카드
전라남도 여수시 소호1길 60-5
백호호>설 명절 참돔 잡으로 타이라바 목요일 금요일 주말 계속 출항 합니다(자리여유)
전라남도 여수시 소호1길 60-5




















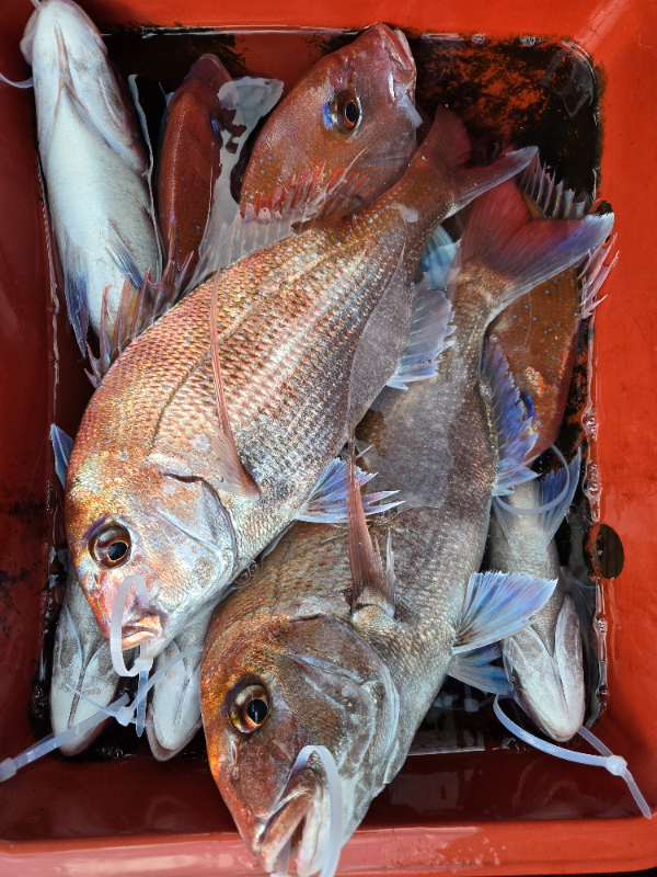
5일 목요일 먼바다 참돔 타이라바 조황 입니다
생각 보다 좋지 않은 날씨 여서 그런지 많은 참돔은 확인 되었으나 안좋은 수온 때문 인지 약은 입질도 많고 설물어서 빠진 참돔들도 어마어마 했습니다. 설 명절 고기 참돔 12일 목요일 부터 물때 좋고 날씨 좋습니다. 무리해서 출항 하지 않고 저희는 날씨 좋은 목요일 부터 출항 하겠습니다.
⚠️거문도.백도 타이라바 출항 ⚠️
♻️목요일 2월12일 백도 거문도 여서도 참돔 타이라바(14만원)
♻️금요일 2월13일 백도 거문도 여서도 참돔 타이라바(14만원)
♻️토요일 2월14일 백도 거문도 여서도 참돔 타이라바(14만원)
♻️일요일 2월15일 백도 거문도 여서도 참돔 타이라바(14만원)
♻️월요일 2월16일 백도 거문도 여서도 참돔 타이라바(14만원)
♻️화요일 2월17일 백도 거문도 여서도 참돔 타이라바(14만원)
백호는 달립니다.
동영상조황 올립니다.
여수백호. <<<밴드 가입 하시고 (동영상 조황 보세요)
마릿수 또한 물론 엄청 잘 나옵니다.
여러분 어느 선사와 비교를 해보십시요
저희 손님들이 다 보고 계십니다.
(여수 백호) <<<밴드 가입 하시면
동영상 조황 있습니다
어떤날은 잘 나오고
어떤날은 안 나오고
모두 노력 하는데. . .
매일 매일 잘나오면 얼마나 기쁠까요
어제 꽝 치고 오늘 잘 나오면 어제 손님께 죄송 하고.
