에이스 감성돔 ~^^

신상품 소개


회원 랭킹


공지사항


NaverBand
점주/선장 > 선상 + 좌대 조황

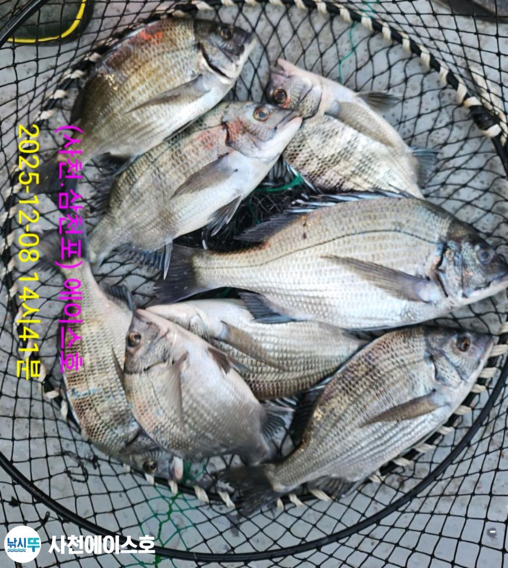
에이스 감성돔 ~^^

피싱에이스호 0 130
● 출항지 : 사천 ● 출조지 : 사천
F28274830J.jpg낚시뚜에서 인낚으로 보내는 자동조황
top01.png

사천에이스호

top02.png
최강 삼천포 에이스피싱 입니다
감성돔 찌낚시 연일 마릿수 조황
이어가고 있습니다
계속해서 감성돔낚시 이어가며
아래 예약현황 확인후 예약주세요
· 출조일시2025-12-08(월)
· 출조인원6명
· 어종감성돔

삼천포 팔포항 에이스호

에 / 이 / 스 / 피 / 싱

문의 : 010-4844-4888


새롭게 업그레이드 됐어요~

22명 정원을 18명으로 줄여 편안하고 럭셔리한 출조가능


저희 에이스피싱은 기상이변이 없는한

매일 출항하고 있습니다.

best of best ace fishing

안타본 사람은 있어도 한번 타본 사람은 없는

에이스피싱으로 믿고 오세요.

최강 삼천포 에이스피싱 입니다
감성돔 찌낚시 연일 마릿수 조황
이어가고 있습니다
계속해서 감성돔낚시 이어가며
아래 "예약현황" 확인하시고 예약주세요

■ 제발 갯바위 신발은 신고오시지 마세요
부탁 드립니다 ■

● 내일부터 쭈욱 자리여유 많아요 ●

내일 화= 감성돔 4자리 여유
수= 감성돔 8자리 여유
목= 감성돔 8자리 여유
금= 감성돔 8자리 여유

■ 예약및문의전화:010-4844-4888 ■

(에이스 감성돔 찌낚시는)
(10톤급으로 최대 9홉분만 모십니다 ~^^)
● 밑밥+미끼2/1 + 간단한 점심+
생수.냉.온커피 포함=10만원 입니다

■ 자리는 선착순 입니다 (갯바위(핀)신발 사절)
■ 즐기실 준비되신 조사님들 언제나 환영합니다

● 평일에 오시면 여유로운낚시 즐기실수 있습니다
●네분이상 출조하며 인원미달시
협력선단으로 연결시켜 드립니다●

■ 10.11.12 쭈욱 돌문어.쭈꾸미.감성돔 예약중
■ 월중 비어 있는날엔(출조현황란에 예약중)
선예약 하신분 어종으로 출조합니다.독배환영 ■
( 감성돔 장비대여 가능 )

■ 낚시는 힐링입니다
쉬엄쉬엄 하시다보면 드실만큼은 충분해요
욕심은 두시고 어복만 챙겨오세요 ■

● 네비주소(배위치)와 입금계좌는
통화종료후 자동으로 문자발송 됩니다 ●

■ 예약및문의전화: 010-4844-4888 ■

●■예약및 문의사항은
선장:010-4844-4888 번으로 예약해 주시고
예약시 처음오시는분은 출조일과 성함을문자로
문자로 남겨주세요 (입금 부탁드립니다)
■ 모든어종 독배환영=(선비협의) ■
● 문의사항은 전화주세요 ●
《 선장: 010-4844-4888 》

■ 2024년 새롭게 업그레이드된
"최강 에이스피싱"
최신 전자장비와 깨끗한 수세식 화장실및
냉.난방시설과 냉.온수기. 커피포트.냉동고및
스팽커까지.낚시활동에 불편함을 최소화한
허리형 평창식 구명조끼 비취 (승객보험은 기본이죠)
그리고 여러분의 안전과 좀더
나은 조황을위해 괞잖은 선장이 배질에
최선을 다하고 있습니다
널 처음같은 마음으로 조사님들과 함께 합니다

