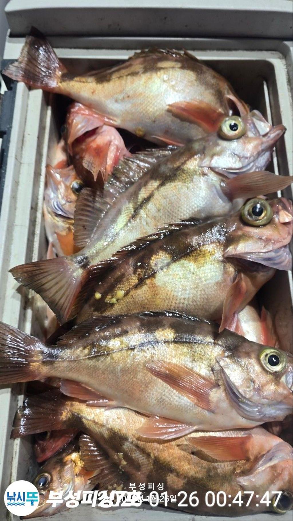
[부성피싱7호]미친대왕열기 신발오버사이즈 낚시대 부서집니다...오늘도그곳으로~ 오늘예약가능

신상품 소개


회원 랭킹


공지사항


NaverBand
점주/선장 > 선상 + 좌대 조황

[부성피싱7호]미친대왕열기 신발오버사이즈 낚시대 부서집니다...오늘도그곳으로~ 오늘예약가능

7부성피싱호 0 101
● 출항지 : 통영 ● 출조지 : 통영
F2843115GM.jpg낚시뚜에서 인낚으로 보내는 자동조황
top01.png

부성피싱

부성피싱7호

top02.png
오늘 예약가능합니다 문의바랍니다
· 출조일시2026-01-26(월)
· 출조인원1명
· 어종열기

통영부성피싱호는 1호,7호 2척 ★V.I.P★

운항하며 선상전문 낚시배입니다

(왕갈치,왕한치,왕문어,왕오징어,왕볼락,왕열기​)

★독배문의주세요★

예약문의:010-9766-5912

예약문의:010-9766-5912

통영시 산양읍 산양일주로 258 (명칭검색 !!부성피싱호)

부성피싱호 바로 검색하세요~

★V.I.P★

1호 16인승 7호14인승

갈치/한치/문어/오징어/열기,볼락

수협 2060-0082-6225 박홍열

(예약금 입금확인후 예약완료)

"밴드에 들어오시면

더 많은 조황을 보실수있습니다"


네이버 밴드 초대

https://band.us/@qntjd

https://band.us/@qntjd

↓예약하러 바로가기 고고↓

http://busung.sunsang24.com/

http://busung.sunsang24.com/

↓부성피싱 유튜브바로가기↓

http://www.youtube.com/@Busung_fishing_boat

http://www.youtube.com/@Busung_fishing_boat

F2843115GM.jpgF2843116PR.jpgF28431140S.jpgF28431136P.jpgF284311239.jpgF2843105RC.jpgF2843111OL.jpgF2843110C2.jpgF2843109M7.jpgF2843108KT.jpgF2843107R2.jpgF2843106F7.jpgF28431045S.jpgF2843103JG.jpgF284310262.jpgF284310162.jpgF2843100Z3.jpgF2843096C1.jpgF2843095Z4.jpgF28430990J.jpgF2843090FK.jpgF28430988C.jpgF2843097RY.jpgF2843092TD.jpgF2843091E4.jpgF2843094GT.jpgF2843093SM.jpgF2843089ZO.jpgF2843088XT.jpg

수협 2060-0082-6225 박홍열

(예약금 입금확인후 예약완료)


★V.I.P★

1호 16인승 7호14인승

★독배문의주세요★

갈치/한치/오징어/열기,볼락


낚시대,전동릴,쿨러 대여가능(각1만원씩)

★출조전날 문자로 알려드립니다★

갈치12시30분추첨!! 1시~ 출항/7시~8시입항(유동적)

한치,오징어낚시 1시30분출항~7시입항

예약문의:010-9766-5912

예약문의:010-9766-5912


통영시 산양읍 산양일주로 258 (명칭검색 !!부성피싱호)

부성피싱호 바로 검색하세요~

수협 2060-0082-6225 박홍열


예약후 예약금을 입금하시고 입금확인후 예약이완료됩니다 (선착순예약)

당일취소가 많아 미입금시 선사임의로 취소될수있습니다

※당일취소 환불불가※


추첨방식 2,3명이던 상관없이 일행들 한분만 자리뽑아

같이앉도록합니다 단, 4명이상 자리우선배정


부성피싱갈치서비스:즉석한강라면,얼음,식사,미끼,기둥줄,커피,생수

선상칼치회 또는 오뎅탕 또는 떡국


사무실판매:수제어부바늘,꼴뚜기바늘,10단기동줄,집어등,

집어등밧데리,목장갑,미끼써는칼

열기볼락채비,오징어채비 오징어스틱

한치채비 에기등등..

(열기볼락채비 청개비 주문시 미리 전날 말씀해 주세요)


개인준비물:신분증필수,낚시대,전동릴,쿨러,목장갑,미끼써는칼

가위,멀미약(필수),개인용품(겉옷,썬크림)

선내에서는 음주를 금지합니다

수도권버스출조 서울,경기지역에서 매일 셔틀버스운행합니다

버스출조안내

제로쿨버스 010-9425-4123

"밴드에 들어오시면

더 많은 조황을 보실수있습니다"

네이버밴드초대

https://band.us/@qntjd

https://band.us/@qntjd


↓예약하러 바로가기 고고↓

http://busung.sunsang24.com/

http://busung.sunsang24.com/

↓부성피싱 유튜브바로가기↓

http://www.youtube.com/@Busung_fishing_boat

http://www.youtube.com/@Busung_fishing_boat


 

네비주소 :통영시 산양일주로 258

예약문의

01097665912

수협

2060-0082-6225

박홍열

nopic_cptn.jpg

부성피싱

부성피싱7호

부성피싱 선장

F080305478.jpg
항구명 통영영운리항
승선인원 20명
출조점명 부성피싱
배 타는 곳영운항 선착장

홈페이지 바로가기 Click

낚시뚜
▶ 지켜주세요! ◀

- 당일 조황을 올리셔야 합니다.
- 지난 조황은 2일이내 미등록 조황만 가능합니다.
- 이미 올린 조황을 붙여넣기하여 계속 등재하시면 중복조황에 해당합니다.
- 당일 조황을 올리면서 이전 조황을 같이 올리면 중복조황에 해당합니다.
- 조황없는 출조정보는 출조정보 게시판을 이용하시길 바랍니다.
- 올린 글 삭제하고 다시 올려 상단에 올리려는 방법, 이용규칙 위반입니다.
- 제목에 특수문자 사용하시면 안됩니다. (온점, 쉼표, 느낌표, 괄호, 물결만 허용)

☆ 공지사항에 '조황등재시 유의사항' 게시글을 꼭 확인하시고 조황작성 부탁드리며, 가장 기본적인
규칙이 지켜지지 않을 시 예고없이 글 삭제 및 이용정지 될 수 있음을 알려드립니다.

  • 페이스북으로 보내기
  • 트위터로 보내기
  • 구글플러스로 보내기
  • 카카오스토리로 보내기
  • 네이버밴드로 보내기
  • 네이버로 보내기
  • 텀블러로 보내기
  • 핀터레스트로 보내기
0 댓글
포토 제목
 
 

인낚 최신글


인낚 최신댓글


온라인 문의 안내


월~금 : 9:00 ~ 18:00
토/일/공휴일 휴무
점심시간 : 12:00 ~ 13:00