네임
카드
카드
신일레져
경남 통영시 도산면
저산유촌길 171
010-5001-1384
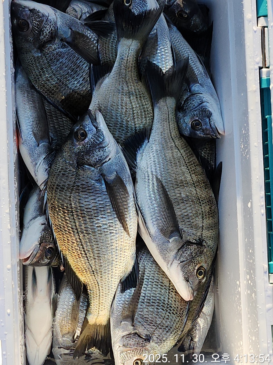
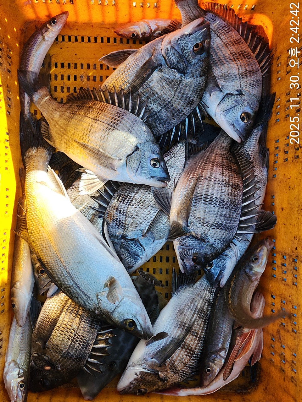
유촌 신일레져_감성돔 조황입니다
경남 통영시 도산면
저산유촌길 171
유촌 신일레져 선외기 조황입니다.
오늘 감성돔 조황은 차이는 있지만
모두 손맛 보셨습니다
주중 선외기 여유 있습니다.
감생이 손맛보러 오세요
날씨가 쌀쌀해졌습니다.
채비 따뜻하게 하시고 감기 조심하세요~
















산뜻한새벽출조를위해가급적
늦은밤통화는조금만자제부탁드립니다^^
(예약문의는저녁9시전에전화주세요~!!!)
# 선상 음주 절대불가입니다.
주류는 가져오지 마세요
|
|
|
|