●■잊지말고
신분증은 꼭 챙겨오세요■●

■ 낚시자리 배정은 (선착순)이며
두분이상 일행분들은 조율후 나란히 낚시할수
있도록 조정해 드립니다

노약자나 몸이 불편한분은 미리 말씀주시면 조율해서 편한자리로 모시겠습니다)

●낚시가 서툴러도 찾아주시면 최선을 다해
가이드 해 드리니 걱정마시고 오세요 ●

●■ 꼭좀 지켜주세요 ●■
● 선상낚시 오실때
갯바위 신발(핀.스파이크 = 승선불가) 은 두시고
편안한 신발로 신고 오세요(슬리퍼 가능)

■ 선사 제공 ■
(※출조시 간단한 식사및 냉.온커피.생수 무한제공)

■제발 쿨러에 얼린 (생수.P.T)넣어오세요
고기들이 너무 좋아 합니다 ~^^

■● 년간 어종별 출조표 ●■
■ 7월~ 12월 돌문어 출조
■ 10월~2월 쭈꾸미 출조
■ 10월 물때좋은 (12물~5물) 돌문어및 쭈꾸미 출조
(조류가 살아나는 5물~11물 감성돔 출조
■ 돌문어(5월24일~7월8일)•지역별 편차 있습니다

● 독배예약시 물때 상관없이 원하는어종 출조
《 물때에따라 유동적이니 문의 바랍니다 》

● ■ 선비 환불 조건 ■ ●
1. 기상악화로 출조 못할시 100% 환불처리
2. 예약 3일전까지 100%환불
3. 예약 2.1. 당일 환불불가

■ 밴드 공지사항 ■
에이스피싱에 관한 정보는 아래 밴드에 오시면
자세히 알수 있으며 밴드 가입시 "본인사진및
거주지역.성함.출생년도를 함께 올려주셔야
가입이 가능 합니다 (예:홍길동.서울.1970)

●광고성 게시물 올리시면 삭제및 강퇴 됩니다●

■ 그럼 아래 밴드주소를 클릭해주세요 ■)
https://band.us/@ace1
 
F28274830J.jpgF2827482OD.jpgF2827481AU.jpgF2827480EC.jpgF28274793H.jpgF2827478M3.jpg

20170620.221118.383.M0009623EK.jpg

사천에이스피싱 지난 조황 보기 - Click~!!

빠르고 편한 홈페이지 예약 및 현황 보기 - 클릭~! 클릭~!!

네비주소 :사천시 팔포3길 56-52 수협냉동창고앞

예약문의

01048444888

농협

845010-52-042861

장호식

F0141323T7.jpg

사천에이스호

장호식 선장

F2414044OZ.jpg
항구명 삼천포 팔포항
승선인원 17명
출조점명 사천에이스호
배 타는 곳

홈페이지 바로가기 Click

낚시뚜
▶ 지켜주세요! ◀

- 당일 조황을 올리셔야 합니다.
- 지난 조황은 2일이내 미등록 조황만 가능합니다.
- 이미 올린 조황을 붙여넣기하여 계속 등재하시면 중복조황에 해당합니다.
- 당일 조황을 올리면서 이전 조황을 같이 올리면 중복조황에 해당합니다.
- 조황없는 출조정보는 출조정보 게시판을 이용하시길 바랍니다.
- 올린 글 삭제하고 다시 올려 상단에 올리려는 방법, 이용규칙 위반입니다.
- 제목에 특수문자 사용하시면 안됩니다. (온점, 쉼표, 느낌표, 괄호, 물결만 허용)

☆ 공지사항에 '조황등재시 유의사항' 게시글을 꼭 확인하시고 조황작성 부탁드리며, 가장 기본적인
규칙이 지켜지지 않을 시 예고없이 글 삭제 및 이용정지 될 수 있음을 알려드립니다.

  • 페이스북으로 보내기
  • 트위터로 보내기
  • 구글플러스로 보내기
  • 카카오스토리로 보내기
  • 네이버밴드로 보내기
  • 네이버로 보내기
  • 텀블러로 보내기
  • 핀터레스트로 보내기
0 댓글
포토 제목
 
 

인낚 최신글


인낚 최신댓글


온라인 문의 안내


월~금 : 9:00 ~ 18:00
토/일/공휴일 휴무
점심시간 : 12:00 ~ 13:00