16일 왕볼락 왕열기 외줄 금요일 자리 널널

신상품 소개


회원 랭킹


공지사항


NaverBand
점주/선장 > 선상 + 좌대 조황

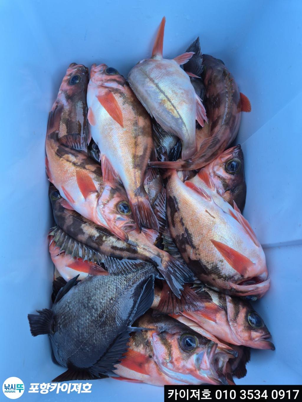
16일 왕볼락 왕열기 외줄 금요일 자리 널널

포항신신카이져호 0 65
● 출항지 : 포항 ● 출조지 : 포항
F28402094K.jpg낚시뚜에서 인낚으로 보내는 자동조황
top01.png

포항영일만

포항카이져호

top02.png
금토일모집중
· 출조일시2026-01-15(목)
· 출조인원1명
· 어종기타

​​포항 NO.1 카이져호


포항 영일신항만 선상낚시(배낚시) 전문 카이져호!


친절한 젊은 선장님과​​,프로사무장님이 있어 쉽고 편안하게

초보 분들도 1:1 가이드를 받을수 있습니다.

예약 문의전화=010-3055-0839

입급계좌수협= 0010-8011 0838 황권호


NAVER BAND (실시간 조황 및 예약현황)

▼​▼​▼​▼​

https://band.us/@sinsin3968 (포항신신낚시,카이져)


네이버에서 신신낚시 카이져호 치셔도 됩니다~

★입급계좌수협= 0010-8011 0838 황권호

​​

입급후 반드시 문자 남겨 주세요


★ 예약전화 = 010-3055-0839 010-3534-0917


★포항시 북구 흥해읍 영일만항로 128 신 신 낚 시

>> 주중 예약 현황​ <<

​16일(금)​​오전 볼락열기(06시)여유자리

​17일(토)​​오전 볼락열기(06시)여유자리

​18일(일)​​오전 볼락열기(06시)여유자리

​19일(월)​​오전 볼락열기(06시)여유자리

​20일(화)​​오전 볼락열기(06시)여유자리

​21일(수)​​오전 볼락열기(06시)예약중

​22일(목)​​오전 볼락열기(06시)예약중

​​​이후도 쭉~~~예약 받습니다


출항 30분 전 까지는 와주세요!​

기상,조황 상황에 따라서 출항시간,어종은 달라 질수 있습니다!!

 

F28402094K.jpgF28402083F.jpgF2840207Q7.jpgF2840206Y8.jpgF2840205VV.jpgF284020475.jpgF28402033S.jpgF2840202RM.jpgF2840201N7.jpgF28402004A.jpgF2840199GW.jpgF2840198G7.jpgF2840197UA.jpgF2840196QJ.jpgF2840195DC.jpgF2840194I9.jpgF2840193JH.jpgF28401923X.jpgF28401910H.jpgF2840190GE.jpgF2840189AY.jpgF28401885A.jpgF284018703.jpgF28401867F.jpgF2840185WR.jpgF284018429.jpgF2840183NX.jpgF284018257.jpg

금요일 오전 06시 왕볼락왕열기 외줄낚시 정상 출항 합니다


오랜만에 출항이라 기대가 큽니다


수온도 적당히 내려가 있어서 활성도도 기대해 볼만 한데요


자리 많으니까요 편하게 전화 주세요


날씨 때문에 출항일수가 적어 조황 전달도 어렵네요 ㅜㅜ


씨알은 너무 좋으니까요 외줄낚시 좋아 하시는 분들 함께해 보세요~^^


●● 왕대구 출조 ●●

■ 왕대구 종일 출조 - 06시(8시간)
■ 선비 - 11만원5천원
■ 장비대여 - 2만원

■ 채비 낚시방 배에서 판매

​ 야간 왕고등어.전갱이 출조


■ 야간 고등어.전갱이 - 19시(6시간)

■ 선비 - 8만원
■ 장비대여 - 1만원

■ 채비 낚시방 배에서 판매


채비설명: 가볍고 낭창한 낚시대

(볼락루어대,에깅대,팁런대,한치대등)


합사 : 0.8 ~ 2호


낚시방법 : 카드채비 (2~3단) 연결후

추20호(혹은 메탈지그 장착)


●● 도다리 . 가자미 출조 ●●


■ 도다리.가자미 오전 출조 - 07시(5시간)
도다리.가자미 오후 출조 - 13시(5시간)
■ 선비 - 7만원
■ 장비대여 - 1만원

■ 편대채비,봉돌,바늘2세트,지렁이무료제공

●● 볼락 열기 출조 ●●


■ 볼락.열기 오전 출조 - 06시(6시간)
■ 선비 - 8만원
■ 장비대여 - 1만원

■ 채비 낚시방 배에서 판매

●● 야간 한치.오징어 출조 ●●


■ 야간 출조 - 19시 출항 (6시간)
■ 선비 - 8만원
■ 장비대여 - 1만원

■ 채비 개인 지참


오징어 한치 채비ᆢ

로드..7피트전후 2미터근처

한치대 팁런 볼락대등등

추부하30호가능한 로드

기둥줄..3호라인기본으로 4호까지 가능

스틱단차기본60센티전후

원줄.. 합사 0.8에서 1호권장(수심체크가능한 합사권장)

