
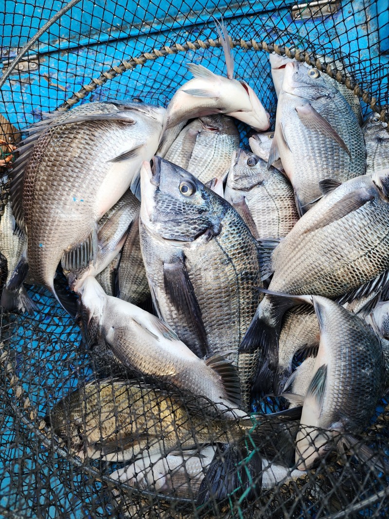
토요일 야간 일요일 주간 조황입니다 울산 홍사장님 처음으로 사짜 잡으시고 인증샷 남기셨습니다 평균 싸이즈가 커졌어요 마릿수에 싸이즈까지 지금 하동은 뜨겁습니다 피싱호 주말에
또 갑니다 금요일 야간 토요일 주간 토요일 야간 일요일 주간 출조합니다 출조시간 조율 가능합니다 함께하실분 연락주세요 010 4850 1644 부재시 010 4555 1423 








▶ 지켜주세요! ◀
- 당일 조황을 올리셔야 합니다.
- 지난 조황은 2일이내 미등록 조황만 가능합니다.
- 이미 올린 조황을 붙여넣기하여 계속 등재하시면 중복조황에 해당합니다.
- 당일 조황을 올리면서 이전 조황을 같이 올리면 중복조황에 해당합니다.
- 조황없는 출조정보는 출조정보 게시판을 이용하시길 바랍니다.
- 올린 글 삭제하고 다시 올려 상단에 올리려는 방법, 이용규칙 위반입니다.
- 제목에 특수문자 사용하시면 안됩니다. (온점, 쉼표, 느낌표, 괄호, 물결만 허용)
☆ 공지사항에 '조황등재시 유의사항' 게시글을 꼭 확인하시고 조황작성 부탁드리며, 가장 기본적인
규칙이 지켜지지 않을 시 예고없이 글 삭제 및 이용정지 될 수 있음을 알려드립니다.
|
|
|
|

