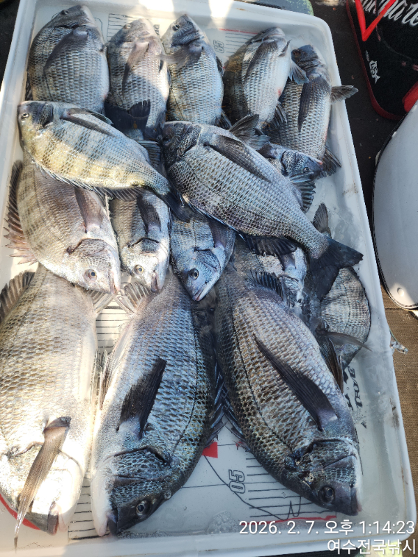
60cm놈과의 한판승부로....!!!

신상품 소개


회원 랭킹


공지사항


NaverBand
점주/선장 > 선상 + 좌대 조황

60cm놈과의 한판승부로....!!!

여수전국낚시 0 26
● 출항지 : 여수,광양
79d7d07d02b20552fe459aac0b66eae5.jpge6f4c05ab4494b8b0dcd211218105832.jpg2a0b54a8f762bf63afaaff3660f6db03.jpg6d2dc16e0f16740e2f510380f58cd5bf.jpgcdf251179986e1442a80665d40c6429c.jpg078b0a356737d53d7ddf16ffb138906e.jpg22295b52aca6db277429103b55bf225a.jpg2fe06294459d7348507eb0fde3f0b68a.jpg1a3a05fc17a5aca076cb83b43340b965.jpgf97d41ef59ac413a755a9748568339b8.jpg2d652a07d593307bd7935b586e30f21d.jpgfeab8aafe3697c9cc95cb297c2355121.jpg501d11ecaf106dbf6bdd84b83222d576.jpg3aae9470550c67e5dfa0c6c14364ed81.jpg3da16d07efbee5a1b67e38bd8e344b50.jpg92bb8dc2bfb8bf6d52a8e6bbd29a4479.jpg1c98dcd340dc16964f424f7631380e36.jpg
#출조공지
안녕하세요?
마초맨본부(여수전국낚시)입니다!

점차적으로 대물 50급이상 감성돔 조황이 낱마리에서 마릿수 조황으로 이어지고....,
60cm의 기록적인 대물과의 한판승부가
계속 이어질 것입니다.

☆목줄관리 철저하게 하시기 바랍니다.
☆원줄(프로팅)사용 3호이상.
☆목줄 2~3호 사용권장 합니다.
☆막대어신찌 2~3호 사용
☆감성돔바늘 3~4호 4호바늘 권장합니다.

●선비+밑밥+미끼+커피+뜨거운물=
●포함100,000원에 모시고 있습니다.
●단체출조는 일주일전 사전예약 가능
●휴식공간: 넓은 선실에서 잠시 휴식
뜨거운커피 수시로 드실수있는 선실네에
비치되어 있습니다 커피뿐만 이니고
컵라면도 드실수있는 뜨거운물 있습니다.
●편한 낚시를 즐겨 보시기 바랍니다.

☆마초맨본부,출조현황☆
9일(월) 선상낚시,자리여우  (확정)
10일(화)선상낚시,자리여유 (확정)
11일(수)선상낚시,자리여유 (확정)
12일(목)선상낚시,자리여유 (확정)
13일(금)선상낚시,자리여유 (확정)
14일(토)선상낚시,예약왈료 (확정)
15일(일)선상낚시,자리조금 (확정)
16일(월)선상낚시,자리여유 (확정)
17일(화)선상낚시,자리여유 (확정)
18일(수)선상낚시,자리여유 (확정)

여러분을 초대하고 싶습니다
밴드에 오시면 보다더 조황소식 접할수 있습니다.



*** 여수 전국낚시 예약 안내 ***


예약문의 : 010-3608-6131

오시는길 : 전남 여수시 신월5길 50
홈페이지 : https://wide.sunsang24.com/

모바일.jpg 

blank.png1


  • 페이스북으로 보내기
  • 트위터로 보내기
  • 구글플러스로 보내기
  • 카카오스토리로 보내기
  • 네이버밴드로 보내기
  • 네이버로 보내기
  • 텀블러로 보내기
  • 핀터레스트로 보내기
0 댓글
포토 제목
 
 

인낚 최신글


인낚 최신댓글


온라인 문의 안내


월~금 : 9:00 ~ 18:00
토/일/공휴일 휴무
점심시간 : 12:00 ~ 13:00