카드
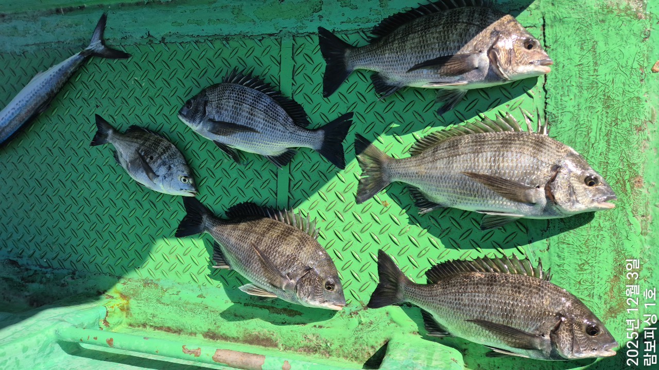
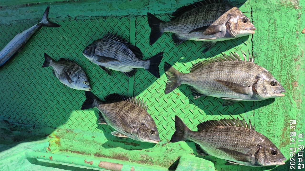
《대물감성돔 어초흘림》안좋은 기상속에도 얼굴을 보여주네요
안녕하십니까 람보피싱 권선장 입니다
금일 어초.여밭에서 원줄 줄줄줄 흘리고 왔습니다
안좋은 날씨속에도 감성돔 얼굴을 보여줍니다
몇방 터지고 빠지네요ㅠ
람보피싱을 찾아주신 조사님 감사드립니다
항상 최선을다해 노력하는 람보피싱 되었습니다
감사드립니다
낼도 당찬 손맛 보실분 연락주세요
※ 공휴일과 주말 예약은 서둘러 예약하시면 승율포인트로 우선 진입.
▦ 람보피싱 (참돔/감성돔낚시 전용선 체제)
(출조 문의) ☎010.8387.0331 (부재시) ☎010.9046.1156
(출항지 주소) 경남 거제시 거제면 법동리 1056번지
▶람보피싱 밴드 : https://band.us/@zzxx6954
▦ 참돔낚시 먼바다 어초 흘림낚시 안내 ▦
(출조 시기) 5월 부터 10월까지.(14만원)
(오전낚시) 새벽부터 13時 까지 (유동적)
(오후낚시) 13時부터 일몰까지 (3명부터 출조 운영)
- 도시락, 생수, 밑밥, 미끼 커피
▦ 거제도 감성돔 선상(흘림)낚시 출조 ▦(시즌오프)
(출조 시기) 11월부터 6월 까지.
(종일/흘림낚시) 새벽 5시 출발 오후 2시 까지
- 도시락, 생수, 밑밥, 미끼 커피 (11만원)
(종일/카고낚시) 새벽부터 오후 2시 까지
- 도시락, 생수, 밑밥, 미끼 커피 (11만원)
▶ 어초/여밭 감성돔낚시는 11월부터 4월 까지 (종일낚시만 운영).
<참돔낚시 채비>
(낚 시 대) 1.5호대부터 2호대 까지 사용.
(릴-Reel) 5000번, 원줄 5호, 목줄 3~5호 정도.
(찌-Float) 잠수찌 -2B, -3B 사용
※ 참돔낚시에는 막대찌 채비를 사용하지 않고, 참돔 기본 채비만 운용.
▦ 람보피싱 이용 안내 ▦
▶ 기상만 허락되면 1명 조사님이라도 매일 매일 출조합니다.
▶ 포인트는 수년간 가장 승율높은 포인트만을 선별해서 진입합니다.
▶ 찾아 주신 조사님들께 손맛 보실 수 있도록 최선을 다하겠습니다.
▶ 람보 피싱은 베테랑 선장 구성 (5선단으로 운영).
▶ 먼 바다 참돔 출조는 3명 이상 되면 출조합니다
◐ 협력 숙박시설 ◐
산애수펜션 ☎ 010-8548-2366 (람보피싱 선단 출항지 5분 거리 위치)
경남 거제시 둔덕면 거제남서로 4658
◐ 주의 사항 ◐
▶신분증(주민증 또는 운전면허증) 지참은 필수입니다.
▶주류 반입 및 음주 행위 금지와 구명복 착용은 필히 준수해야 합니다.
▦ 람보피싱 (참돔/감성돔낚시 전용선 체제)
(출조 문의) ☎010.8387.0331 (부재시) ☎010.9046.1156
(출항지 주소) 경남 거제시 거제면 법동리 1056번지
▶람보피싱 밴드 : https://band.us/@zzxx6954
(예약 계좌번호) 수협 0010-8541-0331 예금주:권영효
|
|
|
|





