(어초여밭)대물 감성돔 집중 출조~4짜전후 손맛~가고파호(15일 예약)

신상품 소개


회원 랭킹


공지사항


NaverBand
점주/선장 > 선상 + 좌대 조황

(어초여밭)대물 감성돔 집중 출조~4짜전후 손맛~가고파호(15일 예약)

거제가고파 0 70
● 출항지 : 거제 ● 출조지 : 거제
홈페이지 밴드 바로가기
어초여밭 굵은 감성돔떼 진입완료~
14일(일요일) 거제 학산마을 출발, 어초 감성돔낚시 "가고파호" (철수)핫조황입니다.
※ 53Cm대물,아지카 최상급라인 증정/주차하고 선착장까지 바로 연결.

☆15일(월)거제 대물 감성돔,종일 흘림"예약가능"
(감성돔)어초여밭 집중 출조~4짜 4짜급 욱씬 손맛~
  • 사용자가 올린 이미지

거제도 학산마을 출발, 감성돔 전문 출조점 가고파호입니다.
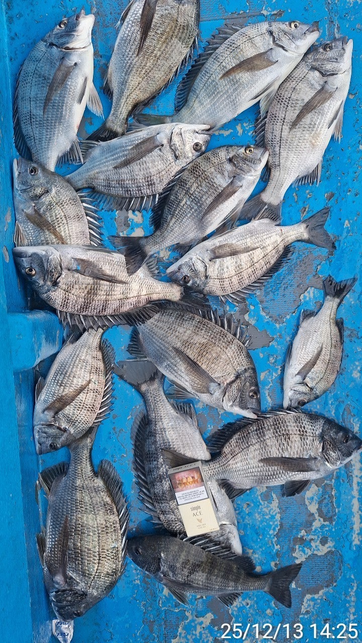
어초여밭 씨알 좋은 감성돔 소식입니다~ 굵직한 4짜 외 4짜급들로
손맛 즐겼고 강한 바람에 공략이 쉽진 않았지만 따박 따박 이어지는
입질에 집중력 있게 낚시 즐기고 마무리 합니다. 다음주 좋은 물때
구간 좋은 기상이 예보되어 있으니 대물들이 움직이기 적합한 시기로
보입니다 대물을 노리며 출조하니 함께하실 분들 연락주십시오~

15일(월요일)부터 거제 출발 감성돔 흘림낚시 예약 가능합니다.
오늘도 거제 가고파호와 함께해주신 조사님들 수고 많으셨습니다.

▣ 가고파호 어초여밭 감성돔낚시 일정 안내 ▣
☆15일(월요일) 거제 대물감성돔 공략, 종일 흘림낚시 "예약가능"
☆16일(화요일) 거제 대물감성돔 공략, 종일 흘림낚시 "예약가능"
☆17일(수요일) 거제 대물감성돔 공략, 종일 흘림낚시 "예약가능"
☆18일(목요일) 거제 대물감성돔 공략, 종일 흘림낚시 "예약가능"
☆19일(금요일) 거제 대물감성돔 공략, 종일 흘림낚시 "예약가능"
- 주중, 주말 예약 가능합니다.

▩ 가고파호(선상) ☎ 010 8553 7868
▩ 가고파호 밴드 http://band.us/@gagopaho
▩ 주소 :거제시 둔덕면 학산3길 81 (舊주소:둔덕면 학산리 109번지)
  • 사용자가 올린 이미지
  • 사용자가 올린 이미지
(가고파호만의 특급 선상 식사가 준비됩니다~)
  • 사용자가 올린 이미지
(13일 마릿수 조황 첨부합니다~)
  • 사용자가 올린 이미지
  • 사용자가 올린 이미지
  • 사용자가 올린 이미지
▩감성돔 선상 흘림 낚시 안내 ▩
(출조 시간) 05시 ~ 14시 철수 (유동적) 11만원
- 생수,커피,라면,초장등, 낚시장비만 가지고 오세요

▩돌문어 출조 시간 및 선비 안내 ▩
(평일 종일) 05:00~14:00 전후,
- 문어라면 제공,음료, 생수 제공합니다.
- 가족팀/회사팀/동호회팀은 독배 상시 예약가능.
※ 낚시장비(무료) 대여 가능, 구명복 필요하신 분은 예약 시 전달 요청.

▩ 가고파호(선상) ☎ 010 8553 7868
▩ 가고파호 밴드 http://band.us/@gagopaho
▩ 주소 :거제시 둔덕면 학산3길 81 (舊주소:둔덕면 학산리 109번지)
  • 사용자가 올린 이미지

, , , , , , , , , , , , , , , , ,

  • 페이스북으로 보내기
  • 트위터로 보내기
  • 구글플러스로 보내기
  • 카카오스토리로 보내기
  • 네이버밴드로 보내기
  • 네이버로 보내기
  • 텀블러로 보내기
  • 핀터레스트로 보내기
0 댓글
포토 제목
 
 

인낚 최신글


인낚 최신댓글


온라인 문의 안내


월~금 : 9:00 ~ 18:00
토/일/공휴일 휴무
점심시간 : 12:00 ~ 13:00