카드
선착장- 경남 거제시 둔덕면 학산리 107-6 용진호
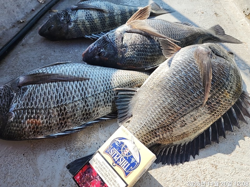
<감성돔선상> 실시간 4후 등등 굵직하고 사이즈 좋은 조황입니다!! 내일출조 예약 가능합니다
선착장- 경남 거제시 둔덕면 학산리 107-6 용진호
안녕하세요 거제 용진호입니다
-010.3587.8651-
겨울이 다가오면서 4후이상 사이즈들로 올라와 손맛이 좋습니다!
내일도 출조하여 예약 가능합니다
내일 21일(금요일) 출조 예약 가능
☆ 010.3587.8651 ☆


□ 거제용진호 밴드 : https://band.us/@gjmnfishing
◇감성돔 선상낚시 출조 ◇
☆21일(금요일) 거제도 선상낚시"예약가능"
☆22일(토요일) 거제도 선상낚시"예약가능"
☆23일(일요일) 거제도 선상낚시"예약가능"
- 독배 예약가능합니다.
- 토,일 미리 예약 가능합니다.
▨ 거제용진호 ☎ 010.3587.8651
(선착장) 거제시 둔덕면 학산리 107-6
- 예약계좌 (수협) 2020 4196 1837 예금주 :오화택 선장
▩ "감성돔 흘림낚시" 안내 ▩
(주말/종일 운영)
- 선비 11만원
- 오전낚시는 전화로 문의.
- 밑밥, 미끼 포함 (종일 주말은 점심식사제공, 음료, 생수 제공)
- 어초, 어장포인트 다양한 포인트 보유하고 있습니다.
<용진호 이용시 유의 사항>
- 신분증은 필해 지참해야 하며, 배에서 음주행위는 법으로 금지.
- 구명조끼는필수 지참이며 없을 경우, 무료로 대여 해드립니다
▨ 용진호 ☎ 010.3587.8651
(선착장) 거제시 둔덕면 학산리 107-6
- 예약계좌 (수협) 2020 4196 1837 예금주 :오화택 선장
#감성돔낚시, #감성돔조황, #거제감성돔, #거제선상낚시, #감성돔흘림낚시, #선상흘림, #감성돔선상낚시, #거제도내만조황 #거제용진호
|
|
|
|

