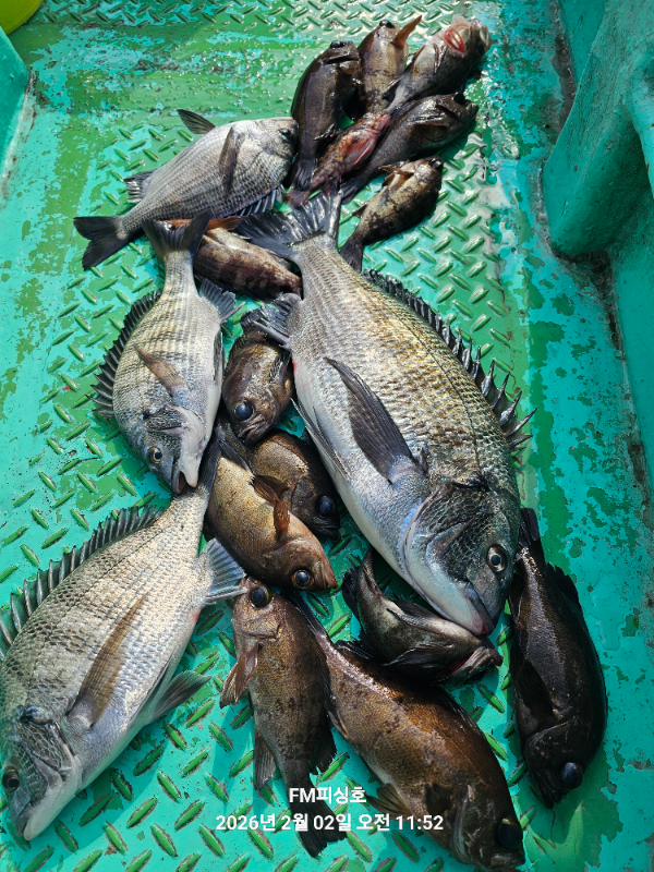
(거제 FM 피싱호 ㅡ감성돔흘림)~오늘밤 출항합니다 ㅡ야간낚시 갈려고합니다 같이할 조사님 모십니다

신상품 소개


회원 랭킹


공지사항


NaverBand
점주/선장 > 선상 + 좌대 조황

(거제 FM 피싱호 ㅡ감성돔흘림)~오늘밤 출항합니다 ㅡ야간낚시 갈려고합니다 같이할 조사님 모십니다

FM피싱호 0 45
● 출항지 : 거제
실시간 예약 홈페이지
5178220ce85beaca7a55402f3e64a906.jpgec03860eb330f3a68dc15c337fb3919c.jpg
오늘밤 ㅡ야간출조 ㅡ예약가능 
ㅡ출항 ㅡ17:00
ㅡ철수ㅡ02:00~03:00
ㅡ종일낚시 ㅡ11만원 
ㅡㅡ
ㅡ미끼.밑밥.청개비.크릴 기타등등 제공 ㅡ


ㅡㅡㅡㅡㅡㅡㅡㅡㅡㅡ
ㅡ공지합니다ㅡㅡ
    ㅡ종일낚시(야간)                 
      ㆍ출항ㅡ일몰 30분전            ㆍ
      ㆍ철수 ㅡ02:00시 전ㆍ후.     
       ㆍ선비ㅡ11만원.                 
      ㆍ밑밥.미끼(크릴.청개비)                                            .식사.간식.음료기타등
등 ㅡ전품목제공(장비만 들고오세요)
        ㅡ종일낚시 (주간}
       ㆍ선비ㅡ11만원 
       ㆍ시간~출항 ᆢ05:00시 전ㆍ후 
                    철수 ~14:00시 전ㆍ후 
ㆍㆍ밑밥.미끼.간식.식사.음료..생수 기타등등
       ●(FM피싱호)손님들께 죄송한 마음을 올림니다.
   ㆍ간간히 펑크낸 조사님들이 계셔서 예약은
                어쩔수없이
      선 입금후 예약을 잡도록 하겠습니다 
      너그러운 마음으로 양해바랍니다.

      
      
 




=== 거제도 에프엠피싱호 예약안내 ===


예약문의 : 010-4998-5333

오시는길 : 거제시 둔덕면 술역리789-8(방파제 중간에 배타는곳이 있습니다)

홈페이지 : http://fm.sunsang24.com/


모바일.gif 

blank.png1


  • 페이스북으로 보내기
  • 트위터로 보내기
  • 구글플러스로 보내기
  • 카카오스토리로 보내기
  • 네이버밴드로 보내기
  • 네이버로 보내기
  • 텀블러로 보내기
  • 핀터레스트로 보내기
0 댓글
포토 제목
 
 

인낚 최신글


인낚 최신댓글


온라인 문의 안내


월~금 : 9:00 ~ 18:00
토/일/공휴일 휴무
점심시간 : 12:00 ~ 13:00