네임
카드
카드
퓨리호
전남 여수시 화정면 백야리 58-11
010-5255-9557
전남 여수시 화정면 백야리 58-11

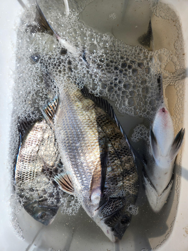
1월 30일 감성돔 조황
인원 3명 출조했습니다.
바람이 계속 불고 체감온도가 낮아 많이 추운 하루였습니다. ????️❄️
이번 출조는 새로운 포인트에서 낚시를 진행했습니다.
여건은 쉽지 않았지만, 꾸준한 공략 끝에 감성돔 얼굴을 확인하며
포인트의 가능성을 확실히 느낄 수 있었습니다. ????
아직 더 좋아질 여지가 충분해 보이는 자리라
다음 출조에서는 더 나은 조과가 기대됩니다.
날씨만 조금 받쳐준다면 재미있는 낚시가 될 것 같네요.
추운 날씨 속에서도 함께하신 분들 모두 고생 많으셨고,
다음 출조가 더욱 기대됩니다!



*** 여수 퓨리호 예약 안내 ****
예약문의 : 010-5255-9557

|
|
|
|

