





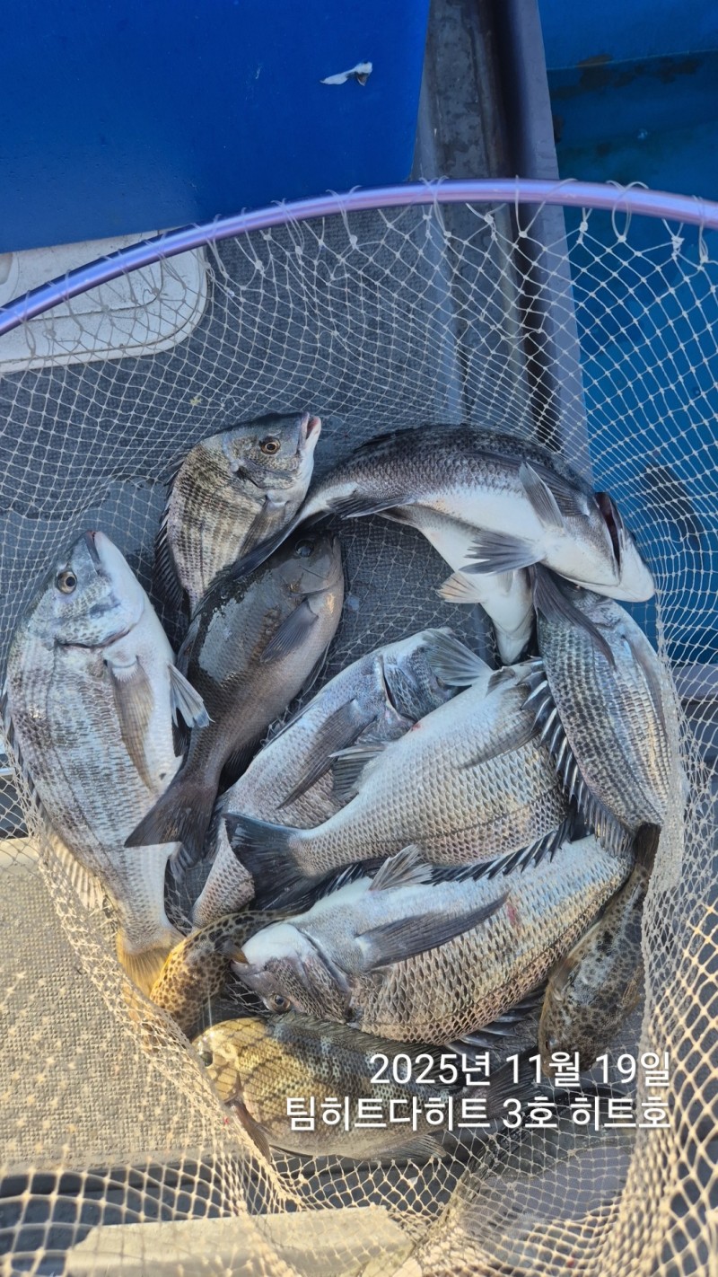
팀히트다히트 히트3호 실시간입니다.
사짜들부터 사짜급들 중치들까지
두분이서 손맛 찐하게 보고계십니다.
현재 스코어 5대3 공방중입니다.
그놈들 어제 바람통에 많이 시달렸는지 시원하게 가져갑니다.ㅎ
글쓰는중에 한마리 받았는데 부시리 땡기듯이 땡기네요 !
빠지면서 찌가 날라오다니 ㅡㅡ
내일도 여밭공략은 이곳에서 계속됩니다.
20일(목)예약가능합니다 .
팀히트다히트
예약문의: 010-4768-2554
●●●밴드가입하기●●●
https://band.us/@sandalhit
♧ 히트다히트는 10인실을 겸비한 게스트하우스를 직영 운영합니다.(선사 이용시 30% 할인적용)
♧ 2~3인실부터 15인 특실을 겸비한 펜션 예약가능(협력점)
ㆍ선사에서 2분거리
ㆍ선사 이용시 10%할인적용
♧ 게스트하우스/펜션 이용시 포장마차 이용가능(예약제)
ㆍ선사에 문의하시면 친절상담 해드립니다~
■■팀히트다히트 출조 안내■■
♤♤오시는곳 ♤♤
경남 거제시 거제면 산달길 703번지
(산전경로당 맞은편)
●히트다히트 1선단,2선단,3선단은 인공어초/자연초 흘림낚시 전문선사입니다●
● ☆ 1호선 4.99톤(더히트호) - 승선정원 12명
☆ 2호선 4.45톤(이연호) - 승선정원 11명
☆ 3호선 3.40톤(히트호)- 승선정원 9명
☆ 루어전용선 4.99톤(간달프호)-승선정원 12명
●주력어종●
○ 감성돔 10월 ~4월 말까지
○ 참돔/부시리 5월 ~ 11월 말까지
●선비안내●
○ 감성돔- 05시 ~ 14시전ㆍ후 11만
(독배는 출항/철수 조율가능)
○ 참돔/부시리- 05시 ~ 14시 전후 14만
(독배는 출항/철수 조율가능)
● 채비안내●
○감성돔 - 1호대/3000번 릴/기본 막대찌,구멍찌 (유선문의)
○ 참돔 - 1.5~3호대 /5000번릴(권유) / 원줄 5호 / 목줄 3~5호 (잠수찌,조수고무)
● 항상 승률높은 포인트에 1순위로 모시겠습니다.
●참돔흘림은 막대찌낚시는 하지않습니다.
(전층 무한흘림입니다)
● 집밥같은 점심을 제공해 드립니다 ●
[ ] ● 직영 독채펜션 최대10인실 운영합니다.
[ ] -독배 예약시 보다 저렴히 이용가능합니다.
● 제휴숙소(팬션-산달팬션 2인~단체가능)
- 히트다히트 이용시 할인 적용
- 출항지에서 5분거리
- 거제시 거제면 산달길
《출조시 주의사항》
● 출조시 신분증/구명조끼는 필히 지참해주세요
● 주류반입 및 음주행위는 절대 금지하셔야 됩니다
● 입금계좌 - 0010 4768 2554 수협(양인석)●
●출항지●
거제시 거제면 산달길 703 (산전경로당앞)
#히트다히트#히트다히트선단#더히트호#히트호#이연호#김선장#거제도#배낚시#거제도배낚시#거제도선상낚시#바다낚시#선상낚시#감성돔낚시#참돔낚시#흘림참돔
|
|
|
|

