(감성돔)승률 UP~어초여밭 4짜4짜 외 마릿수~3대호(6일 예약)

신상품 소개


회원 랭킹


공지사항


NaverBand
점주/선장 > 선상 + 좌대 조황

(감성돔)승률 UP~어초여밭 4짜4짜 외 마릿수~3대호(6일 예약)

거제3대낚시 0 40
● 출항지 : 거제 ● 출조지 : 거제
밴드 바로가기 유튜브/SNS
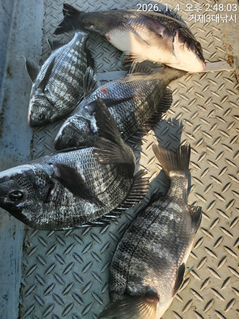
어초여밭 4짜 4짜 외 덩치들~
4일(일) 거제 학산 마을 출발 감성돔 흘림낚시 "3대호" (철수)핫조황입니다.
※(3대호 & 아지카) 53Cm이상 감성돔 체포시 아지카 최상급 원줄 증정.

★6일(화요일) 거제권 어초여밭 감성돔 흘림낚시 "예약가능"
(감성돔) 4짜 4짜 외 중치급들~힘이 장사~!!!
  • 사용자가 올린 이미지

거제도 학산마을 출발 감성돔 흘림낚시 3대호 조황입니다
어초여밭 감성돔 소식입니다~ 덩치를 키운 녀석들의 입질이
이어지며 집중력 있게 즐길 수 있었습니다. 빵이 장난 아니네요
원줄 목줄 튼튼히 준비하셔서 대물을 대비하셔야 할 듯 합니다.
4짜 4짜 외 중치급들로 5수 체포 후 마무리 합니다.
쭉 좋은 물때 구간 대물 사냥은 이어지니 함께하실 분들 연락주십시오.

6일(화요일) 좋은 물때 구간으로 진입합니다. 승율이 높아지는
좋은 조건, 거제도 출발 감성돔 흘림낚시 OPEN~예약 가능합니다.
오늘도 거제 3대호와 함께해주신 조사님들 수고 많으셨습니다.

▣ 3대호 거제권 감성돔 흘림낚시 일정 ▣
★6일(화) 거제권 대물 감성돔 흘림낚시 예약 가능
★7일(수) 거제권 대물 감성돔 흘림낚시 예약 가능
★8일(목) 거제권 대물 감성돔 흘림낚시 예약 가능
★9일(금) 거제권 대물 감성돔 흘림낚시 예약 가능
※ 주말은 포인트가 제한이 많아 미리미리 예약을 서둘러 주세요.

● 3대호 예약 ☎010-5188-5399 (3대호 선장)
● 3대호 밴드 http://band.us/@3daenaksi
● 출항지; 경남 거제시 둔덕면 학산3길 75
  • 사용자가 올린 이미지
  • 사용자가 올린 이미지
  • 사용자가 올린 이미지
  • 사용자가 올린 이미지
  • 사용자가 올린 이미지
감성돔 어초여밭 흘림낚시 안내 ▦
(출조 시간) 새벽 출발 ~ 오후 2시 30분 철수(유동적) 선비 11만원.
- 거제도출발 한산도권 어초여밭 대물포인트 공략.
- 독배 상시 예약 가능합니다.
- 식사,밑밥,미끼,커피,생수 제공

● 출조시 구명조끼/신분증은 반드시 지참해주세요.
● 입금계좌: 수협 2020-4581-7819(김민규)
● 예약은 입금자 순서이며 통화후 입금바랍니다.(미입금시 임의 취소 될수 있음)

● 환불 규정
'예약 완료' 공지 이후, 취소 요청시 환불 되지 않습니다.
단, 다른 손님으로 대체 될때는 환불해 드립니다.

● 3대호 예약 ☎010-5188-5399 (3대호 선장)
● 3대호 밴드 http://band.us/@3daenaksi
● 출항지; 경남 거제시 둔덕면 학산3길 75
  • 사용자가 올린 이미지

, , , , , , , , , , , , , , , , , , , , , , , , , , , , ,

  • 페이스북으로 보내기
  • 트위터로 보내기
  • 구글플러스로 보내기
  • 카카오스토리로 보내기
  • 네이버밴드로 보내기
  • 네이버로 보내기
  • 텀블러로 보내기
  • 핀터레스트로 보내기
0 댓글
포토 제목
 
 

인낚 최신글


인낚 최신댓글


온라인 문의 안내


월~금 : 9:00 ~ 18:00
토/일/공휴일 휴무
점심시간 : 12:00 ~ 13:00