(감성돔)5짜 대물 외 4짜4짜4짜4짜 탱크들~대양호(18일 예약)

신상품 소개


회원 랭킹


공지사항


NaverBand
점주/선장 > 선상 + 좌대 조황

(감성돔)5짜 대물 외 4짜4짜4짜4짜 탱크들~대양호(18일 예약)

통영대양호국치마을 0 80
● 출항지 : 통영 ● 출조지 : 통영
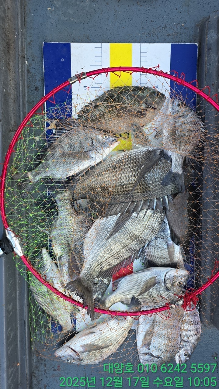
5짜 4짜4짜4짜4짜 대물 감성돔 진입~!!!
17일(수요일) 주간 통영 감성돔 흘림낚시 "대양호" (철수) 핫조황입니다.
▣ 대양호 출조현황 ▶ https://band.us/band/82143442/post/3769

☆18일(목요일) 주간 대박POINT 감성돔 흘림낚시 "예약가능"
(감성돔)5짜 대물 외 4짜4짜4짜4짜 굵은놈들 진입~
대형 주차장 주차, 바로 승선하는 편리한 시스템!!! 대양호.
  • 사용자가 올린 이미지

통영 국치마을 대양호입니다.
통영권 어초 씨알 좋은 감성돔들이 드디어 진입을 완료한 듯
합니다~ 5짜 대물 감성돔을 체포하신 조사님 축하드리고 5짜 외
4짜 4짜 4짜 4짜 덩치들로 마릿수 손맛 즐길 수 있었습니다.
12월 대물의 확률이 높은 시기답게 덩치를 키운 녀석들이 포인트로
진입했네요 이번주 쭉 좋은 물때 구간 속 대물을 노리며 달립니다.
함께하실 분들 연락주십시오~

18일(목요일) 주간 통영권 감성돔 흘림낚시 예약 가능합니다.
오늘도 통영 대양호와 함께해주신 조사님들 수고 많으셨습니다.

▣ 대양호 출조 일정 안내 ▣ 기상만 좋으면 상시 출조!!!
▣ 대양호 출조안내 ▶ https://band.us/band/82143442/post/3867
☆18일(목요일) 주간 통영권 감성돔 흘림낚시 "예약가능"
☆19일(금요일) 주간 통영권 감성돔 흘림낚시 "예약가능"
☆20일(토요일) 주간 통영권 감성돔 흘림낚시 "예약가능"
☆21일(일요일) 주간 통영권 감성돔 흘림낚시 "예약가능"
☆22일(월요일) 주간 통영권 감성돔 흘림낚시 "예약가능"
☆23일(화요일) 주간 통영권 감성돔 흘림낚시 "예약가능"
※ 낚시체험 신청한분들 예약전 인원을 꼭~전달해주세요~(장비/구명복 대여)

★대양호 ☎ 010-6242-5597010 7375-7195
▩ 대양호 밴드 https://band.us/@daeyangho
(대주차장, 전용휴계실 운영)
▩ 통영 문어삼촌들 밴드 https://band.us/@tyds
(출항지) 통영시 인평동 506 (국치 2길 61)
  • 사용자가 올린 이미지
  • 사용자가 올린 이미지
  • 사용자가 올린 이미지
  • 사용자가 올린 이미지
  • 사용자가 올린 이미지
  • 사용자가 올린 이미지
▣ 대양호 통영/거제권 감성돔낚시 안내 ▣
- 12월 쭈욱 달립니다.

대양호 통영/거제권 주간(돌문어) 안내 ▣
평일(원도권) 주간 전투낚시 (최고의 핫한 포인트로 진입)
(시간) 6시 출발 ~ 입항 오후 3시 30까지(유동적) (원도권 10만원)
- 생수, 캔커피, 도시락제공
평일(야간) 돌문어낚시
(시간) 오후 5시 ~ 11시 철수

▣ 대양호 무늬오징어 팁런 안내 ▣
(월 화 수 목 일요일)
- 야간 팁런은 저녁 6시 출발~ 익일 새벽 1시까지 운영 (선비 9만원)
(금요일, 토요일) 야간 무늬오징어 팁런 전투낚시
- 오후 6시 출발~ 익일 새벽 3시까지 운영 (선비 12만원)
- 김밥,사발면, 커피 제공

▣▣ 문어체험낚시 (가족팀/단체팀 전문) ▣▣ "몸만 오십시요"
※ 낚싯대+릴+구명복 장비 (유상 1만원 대여 가능) 에기, 봉돌만 개인 준비

▧ 협력 숙박시설 이용 안내 ▧
- 고고 선단배에 한해 숙박료 10% 상시 할인 적용중입니다.
1) 마티스비치 스파펜션 ☎010-2361-3710 /통영시 국치1길 52-24
- 객실료의 10%할인 적용.
2) 바다52 스파 펜션 ☎010-4049-7873 / 통영시 국치1길 52-20
- 객실료의 10%할인 적용.

▣ 대양호 협력 선단 운영 ▣ 동일포인트 진입!
개인부터 단체까지 수용이 가능한 선단 구성입니다.
1) 6톤~12인승(두족류 전문)
2) 4.99톤~12인승(두족류전문)
3) 4.05톤~12인승(두족류.생활낚시)
★풍부한 포인트 관리로 항상 최선을 다하는 선단을 운영중입니다.

★예약 필수 - 입금확인시에만 "예약으로 확정"
전화상으로 예약은 예약 완료가 아닙니다. 다른 곳과 조황을 비교하면서
예약만 해두면 다른 조사님들이 그 피해를 볼 수 있습니다. 예약 취소는
비용 지출은 물론, 다른 분들의 즐거움을 망치는 행동으로 대양호에서는
절대 근절합니다.
★ 선내 구명복 미착용 및 음주 반입 행위는 법적인 책임을 질 수 있습니다.

★대양호 ☎ 010-6242-5597010 7375-7195
▩ 대양호 밴드 https://band.us/@daeyangho (대주차장, 전용휴계실 운영)
▩ 통영 문어삼촌들 밴드 https://band.us/@tyds
(출항지) 통영시 인평동 506 (국치 2길 61)
★예약계좌 ; 수협 0010-6242-5597 (예금주) 권득식
  • 사용자가 올린 이미지

, , , , , , , , , , , , , , , , , , , , , , , , , , , , , , , , , ,

  • 페이스북으로 보내기
  • 트위터로 보내기
  • 구글플러스로 보내기
  • 카카오스토리로 보내기
  • 네이버밴드로 보내기
  • 네이버로 보내기
  • 텀블러로 보내기
  • 핀터레스트로 보내기
0 댓글
포토 제목
 
 

인낚 최신글


인낚 최신댓글


온라인 문의 안내


월~금 : 9:00 ~ 18:00
토/일/공휴일 휴무
점심시간 : 12:00 ~ 13:00