“12/28 감성돔 카고 조황(feat5짜)”
12월 29일(월)
인낚 현재접속자
4,206명 (
336
)
공지사항
인낚도서관
점주선장전용 공지사항
로그인
광고/제휴 문의
운영진에게
인낚ㅣ인터넷바다낚시
0
어종별선상
어종별갯바위
낚시인조황
점주선장조황
출조정보
낚시광장
낚시지식인
낚시교실
중고장터
휴게실
인낚도서관
인낚몰
0
어종별선상
어종별 선상조황
4대돔 조황
먹물 조황
갈치 조황
볼락&전갱이
빅게임 지깅&파핑
외줄&외수질
기타 어종
어종별 갯바위조황
4대돔 조황
먹물 조황
갈치 조황
볼락&전갱이
농어&삼치&방어&부시리
기타 어종
어종별갯바위
어종별 선상조황
4대돔 조황
먹물 조황
갈치 조황
볼락&전갱이
빅게임 지깅&파핑
외줄&외수질
기타 어종
어종별 갯바위조황
4대돔 조황
먹물 조황
갈치 조황
볼락&전갱이
농어&삼치&방어&부시리
기타 어종
낚시인조황
낚시인 번개조황
낚시인조행기
스탭조행기
우리낚시동호회이야기
전국낚시동호회소개
동호회갤러리
지난 조황자료보기(년도별 조황 자료)
점주선장조황
전국 실시간 조황
선상(배)+좌대 조황
갯바위+방파제 조황
점주선장전용 공지사항
지난 조황자료보기(년도별 조황 자료)
출조정보
낚시인동행출조
점주선장 갯바위 출조
점주선장 선상출조
기상파고정보(기상청)
해상예보
물때표
파고예보(일본)
실시간해양관측예보
스마트조석예보
낚시광장
낚시계뉴스
대회 및 낚시관련 홍보
제품평가단
신상품소개
낚시지식인
Q&A 묻고 답하기
지식인 베스트
조황/포인트 문의
낚시용품 사용기
낚시투표
토론방
新어류도감
낚시교실
낚시기법소개
어종별 낚시교실
입문자교실
중급자교실
낚시용어사전
중고장터
중고장터 이용후기
더치트 사기피해 검색
팝니다
삽니다
교환합시다
무료로 드립니다
부품팝니다
부품삽니다
일반 생활용품 사고 팔기
휴게실
출석부
낚시갤러리
세상사는 이야기(자유게시판)
낚시이야기 마당
먹고사는 이야기
구인구직
칭찬합니다
어째이런일이
습득물 찾기
인낚도서관
인낚 유튜브
인낚 칼럼
블루, 그것이 알고싶다
더블테일의 두 눈으로 보는 세상
입질의추억의 피싱다이어리
나無의 바다 이야기
전문강좌
海巖의 바다낚시 이야기
이성규의 전유동낚시 강좌
조성민의 금요루어클럽
메인
어종별선상
어종별갯바위
낚시인조황
점주선장조황
출조정보
낚시광장
낚시지식인
낚시교실
중고장터
휴게실
인낚도서관
인낚몰
0
전국 실시간 조황
선상(배)+좌대 조황
갯바위+방파제 조황
점주선장전용 공지사항
지난 조황자료보기(년도별 조황 자료)
점주/선장 >
선상 + 좌대 조황
“12/28 감성돔 카고 조황(feat5짜)”
꽃청춘2호
0
53
7시간전
● 출항지 : 거제
● 출조지 : 거제
● 출조인원 : 3~5명
네임
카드
꽃청춘2호
거제시 남부면 근포1길 71 (네비게이션 장사도 유람선터미널)
010-3856-3334
실시간 예약
홈페이지
밴드 바로가기
유튜브/SNS
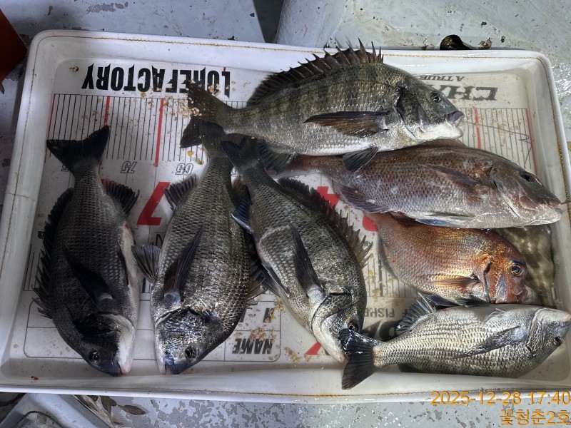
안녕하세요.
꽃청춘2호 송선장입니다.
전일 오순도순 만석으로 카고 낚시 다녀왔습니다.
물이 안가서 오전내내 골로 가다가 물잘가는 물골 찾아
늦은 시간까지 조업해 몇마리 낚고 왔습니다.
최대어 55외 나머지 사학년 졸업반들입니다.
금일 흘림은 기상악화로 휴항합니다 화요일 흘림갑니다~~
탑승하실분 전화주세요.
감사합니다.
