네임
카드
카드
혜인호
창원시 마산합포구 진전면 회진로 1480
010-9234-1490
010-2858-3779
창원시 마산합포구 진전면 회진로 1480
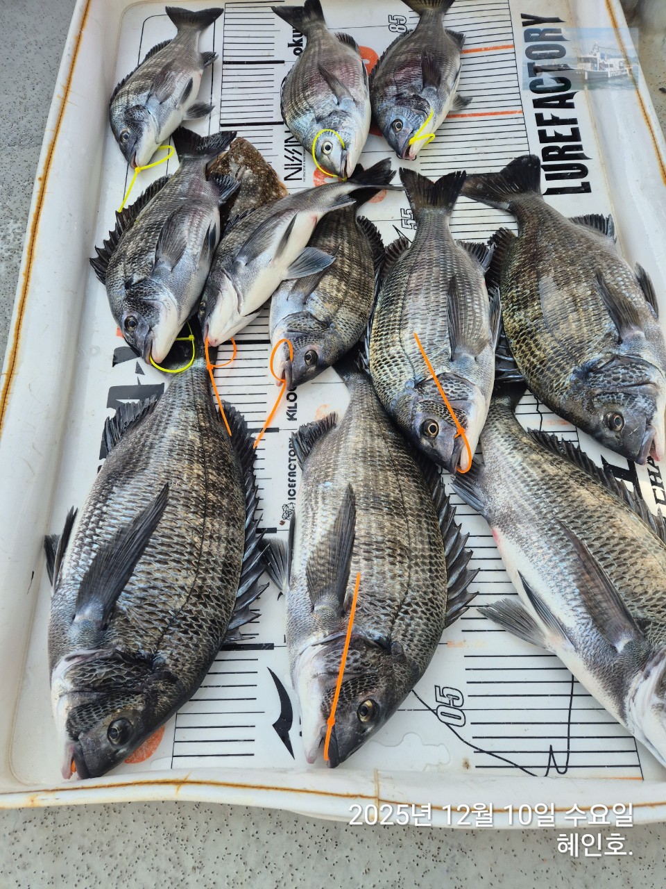
#감성돔
12월 10일 어초여밭흘림 조황 입니다
고기가 이제 좀 붙은것 같네요
주말은 토요일만 출조가 가능할것같습니다
미리 예약받습니다
※ 감성돔 이벤트중(밴드회원만)
(밴드가입 가입하면 자세한 이벤트, 조황 출조공지 등 확인가능하세요)
출조계흭
12월 12일 금요일 기상확인
12월 13일 토요일 예약가능
12월 14일 일요일 기상확인
예약 문의 전화
선장님 010. 9234. 1490
부재시 010. 2858. 3779
◐◐ 창원 혜인피싱 밴드 바로가기 ◐◐
<감성돔 출조 정보>
- 이수도, 외포권, 한산권 (11만원)
- 거제남부권, 홍포, 여차권(12만원)
- 출항 5시~6시, 14~15시 철수
- 자리 추첨 (4인이상 우선권)/연박출조 우선권
- 밑밥, 크릴, 개인도시락, 컵라면, 음료수,커피,물제공
- 카고X , 오로지 어초, 여밭 흘림 낚시만 합니다.
♤ 고기가 나오는 곳이면 통영, 거제남부권까지갑니다
ㆍ정박지 창원/진주에서 30~40분내 도착 가능
서마산IC 30분내, 마창대교출구 10분내 도착
통로가 넓어서 정원 탑승해도 편하게 낚시 가능
♧ 오시는길
창원시 마산합포구 진전면 회진로 1480(이창수산물판매장)
(창원, 진주, 서마산IC 에서 배타는 곳까지 30분)
|
|
|
|





