네임
카드
카드
뉴경원피싱
경남 사천시 신향1길 30-14
010-5630-6366
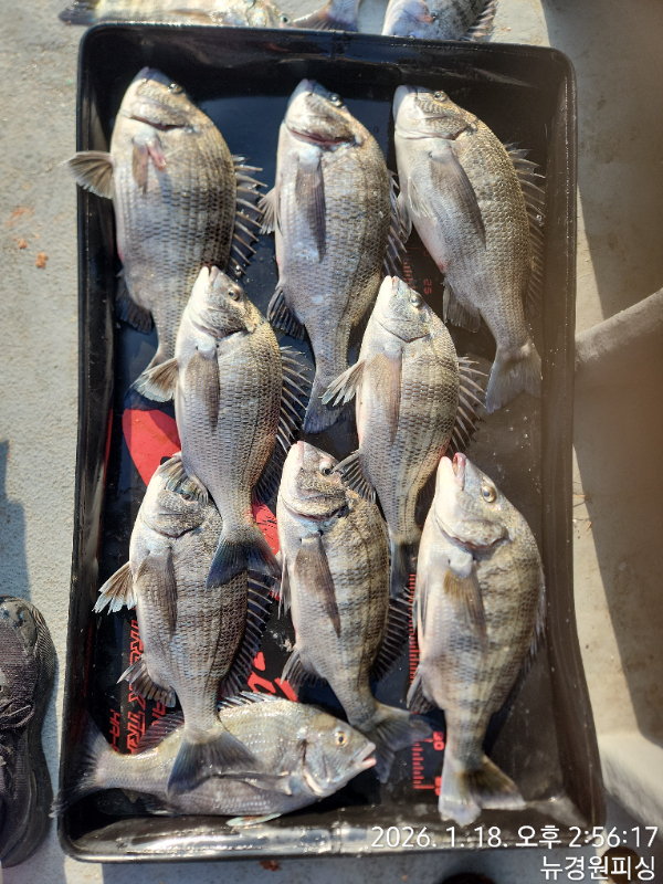
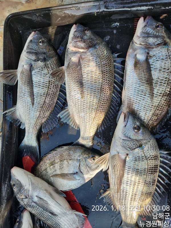
오늘 원도권 대물감성돔 흘림 감성돔 바글바글 내일 출조확정 5자리여유 있습니다
경남 사천시 신향1길 30-14








=== 삼천포 뉴경원호 예약안내 ===
예약문의 : 010-5630-6366
오시는길 : 경상남도 사천시 신향1길 30-14
홈페이지 : http://newgw.sunsang24.com/

|
|
|
|

