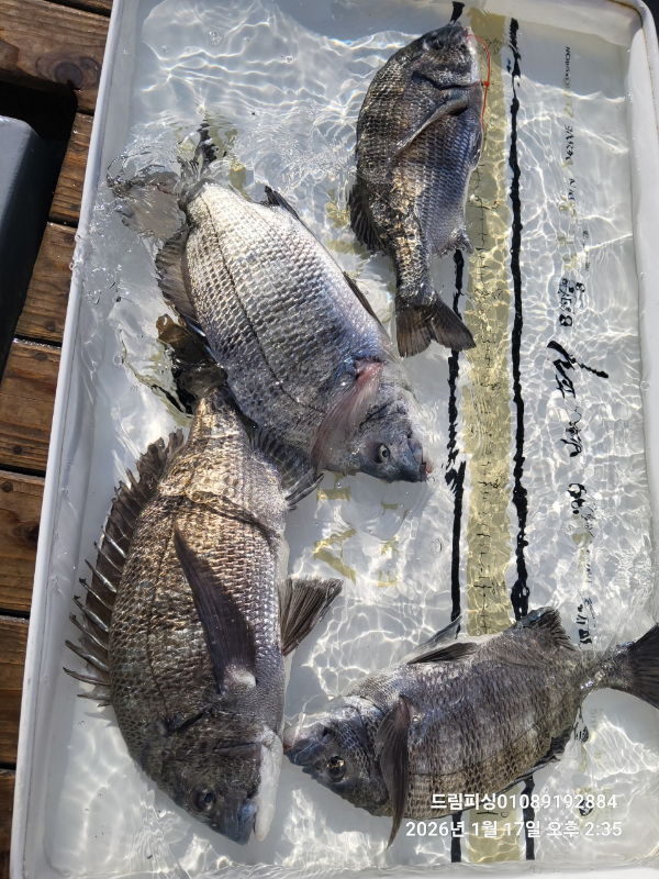
어초흘림....4중~~후반까지..

신상품 소개


회원 랭킹


공지사항


NaverBand
점주/선장 > 선상 + 좌대 조황

어초흘림....4중~~후반까지..

통영드림피싱 0 41
● 출항지 : 통영
f0518547fc778ada4966a5ec8cd7e60c.jpg
#선사조황
#드림피싱 
#01089192884
#감성돔흘림
#무늬오징어팁런
#뽈락루어
#한치#탈치텐빈,텐야
반갑습니다
통영 견유항에 위치한 4.99톤 23년신조선 승선정원 12명 선상전용선입니다.
 
토요일 6물...어초다녀왔습니다..
6물...조류움직임은 영~~~~
 
힘든상황속에 터지고 빠지고..... 4짜중부터 후반까지...


BandPhoto_2026_01_17_14_59_20_2.jpg


BandPhoto_2026_01_17_14_59_20_1.jpg


BandPhoto_2026_01_17_14_59_20_3.jpg

 

일요일도 자리 널널합니다..





주중,주말...감성돔 흘림 예약중입니다..


같이하실분 연락 주세요...



4분이상 무조건출항합니다..
☆선상24 홈패이지 예약가능
☆♥신분증지참 필수☆
☆♥주류반입 절대금지☆..출항후 적발시 즉시철수합니다.

♥♥통영드림피싱 밴드 검색하시면 많은정보 보실수 있습니다.♥♥
♥입금계좌 수협 2020 4557 7248 홍순호 입니다.
♥출조문의..010 8919 2884♥
♥배타는곳.. 통영시 용남면 견유2길 39번지 입니다.
지번주소...통영시 용남면 장평리 423-3번지입니다.



*** 통영 드림호 예약 안내 ***


예약문의 : 010-8919-2884

오시는길 : 경남 통영시 용남면 견유2길 39
홈페이지 : https://tydream.sunsang24.com/

모바일.jpg

blank.png1


  • 페이스북으로 보내기
  • 트위터로 보내기
  • 구글플러스로 보내기
  • 카카오스토리로 보내기
  • 네이버밴드로 보내기
  • 네이버로 보내기
  • 텀블러로 보내기
  • 핀터레스트로 보내기
0 댓글
포토 제목
 
 

인낚 최신글


인낚 최신댓글


온라인 문의 안내


월~금 : 9:00 ~ 18:00
토/일/공휴일 휴무
점심시간 : 12:00 ~ 13:00