1월 1일(목) 참돔 조황

신상품 소개


회원 랭킹


공지사항


NaverBand
점주/선장 > 선상 + 좌대 조황

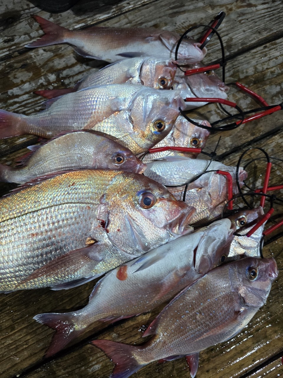
1월 1일(목) 참돔 조황

천사피싱진해삼포 0 35
● 출항지 : 진해
~ 새해 첫 날 "우당탕탕" 조황 ~

새해첫날 해돋이를 시작하여 좋은분위가 연출되어

작은넘들 부터 4짜. 5짜. 6짜. 7짜 까지해서

마릿수 또한
총 145수를 기록하며 새해첫날 부터

좋은 분위기 계속 유지하며 달려 가겠습니다
 
(시합등수는 치열하게 바뀌고 있습니다)

 
※ 내일 2일(금)은 예비특보로 하루쉬고 토요일부터
달립니다

 
※ 지금시즌 7짜를 잡으신 김영호님. 국중학님
제가 빠트렸습니다 두분께
1회 무료승선권
드립니다

 
※ 공지란의 예약현황에 빈 자리가 많이
남아 있습니다
1004피싱_사진_20260101_1.jpg


1004피싱_사진_20260101_3.jpg


1004피싱_사진_20260101_4.jpg


1004피싱_사진_20260101_5.jpg


1004피싱_사진_20260101_6.jpg


1004피싱_사진_20260101_7.jpg


1004피싱_사진_20260101_8.jpg


1004피싱_사진_20260101_9.jpg


1004피싱_사진_20260101_10.jpg


1004피싱_사진_20260101_11.jpg

1004피싱_사진_20260101_12.jpg


1004피싱_사진_20260101_13.jpg


1004피싱_사진_20260101_14.jpg


1004피싱_사진_20260101_15.jpg


1004피싱_사진_20260101_16.jpg


1004피싱_사진_20260101_17.jpg


1004피싱_사진_20260101_18.jpg


1004피싱_사진_20260101_19.jpg


1004피싱_사진_20260101_20.jpg


1004피싱_사진_20260101_21.jpg
  • 사용자가 올린 이미지
  • 사용자가 올린 이미지
  • 사용자가 올린 이미지
  • 사용자가 올린 이미지

(잡은 참돔 장만 해주는곳)선착장에서 150m지점


"낚시선 술 반입금지. 음주 절대금지"
"신분증 꼭 지참해서 승선해 주세요"
" 구명조끼 의무 착용필수 "

■ 저희선사는 항 도착 10분전에 잡은 참돔들
100% 시메하여 항상 싱싱하게 회로 드실수
있게 해드리고 있습니다■



《" 꼭 필독" 지켜 주세요 》
※저희 선사는 1호 8합사 얇고 가는 합사를 년중 사용권장하며 크로스 피해 방지를 위해 메이커 라인도 1호 8합사 두꺼운 라인 많이 있사오니 주의 당부드립니다,


"7짜이상 사진과 액자 증정"
7짜 이상은 많은 혜택과 푸짐한 상품 드립니다


대회상품 및 기간
기간 : 참돔 시작하는날 부터 참돔시즌 마감날까지
상품수령 자격 : 타이라바 시합시즌 중 5회이상 출전
하여야 상품수령 자격있습니다

《 상품 》
1등 : 시마노 25 포스마스터 300 윤성정품
싯가 859.000원

2등 : 시마노 25오시아 콘퀘스트CT 200PG (은콩)
싯가 684.000원

3등 :시마노 23염월 프리미엄 150PG 윤성정품
싯가 410.000원

4등 : 다이와 7000 태클박스
싯가 79.000원

5등 : 메이호 5000 태클박스
싯가 40.000원

시합종료시 까지 언제든 바뀔수있는 등수
1등 : 77cm 국중학 (창원)
2등 : 73cm 김영호 (부산)
3등 : 68cm 강동우 (부산)
4등 : 64.5cm 이동철 (김해)
5등 : 64cm 최석술 (창원)


● 출조일 매일매일 첫수상.잡어상. 다어상.대어상
푸짐하게 선물 있습니다●


☆ "모든채비 저렴하게 구입가능합니다"

《 타이라바 채비 》

로드 : 참돔 타이라바 전용대

릴 : 베이트 릴(전동가능)

라인 : 합사 0.8~ 1호 8합사 (300m권장)

헤드 : 80g.~180g.

쇼크리드 : 3호~ 3.5호 (3호권장)



《 선사 지급 품목 》

점심식사.한강라면. 음료수.캔커피. 자율커피. 생수.
아침 오뎅탕 제공합니다


《 타이라바 선비 》

청개비 포함 12만원 (생타이 11만원)


《 출조 시간 》

출발시간 : 새벽 5시 30분
(일찍 도착하시는대로 자리추첨후 바로출발)

철수시간 : 오후 3시 전.후


《 예약 문의 》

1004피싱 :
055) 546 - 1004
폰 :
010 5540 9936

네비주소 : 창원시 진해구 명제로
324번길14-12


*** 입금 계좌 ***

농협 김득순
352-5540-9936-23


☆ 예약사이트 꾹 눌러주세요 ☆

https://band.us/band/73523838/post/10599
☆ 예약 사이트 꾹.꾹.꾹 눌러주세요 ☆ ♡♡♡♡♡♡♡♡♡♡♡♡♡ ☆-------------------------☆ [BAND] 1004피싱
band.us



*** 진해 1004피싱 예약 안내 ***


예약문의 : 010-5540-9936

오시는길 : 경남 창원시 진해구 명제로324번길 14-12
홈페이지 : https://1004.sunsang24.com/

모바일.jpg 

blank.png1


  • 페이스북으로 보내기
  • 트위터로 보내기
  • 구글플러스로 보내기
  • 카카오스토리로 보내기
  • 네이버밴드로 보내기
  • 네이버로 보내기
  • 텀블러로 보내기
  • 핀터레스트로 보내기
0 댓글
포토 제목
 
 

인낚 최신글


인낚 최신댓글


온라인 문의 안내


월~금 : 9:00 ~ 18:00
토/일/공휴일 휴무
점심시간 : 12:00 ~ 13:00