소형전동릴 스피닝릴 베이트릴가능

다단채비 구성시 5단초과는 채비운용에 번거로움발생

스틱 11ㅡ14센티. 에기 .삼봉에기

추는 20에서 40까지

이카메탈80-100g

●● 삼치.방어.튜나 ●●

■ 삼치.방어 출조 - 06시(5시간)

■ 선비 - 7만원
■ 장비대여 - 1만원

■ 채비 낚시방 배에서 판매

삼치전용지깅대,6000번이상 릴(합사2~4호)

60g~100g메탈


돌문어.피문어 선비8만원

■ 돌문어 야간 출조 - 17시(6시간)

■ 선비 - 8만원
■ 장비대여 - 1만원

■ 채비 낚시방 배에서 판매


문어대,(합사2~4호)

왕눈이애기 추 30호~40호사용

사계절 내내~선상 낚시


카이져호와 함께해 보시기 바랍니다~

★평일?시 출항~(시간은 기타 조건 따라 그때그때 달라요!!)​​


쭉 예약 중이며 기상황에 따라서 동 될수 있습니다

★카이져호 봄 시즌 도다리,참가자미


★카이져호 여름~가을 돌문어,화살촉.대삼치,대방어,무늬오징어


★카이져호 겨울시즌 왕볼락,열기.왕대구


아주 친절하고 부드러운 젊은 선장님과 센스있는 사무장님이


고객님들의 양손이 결코 가볍지 않토록 최선을 다해


모실것을 약속 드립니다~^^


​★도다리 참가자미 생활낚시 선비 6만원(장비대여 5천원)

★왕대구 선비 ​ (장비대여 전동 2만원)

★볼락.열기(장비대여1만원 / 전동2만원)​

★화살촉오장어 선비 8만원(장비대여 1만원)

★삼치,참치,방어 7만원(장비대여 1만원)

무늬오징어,한치(장비대여 1만원)

★돌.피문어(장비대여 1만원)​

★선내 무상 제공


커피,생수,컵라면,장갑,개인물통,해수장치.구명조끼 등~♬


★평일 한타임 주말 공휴일 두타임


★어종별 출항 시간은 (기타 조건 따라 그때그때 달라요)


선입금은 필수이며 입금이 안되면 예약이 되지 않습니다.


팽창식(카이져호)구명 동의는 반듯이 반납해주세요!


★환불 규정★


출조 1~2일전 취소시 환불 불가.


예약완료시 3일전 환불 불가.


예약시 반드시 확인 바랍니다.


기상악화 특보시(태풍,풍랑주의보등) 전액 환불!


기상특보 상황 외 선장님 낚시 불가 판단시 전액 환불!


선내 주류 반입 불가


주민등록증 필참


카이져호 선상낚시 안내


신신 카이져호"는 9.77톤(22인승) 낚시배입니다.


포항시 북구 흥해읍 영일만항로 128 신 신 낚 시

20220410.030412.439.M0023140Q5_600.jpg
포항돌문어전문,선상낚시,바다배낚시,카이져호삼치전문,대삼치,대방어

튜나,장어,왕도다리,참가자미,왕볼락,왕열기,영일만항배낚시,왕대구지깅

돌문어 화살촉 오징어 오징어 전문카이져호.포항대삼치,포항왕볼락,포항장어,포항돌문어

네비주소 :영일만항

예약문의

010-3534-0917

수협

0010 3534 0917

황유미

nopic_cptn.jpg

포항영일만

포항카이져호

황권호 선장

F0820911HG.jpg
항구명 영일만항
승선인원 20명
출조점명 포항카이져호
배 타는 곳영일만항 선착장

홈페이지 바로가기 Click

낚시뚜
▶ 지켜주세요! ◀

- 당일 조황을 올리셔야 합니다.
- 지난 조황은 2일이내 미등록 조황만 가능합니다.
- 이미 올린 조황을 붙여넣기하여 계속 등재하시면 중복조황에 해당합니다.
- 당일 조황을 올리면서 이전 조황을 같이 올리면 중복조황에 해당합니다.
- 조황없는 출조정보는 출조정보 게시판을 이용하시길 바랍니다.
- 올린 글 삭제하고 다시 올려 상단에 올리려는 방법, 이용규칙 위반입니다.
- 제목에 특수문자 사용하시면 안됩니다. (온점, 쉼표, 느낌표, 괄호, 물결만 허용)

☆ 공지사항에 '조황등재시 유의사항' 게시글을 꼭 확인하시고 조황작성 부탁드리며, 가장 기본적인
규칙이 지켜지지 않을 시 예고없이 글 삭제 및 이용정지 될 수 있음을 알려드립니다.

  • 페이스북으로 보내기
  • 트위터로 보내기
  • 구글플러스로 보내기
  • 카카오스토리로 보내기
  • 네이버밴드로 보내기
  • 네이버로 보내기
  • 텀블러로 보내기
  • 핀터레스트로 보내기
0 댓글
포토 제목
 
 

인낚 최신글


인낚 최신댓글


온라인 문의 안내


월~금 : 9:00 ~ 18:00
토/일/공휴일 휴무
점심시간 : 12:00 ~ 13:00