어제 오늘 내일 항상 다른 손님들 모시고
선장은 똑같이 노력 합니다.
그날 그날 조황이 다르더라도
특히 사리때나 날씨 안좋고 조황 안좋을때
너무 미워 하지 마시고.
안전 하고 즐겁게 취미 라 생각 하시고
즐겨 주시길 바랍니다.
충~성
☎️예약실장 010 4668 1693
⚠️⚠️백호 출항 일정⚠️⚠️
●12일 목요일~거문도 먼바다 참돔 타이라바(새벽4시 출항~오후7시 입항) (거문도.백도) 황금물때(자리여유)도시락.라면.과자.오뎅탕.코카콜라
●13일 금요일~거문도 먼바다 참돔 타이라바(새벽4시 출항~오후7시 입항) (거문도.백도) 황금물때(자리여유)도시락.라면.과자.오뎅탕.코카콜라
●14일 토요일~거문도 먼바다 참돔 타이라바(새벽4시 출항~오후7시 입항) (거문도.백도) 황금물때(자리여유)도시락.라면.과자.오뎅탕.코카콜라
●15일 일요일~거문도 먼바다 참돔 타이라바(새벽4시 출항~오후7시 입항) (거문도.백도) 황금물때(자리여유)도시락.라면.과자.오뎅탕.코카콜라
●16일 월요일~거문도 먼바다 참돔 타이라바(새벽4시 출항~오후7시 입항) (거문도.백도) 황금물때(자리여유)도시락.라면.과자.오뎅탕.코카콜라
***주의:출항 시간은 물때와 문어 나오는 시간에 따라 변경 될 수 있음을 고지 합니다.
항에 들어 오기 전에
사무장님이 피 빼서 아이스 박스에 담아 드립니다.
그러므로 도착해서 드시면 육질의 식감이 좋습니다.
여수 백호호 밴드에 최근 동영상 조황 있습니다
거문도 20년 경력의 임실장이 직접 자선장 으로 운행 합니다.
올해들어 최고의 날씨 이며
바람 도 없고 물때도 최고 입니다.
(백호는 자선장이 직접 운항 합니다)
백호밴드 들어 오시면 오늘 동영상 볼거리 많이 올려 놨습니다.
⚠️타이라바 개인 준비물품⚠️
♻️120g 헤드 5개
♻️150g 헤드 5개
♻️180g또는 200g헤드 4개(사리 물때 제외 150g ~180g 헤드 가장 많이 사용)
다 떨어져도 걱정 마세여 배에 있어요
*베이트릴 5점대.6점대 필요 합니다.(5점대 릴 가장 많이 선호)
*타이 컬러의 기본 색상은 (빨간,보라,초록,주황)
*합사 원줄은 0.8~1호 사용 하시면 됩니다.
*쇼크리더는 3호.4호.5호 (카본 또는 후로로카본)(싸게 사실 분 민물 옥내림 줄 사용)
*로드는 타이라바 전용로드나 L로드나 ML로드 사용
*개인 아이스박스나 라이프바칸 준비 바랍니다.
외수질 낚시 개인 준비물품
*평균40호50호 및 먼바다 갈때는 60봉돌 한봉지 정도 필요 합니다. (사리 물때 제외 50봉돌 가장 많이 사용)
*베이트릴 4점대.5점대 필요 합니다.(5점대 릴 가장 많이 선호)
*외수질 채비는 바늘이 22호 를 가장 선호 합니다(20호~23호)
*합사 원줄은 2호~3호 사용 하시면 됩니다.
*로드는 문어 로드 또는 외수질 전용로드나 MH로드나 H로드 HH로드 사용
*개인 아이스박스나 라이프바칸 준비 바랍니다.
생활낚시 전문
여수 백호피싱 010 4668 1693
=== 여수항 백호호 예약안내 ===
예약문의 : 010-8501-0105
오시는길 : 전남 여수시 소호1길 60-5
홈페이지 : http://wt.sunsang24.com/

|
|
|
|

