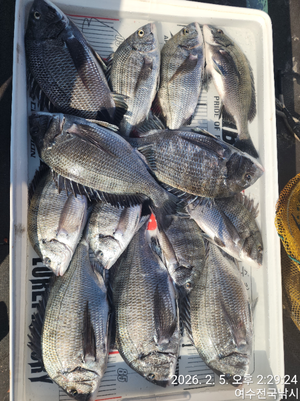
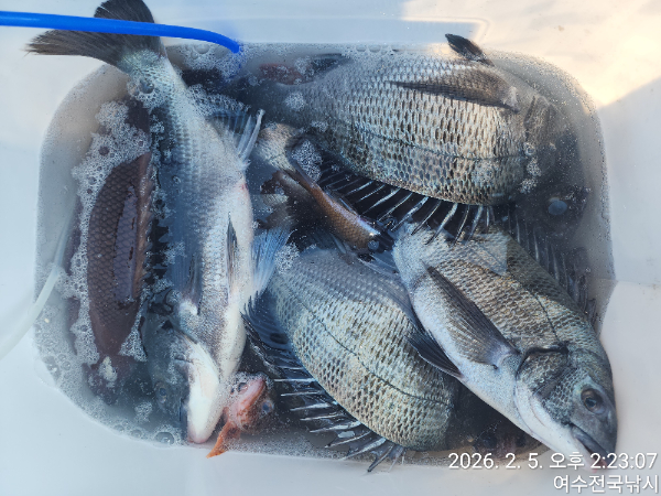
씨알급 마릿수 조황입니다.

신상품 소개


회원 랭킹


공지사항


NaverBand
점주/선장 > 선상 + 좌대 조황

씨알급 마릿수 조황입니다.

여수전국낚시 0 63
● 출항지 : 여수,광양
#오늘의조황

TimePhoto_20260205_142233.jpg


TimePhoto_20260205_142843.jpg


TimePhoto_20260205_142240.jpg


TimePhoto_20260205_142307.jpg


TimePhoto_20260205_142316.jpg


TimePhoto_20260205_142927.jpg


TimePhoto_20260205_142924.jpg


TimePhoto_20260205_143051.jpg


TimePhoto_20260205_142930.jpg

 
안영하세요?
(마초맨본부)여수전국낚시입니다.

오늘도 역시 대물급 손맛보고 있습니다.
목줄이 터지고 45급 여석들의 얼굴을
확인하고 있습니다.

●5일(금요일)금오열도권 출조합니다.
6명 자리여유 있습니다.
빠른예약 부탁 드립니다.

좋은씨알 감성돔 조황을 찿아 힘차게
달려 보겠습니다.

●밑밥,미끼,커피,뜨거운물=10만원으로
여러분을 모시고 있습니다.

●편한 휴식을 즐길수있는 넓은 선실과
낚시간격 2m로 낚시를 즐길수 있습니다.

●(출조예약예약)선상낚시●
☆(금요일)출조 자리여유 있습니다.(확정)
☆(토요일)출조 자리여유 있습니다.(확정)
☆(일요일)출조 자리여유 있습니다.(       )

☆아주 늦은 시간에도 전화 주시면
함꾸네 출조합니다
마초맨본부:010 3608 6131

●아래 조황은 수요일 조황 올리지 못한
조황 사진입니다 참고하시고
주저마시고 전화주세요~



*** 여수 전국낚시 예약 안내 ***


예약문의 : 010-3608-6131

오시는길 : 전남 여수시 신월5길 50
홈페이지 : https://wide.sunsang24.com/

모바일.jpg 

blank.png1


  • 페이스북으로 보내기
  • 트위터로 보내기
  • 구글플러스로 보내기
  • 카카오스토리로 보내기
  • 네이버밴드로 보내기
  • 네이버로 보내기
  • 텀블러로 보내기
  • 핀터레스트로 보내기
0 댓글
포토 제목
 
 

인낚 최신글


인낚 최신댓글


온라인 문의 안내


월~금 : 9:00 ~ 18:00
토/일/공휴일 휴무
점심시간 : 12:00 ~ 13:00