감성돔(대박 실시간) 퍼~담고~깔렸습니다~야호 어초여밭(5일 예약)

신상품 소개


회원 랭킹


공지사항


NaverBand
점주/선장 > 선상 + 좌대 조황

감성돔(대박 실시간) 퍼~담고~깔렸습니다~야호 어초여밭(5일 예약)

거제야호 0 133
● 출항지 : 거제 ● 출조지 : 통영
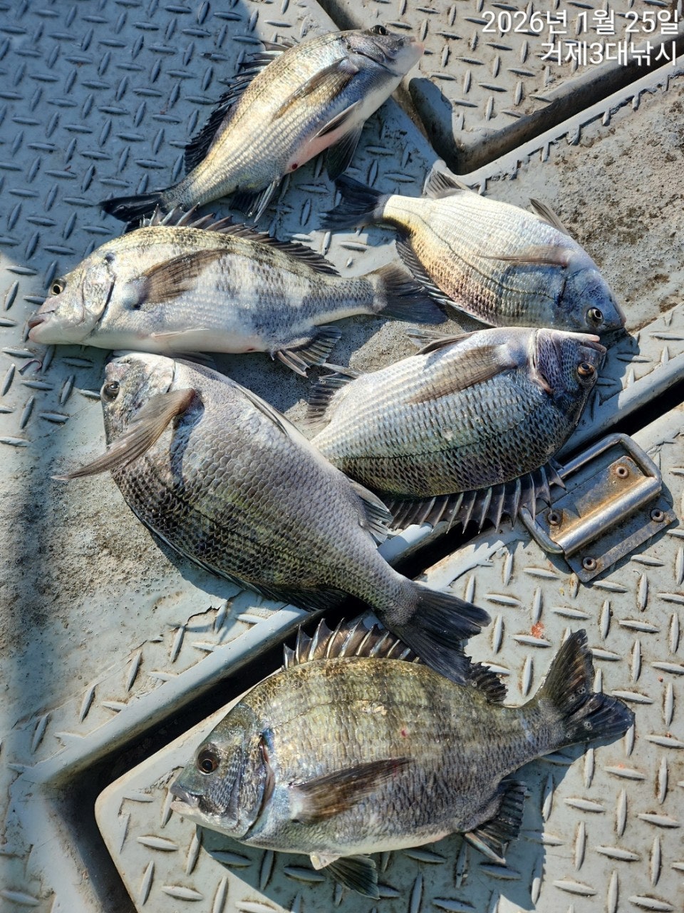
어초여밭 감성돔 사이즈+마리수 폭팔!!!!
12월 4일(목요일) 어초여밭 감성돔 흘림낚시 "야호" (실시간) 조황입니다.
※ 예약(03시 출발 ~ 13시 까지(유동적)) ☎010-6400-2082로 문의 해 주세요.

☆5일(금) 감성돔 흘림 선외기대여 "예약가능"
(5일 8물, 간조: 14:38 만조: 08:44)
감성돔(대박 실시간) 퍼~담고~깔렸습니다
어초여밭에 빵 좋은 감성돔 군단이 입성했습니다~
  • 사용자가 올린 이미지

야호 어초 여밭 감성돔 흘림 조황입니다.
오늘도 겨울시즌, 대물들이 지나는 길목에 위치한 어초여밭으로 직항, 역시~
밑밥이 들어가기 무섭게 시작되는 바람을 가르는 챔질 소리~ 이어지는 녀석들과
한판승부에 현재시간, 빵좋고 힘좋은 감성돔 4짜와 중치급들 마릿수 퍼담는
중입니다. 날이 많이 쌀쌀해졌습니다. 체온을 유지 할 수 있는 방한복을 꼭 준비
해서 따뜻하게 낚시를 즐기시길 바랍니다.

12월 5일(금요일) 감성돔낚시 선외기대여 예약 가능합니다.
거제 아지랑 최첨단 신조선 "야호"가 안전하고 풍족하게 가이드하겠습니다.

▣ "야호" 거제 아지랑 마을 출발 출조 일정 안내 ▣
☆ 5일(금요일) 감성돔낚시 참돔 선외기 대여 "예약가능"
☆ 6일(토요일) 감성돔낚시 참돔 선외기 대여 "예약가능"
☆ 7일(일요일) 감성돔낚시 참돔 선외기 대여 "예약가능"
☆ 8일(월요일) 감성돔낚시 참돔 선외기 대여 "예약가능"
☆ 9일(화요일) 감성돔낚시 참돔 선외기 대여 "예약가능"
※ 주말 공휴일은 미리 미리 예약을 해 주시길 바랍니다.
※ 낚시장비가 필요하신 분들은 임대 해 드립니다. 예약시 꼭 알려 주세요.

▦ 거제 야호 ☎ 예약문의☎ 010-6537-2082
ㅁ선상낚시 (민박) 문의 : ☎ 010-6400-2082 / ☎010-4547-3937
※ (오전 6시부터 12시까지 010-6400-2082로 예약 바랍니다)
ㅁ선외기 문의 : ☎ 010-6400-2082
(출항지) 거제시 거제면 법동리 1074번지 아지랑경로당 방파제
ㅁ 거제 야호 밴드 : https://band.us/@yahoboat
  • 사용자가 올린 이미지
  • 사용자가 올린 이미지
  • 사용자가 올린 이미지
  • 사용자가 올린 이미지
  • 사용자가 올린 이미지
  • 사용자가 올린 이미지
▣생활낚시 & 낚시체험 ▣
- 몸만 오시면 됩니다.
- 낚싯대, 장비일절제공, 구명복 제공

■ 주변 제휴 민박집 ■
아지랑 민박(단체-독채) ☎010-6400-2082
해송굴구이민박 (단체) ☎010-2545-3755
거제 대어낚시 주변 파라스파찜질방 검색하시면 됩니다.

★안전 주의 사항★
- 거제대어낚시 선단 이용시, 안전한 낚시를 위해 선착장 통로 이용시 미끌림을
주의 해 주시길 바랍니다. 통로 좌우에 있는 핸들을 잡고 이동하시면 안전합니다.
- 선착장도착전, 배에서 미리 내리지 마시고, 배가 정박하고, 로프를 묶은 뒤에
하선해 주시길 바랍니다.

▦ 거제 야호 ☎ 예약문의☎ 010-6537-2082
ㅁ선상낚시 (민박) 문의 : ☎ 010-6400-2082 / ☎010-4547-3937
※ (오전 6시부터 12시까지 010-6400-2082로 예약 바랍니다)
ㅁ선외기 문의 : ☎ 010-6400-2082
ㅁ 거제 야호 밴드 : https://band.us/@yahoboat
(출항지) 거제시 거제면 법동리 1074번지 "아지랑경로당 방파제" 출발.
(사무실) 거제시 거제면 서정리 746-3(GS25시편의점)검색하시면 바로 옆 위치
  • 사용자가 올린 이미지

, , , , , , , , , , , , , , , , , , , , , , , , , , , , , , , , , , , , , , , , , , ,

  • 페이스북으로 보내기
  • 트위터로 보내기
  • 구글플러스로 보내기
  • 카카오스토리로 보내기
  • 네이버밴드로 보내기
  • 네이버로 보내기
  • 텀블러로 보내기
  • 핀터레스트로 보내기
0 댓글
포토 제목
 
 

인낚 최신글


인낚 최신댓글


온라인 문의 안내


월~금 : 9:00 ~ 18:00
토/일/공휴일 휴무
점심시간 : 12:00 ~ 13:00