어초 감성돔 흘림..

신상품 소개


회원 랭킹


공지사항


NaverBand
점주/선장 > 선상 + 좌대 조황

어초 감성돔 흘림..

통영드림피싱 0 59
● 출항지 : 통영
b6ec02ccf4112f982f13472ba327eb53.jpg
#선사조황
#드림피싱 
#01089192884
#감성돔흘림
#무늬오징어팁런
#뽈락루어
#한치#탈치텐빈,텐야
반갑습니다
통영 견유항에 위치한 4.99톤 23년신조선 승선정원 12명 선상전용선 입니다.
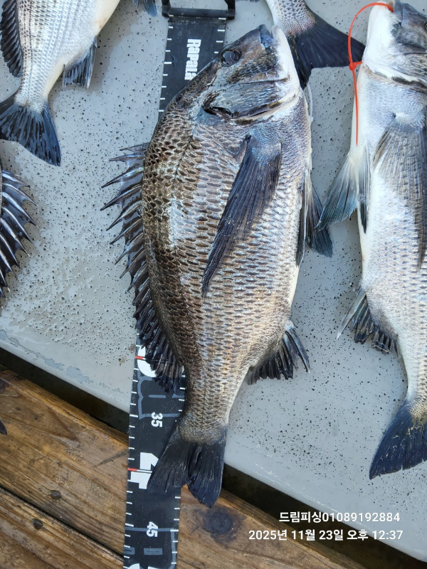
일요일 6분 모시고 어초 감성돔 다녀왔습니다..
이번 물때는 조류가 복잡하게 움직이네요..
복잡한 조류로 몇번의아동후 2번의 터트림이있었고 4짜,4짜4짜외...몇마리 얼굴을 볼수 있었습니다..

BandPhoto_2025_11_23_15_20_19_3.jpg


BandPhoto_2025_11_23_15_20_19_2.jpg


BandPhoto_2025_11_23_15_20_19_4.jpg

 

월요일은 닷정비와 개인적인일로 휴항..
화요일은 기상채크가 필요합니다..
수요일....대물자리로 직항합니다..
3분 예약중입니다...
목요일부터 주말 예약 가능합니다...

주중 ..05시 출항
주말..04시출항합니다...

잡어가 많이 설치네요...대체미끼 필요합니다...


주중,주말...감성돔 흘림 예약중입니다..
본격적인 어초,여밭 감성돔 시즌을 시작합니다....

같이하실분 연락 주세요...



4분이상 무조건출항합니다..
☆♥신분증지참 필수☆
☆♥주류반입 절대금지☆..출항후 적발시 즉시철수합니다.

♥♥통영드림피싱 밴드 검색하시면 많은정보 보실수 있습니다.♥♥
♥입금계좌 수협 2020 4557 7248 홍순호 입니다.
♥출조문의..010 8919 2884♥
♥배타는곳.. 통영시 용남면 견유2길 39번지 입니다.
지번주소...통영시 용남면 장평리 423-3번지입니다.



*** 통영 드림호 예약 안내 ***


예약문의 : 010-8919-2884

오시는길 : 경남 통영시 용남면 견유2길 39
홈페이지 : https://tydream.sunsang24.com/

모바일.jpg

blank.png1


  • 페이스북으로 보내기
  • 트위터로 보내기
  • 구글플러스로 보내기
  • 카카오스토리로 보내기
  • 네이버밴드로 보내기
  • 네이버로 보내기
  • 텀블러로 보내기
  • 핀터레스트로 보내기
0 댓글
포토 제목
 
 

인낚 최신글


인낚 최신댓글


온라인 문의 안내


월~금 : 9:00 ~ 18:00
토/일/공휴일 휴무
점심시간 : 12:00 ~ 13:00