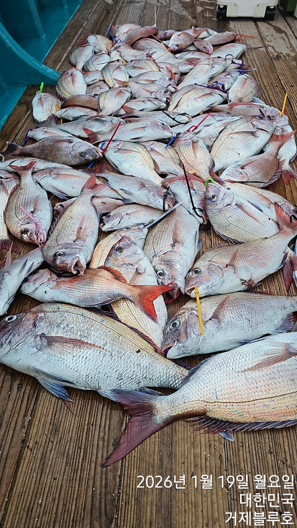
거제블루 참돔 타이라바 대박조황입니다
오늘은 다른말이 필요없이 물반고기반으로 담그면 올라와
초보 조사님들 사고치는 최고의 날입니다
씨알도 4짜5짜 6짜까지 씨알 마릿수 모두 굿굿
빠지는 고기도 엄청많았고 여기저기 우당탕탕
찐한 손맛보고 쿨러가득채워 기분좋은 철수길~~^^
내일부터 기상으로인해 며칠휴항
금토일은 방어출조로인해 일요일부터 본격적으로
바다미녀 사냥하러 쭈~~욱 출동합니다
같이 동참하실분 서둘러 연락주세요 자리여유 있습니다
참돔타이라바 출조때만 맛볼수있는 블루만의 맛점!!!
쏨뱅이 즉석튀김이 오픈했습니다
푸짐하게 뼈까지 바삭바삭하게 튀긴튀김 1인1마리
블루로 맛점하러오세요~~^^
초보자분들 대환영//소수인원으로도 기상이 허락하면 무조건 출항합니다
참돔 16석/ 방어는 14석으로 개인자리 간격 타선사보다 넓습니다
이제부터 본격적으로 참돔 타이라바 출조 나갑니다
선장님 사무장님 오랜경력으로 열심히달려 보답하겠습니다
많은 관심 부탁드립니다
동행 하실분 연락주세요
문의전화:010-5124-3517(선장님)
★★2월달 참돔타이라바/지깅(방어,부시리,삼치) 예약받습니다★★
서둘러 예약창 클릭!!!!전화문의도 언제든지주세요~~~
아래쪽 홈페이지 예약창 눌러주세요
★홈페이지 실시간 예약현황★
https://blueho.sunsang24.com
★블루호 밴드로 초대합니다★
https://band.us/band/64139149
*24년형 1월생 신조선 9.77t(22인승)
*최단거리 포인트도착(시즌 1시간내외 거리)
*자리 추첨제(2일차 자리 우선권)
*1인1매트(자리번호와동일)
*개인간격 널널하고 깨끗하고 편안한 낚시제공
*전문적인 낚시가이드(사무장님)항시대기
*초보자분도 1대1로 개인강습 부담없이 오시면됩니다
*갓지은밥과 뜨끈뜨끈한국//즉석 생선튀김//그리고 푸짐한반찬으로
선상에서 즐기는 즐거운 점심식사
*출발전에 간단하게 누룽지 제공합니다
전화 예약문의:010-6537-8077
선장님 직통:010-5124-3517
배타는곳:거제시 일운면 지세포 관광유람선
(해양레포츠센터쪽 주차장이용)











*** 거제 블루호 예약 안내 ***
예약문의 : 010-6537-8077
오시는길 : 경남 거제시 일운면 지세포관광유람선 (해양레포츠센터쪽 주차장이용)
홈페이지 : https://blueho.sunsang24.com/