[ 볼락루어 ] 01/06 두모1호 출항 조황

신상품 소개


회원 랭킹


공지사항


NaverBand
점주/선장 > 선상 + 좌대 조황

[ 볼락루어 ] 01/06 두모1호 출항 조황

달아두모호 0 106
● 출항지 : 통영
0541918cc752e7bae1c5dad5bc031f34.jpegbe61191abd7a234cb51fb167f6bda7a9.jpege03d2049af89972f02239b4085962185.jpeg908eafdf8009c35b5461d361c0049ad8.jpeg8871cbbee61ef4fa0a2c0c36fd31ab12.jpegeeeb1096f469bd51209f7b92e17b0470.jpeg
[ 두모1호 ] 01/06 볼락루어 출항 조황
* 볼락루어 전용선 매일 출조 *
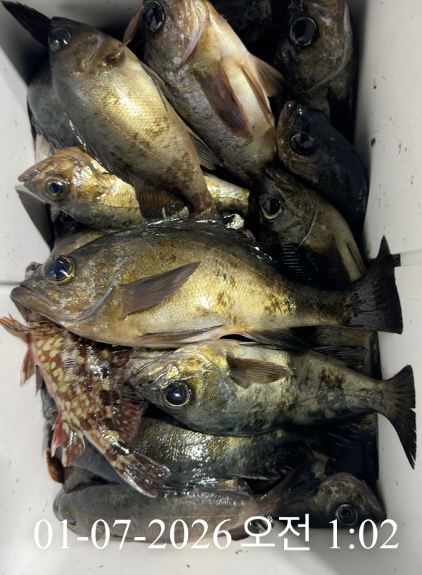
>> 갈도 밤볼락 조황 <<

잔잔한 바다기상에 갈도 다녀왔습니다. 서쪽 포인트에는 바람과 파도가 조금 있었으며 20cm급 볼락의 입질이 간간히 들어왔지만 마릿수가 좀 모자란 듯 하여 동쪽 포인트로 재빠르게 옮겼습니다. 진입한 포인트에는 수초가 제법 자리잡고 있었으며 20cm급 볼락의 입질을 그나마 따문따문 받아낼수 있었습니다. 밤11시가 넘으면서 바람으로 인해 욕지권으로 이동 하였지만 볼락의 입질이 시작되는 즈음 철수를 해야하는 아쉬움을 남겼습니다. 

내일은 고르지 못한 바다기상에 하루 휴항하고 01/08 목요일 정상 출항 합니다. 

매일 오후4시30분 밤볼락 출조합니다. 

통영권 매물도,좌사리도,국도,연화도, 욕지도, 두미도, 갈도까지 시즌동안 물때와 바다상황을 고려해 매일 볼락 찾아 열심히 출조합니다.


          >>>>> 예약현황 <<<<<

>>> 볼락루어 전문출조 <<<
>>> 실시간 예약창 <<<

## 선상 24시
https://cyfishing.sunsang24.com/ship/info 

01/07  수요일   기상불량
01/08  목요일   예약가능
01/09  금요일   예약가능
01/10  토요일   예약가능
01/11  일요일    예약완료
01/12  월요일   예약가능
01/13  화요일   예약가능
01/14  수요일   예약가능

예약문의 010 4576 8989 두모호 선장 

예약계좌 
수협 0001 6619 3852 이경순 (두모호)

• 계좌입금 순으로 예약확정 됩니다
• 입금 후 반드시 문자 확인 바랍니다

기상만 허락 한다면 매일 볼락루어 출조합니다

볼락루어 낚시 전문 ....달아두모호 입니다..
====================
######### 신분증 지참 / 구명복 착용 / 선내 음주금지.
######### 지그헤드 1~ 5그램 / 전용릴 / 전용낚시대
========================================
## 루어선상 전문출조선 입니다.. 선상출조객만 모십니다. ##

밴드가입 https://band.us/@tongkeunho 

출조시 매일 오후8시 
라이브 방송
유튜버 실시간 조황
https://youtube.com/@fish1788?si=KIzikh6MoAC1y43J

# 선상출조만 합니다.
# 출조비 : 욕지권,매물도권10만, 원도권 12만
(통영 최고의 따뜻한 도시락 제공)
# 선내 : 커피, 생수 완비
# 볼락출조: 오후 4시30분 - 새벽1시 철수
# 출 조 지 : 갈도,좌사리도,매물도,
                     욕지권 전문출조
==================================
## 경남 통영시 산양읍 미남리 822-12
## 두모호 이선장 010 - 4576 – 8989 
#갈치 #텐빈 #볼락루어 #참돔타이라바
#방어지깅 #한치 




*** 통영 두모호 예약 안내 ***


예약문의 : 010-4576-8989

오시는길 : 경남 통영시 산양읍 산양일주로 285

홈페이지 : https://cyfishing.sunsang24.com/

https://cyfishing.sunsang24.com/b3ccf328-b5dc-4469-8f7c-a6eeb36783c3">
blank.png1


  • 페이스북으로 보내기
  • 트위터로 보내기
  • 구글플러스로 보내기
  • 카카오스토리로 보내기
  • 네이버밴드로 보내기
  • 네이버로 보내기
  • 텀블러로 보내기
  • 핀터레스트로 보내기
0 댓글
포토 제목
 
 

인낚 최신글


인낚 최신댓글


온라인 문의 안내


월~금 : 9:00 ~ 18:00
토/일/공휴일 휴무
점심시간 : 12:00 ~ 13:00