네임
카드
카드
아쿠아호
경남 창원시 진해구 안골로 111
010-9058-5311
경남 창원시 진해구 안골로 111










<창만호>
창만호 감성돔 카고 쭉 예약가능합니다
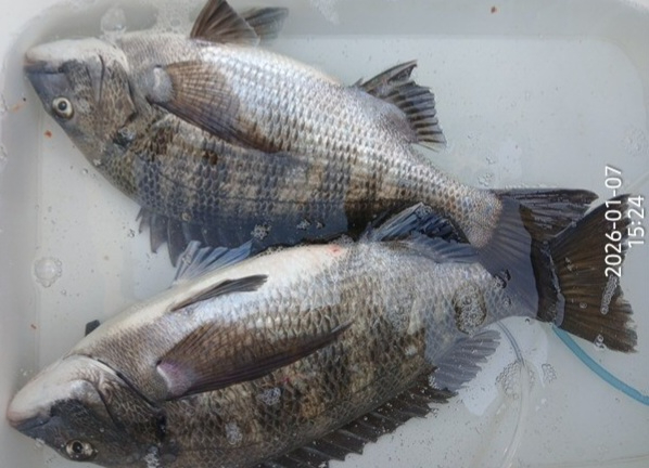
첫 수 54cm부터
5짜4짜 감성돔~수고많으셨습니다
낼 목욜 자리여유
예약가능합니다
(월.화.수.목.금,토,일 예약가능)
<진해 아쿠아호&창만호 밴드>
https://band.us/band/6
(예약문의 : 010-9058-5311)
오시는길 : 경남 창원시 진해구 안골로 111(사무실)
경남 창원시 진해구 안골로 117(선착장)

|
|
|
|