이상 송선장이였습니다.
0
신고
목록
0
댓글
로그인한 회원만 댓글 등록이 가능합니다.
×
Image Upload
로그인한 회원만 등록가능합니다.
포토
제목
이름
날짜
[진해] 열기/볼락)출조는 계속됩니다(1일 해돋이 낮열기 예약가능 합니다…
출항지 : 진해 / 출조지 :
진해블루마린낚시
14
54초전
진해블루마린낚시
20:20
[사천] 내일은 소수인원이라도 원도권 대물감성돔 흘림 달립니다 예약중입니…
출항지 : 사천 / 출조지 :
사천뉴경원피싱
34
54초전
사천뉴경원피싱
20:20
[거제] (거제 FM 피싱호 ~감성돔흘림)~내일 (화요일)~야간출조 ㅡ예…
출항지 : 거제 / 출조지 :
FM피싱호
0
3분전
FM피싱호
20:17
[진해] 새해 원도권문어 예약가능(1월1일~4일까지)~ kkk문어 손맛보…
출항지 : 진해 / 출조지 : 진해
진해제네시스호
27
6분전
진해제네시스호
20:15
[여수,광양] <여수뉴피닉스호> 12월29일 왕쭈꾸미조황ㅡ 문어인지. .쭈꾸미…
출항지 : 여수,광양 / 출조지 : 여수,광양
여수피닉스피싱
4
8분전
여수피닉스피싱
20:13
[진해] 야간문어 예약가능~~대물사냥( 원도권 토,일~예약가능 장원 20…
출항지 : 진해 / 출조지 : 진해
진해골드스타2
21
16분전
진해골드스타2
20:05
[거제] 12월28일 먼바다흘림 꽉꽉채워 조황입니다.
출항지 : 거제 / 출조지 :
거제현대마린
13
20분전
거제현대마린
20:01
[진해] 12/29 kkk돌문어~씨알~마릿수~굿~~ 내일예약가능
출항지 : 진해 / 출조지 : 진해
진해삼포청해낚시
8
24분전
진해삼포청해낚시
19:57
[진해] (문어)K급 폭팔~원도권 씨알급들 연타로 타네요~강민호(30일 …
출항지 : 진해 / 출조지 : 진해
진해강민호
38
26분전
진해강민호
19:55
[고성] 필받는 필바다 선상 카고 및 흘림
출항지 : 고성 / 출조지 : 통영
필바다레저
22
28분전
필바다레저
19:53
[통영] 통영영운호14석) 대마권 대갈치 6지까지 조과차는 있지만 좀 잡…
출항지 : 통영 / 출조지 : 통영
통영영운낚시
24
37분전
통영영운낚시
19:44
[진해] 12/29 문어 오늘도 2.4K 2.3K 1.9K 미터오버 대구…
출항지 : 진해 / 출조지 : 진해
진해물돌이호
10
39분전
진해물돌이호
19:42
[고흥,녹동] E스마일 29일 문어 다녀왔습니다
출항지 : 고흥,녹동 / 출조지 :
E스마일호이총무
6
41분전
E스마일호이총무
19:40
[진해] [신조선]굵직한문어1530g1460g1160g급마릿수굿~~
출항지 : 진해 / 출조지 : 진해
뉴해경피싱
9
41분전
뉴해경피싱
19:40
[사천] 알쭈꾸미시즌선비할인(선비5만식사제공)왕쭈꾸미 왕물메기 팍팍
출항지 : 사천 / 출조지 : 사천
삼천포바다낚시
18
45분전
삼천포바다낚시
19:35
초기화
날짜순
조회순
검색
1
2
3
4
5
Search
검색대상
제목
내용
제목+내용
회원아이디
회원아이디(댓글)
글쓴이
글쓴이(댓글)
또는
그리고
검색어
필수
검색
닫기
검색조건
제목
내용
제목+내용
회원아이디
회원아이디(코)
글쓴이
글쓴이(코)
검색어
또는
그리고
검색
인낚몰 초특가
★3,000★ 하야부사 6단 볼락 전갱이 카드채비 SD724 볼락채비
★1,000★볼락낚시에 최적인 메바트로볼 - 캐스팅볼, 메바볼
★13,000~★3NO 일본 오리지날 직수입 극강 멀티 무광 마크사 원줄
★500★ W쿠션 멀티 수중찌 M L - 전유동 반유동 끄심바리 필수품 수중쿠션
★5,900★ 여러개 있으면 아주 좋은 EVA 시스템 백
★ 1+1 플로팅, 세미, 카본 낚시줄 행사 호수선택가능 / 택상 1+1 원줄, 목줄 행사
★6,000★ 예민함의 끝판왕 애니원찌 벵에돔찌 학공치찌
★15,000★ 오동목 구멍찌 5개 + 메쉬 찌케이스 세트
★22만원★ 40W 집어등을 이 가격에!
★5,000★ 전층쿠션 15세트입 S / L 사이즈
★2,000★ 전층쿠션 5세트입 S / L 사이즈
★10,000 미니집어등5개 + 425배터리 1개 + 스토퍼고무 10개