손대권으로 가쟈

신상품 소개


회원 랭킹


공지사항


NaverBand
점주/선장 > 선상 + 좌대 조황

손대권으로 가쟈

보아스호 0 64
● 출항지 : 통영
956995f7d1cd14cb2196da1101e82477.jpg8fb0fb7b1d61a3f1fdd536d5670f0433.jpg319df96ea24fc8e7ae0c386e8345559e.jpgbf69353d3b048a057c5c4270a0811648.jpg70ea78bed52b90e3e922983dff178e26.jpg8c33653f0ea2107eafaa21b64d6351da.jpg52c314041445d5e444d92fcd66223ab4.jpg8cf804f02a3fd7303641005dd5198228.jpg45875dc7f4ee9648b106a7f49da7c9de.jpgb18c809f1458e029c859ac0ecc2dcf23.jpgd21bcf0162fe011fc92a8070208aa5a9.jpgeb8bd964494677bc7ec12ff00fd709a8.jpgf3575cd25648e21f7efa487fa761cdbf.jpg
#보아스호 #루어전문선사
#통영최고선사9.77보아스호
#타이라바 #빅게임초보탈출가능
#참돔타이라바 #통영선상낚시
#안경섬 #구을비도 #홍도 #매물도권
#손대권 #기상만허락하면항시출조
#예약010-9329-4830
#선장010-4841-6235

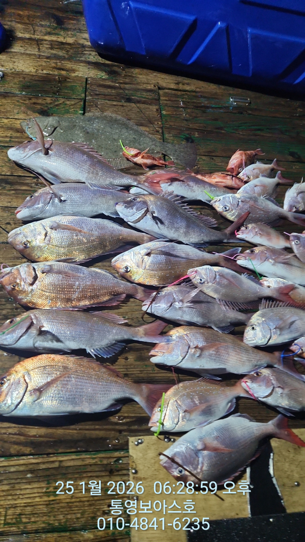
 안녕하세요 보아스호입니다 
목요일 출조 조황이네요 

날도 너무 좋은데 인원부족으로
선단배와 동출 선장님도 함께 출조했네요 

함께 출조해 1대1일 특별 교육까지 함께
즐거운 시간을 보내고 돌아왔네요

날씨도 많이 풀려서 따뜻한데 바다에서는
참돔도 잘꼬셔서 돌아 왔네요 

주말 기상이 안좋아서 쉬고 
월요일 기상이 좋습니다
함께 출조하고 하시죠 

바다로 조사님과 배타고 나가고 싶네요

기상만 허락하면 조사님과 바다로 갑니다
월요일부터는 사이즈 좋은 대짜 손대권 
7짜 8짜 9짜까징 도전해봅니다 

인생고기 잡으러 손대권으로 가쟈 
조사님들 인생고기는 언제 올지 몰라요

어서 오셔서 함께 가가보자구요


지난 손대권 출조 사진 첨부









==== 통영 보아스호 예약안내 ====

예약문의 보아스 매니져: 010-9329-4830  

 부재시 선장. 010-4841-6235

오시는길 : 경남 통영시 당동 417번지 
또는 통영시 통영 해안로20

네이버밴드 : https://band.us/band/75482568

홈페이지 바로가기 : http://boas.sunsang24.com/

 

컵라면, 생수, 커피, 음료 무한리필 중식제공 
blank.png1


  • 페이스북으로 보내기
  • 트위터로 보내기
  • 구글플러스로 보내기
  • 카카오스토리로 보내기
  • 네이버밴드로 보내기
  • 네이버로 보내기
  • 텀블러로 보내기
  • 핀터레스트로 보내기
0 댓글
포토 제목
 
 

인낚 최신글


인낚 최신댓글


온라인 문의 안내


월~금 : 9:00 ~ 18:00
토/일/공휴일 휴무
점심시간 : 12:00 ~ 13:00