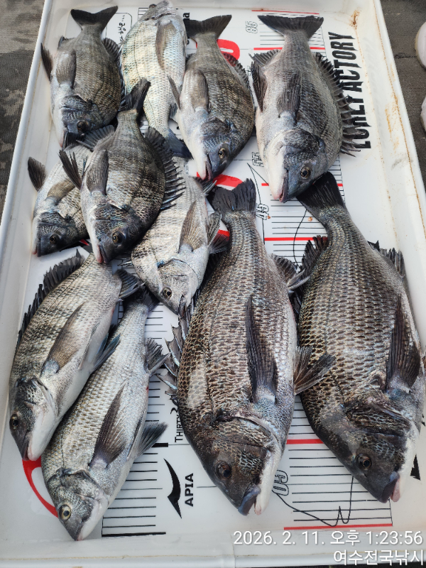
51+51cm 50cm등등...마릿수

신상품 소개


회원 랭킹


공지사항


NaverBand
점주/선장 > 선상 + 좌대 조황

51+51cm 50cm등등...마릿수

여수전국낚시 0 77
● 출항지 : 여수,광양

TimePhoto_20260211_131901.jpg


TimePhoto_20260211_131830.jpg


TimePhoto_20260211_132440.jpg


TimePhoto_20260211_131930.jpg


TimePhoto_20260211_132350.jpg


TimePhoto_20260211_132345.jpg


TimePhoto_20260211_132356.jpg


TimePhoto_20260211_132007.jpg

#오늘의조황
51+51cm 두마리 50cm등등 마릿수조황
안녕하세요?
마초맨본부(여수전국낚시)입니다!

오늘 출조는 3분의 대물찿은 조사님을
모시고.....!!

조류의 힘이 미약하여 낱마리 조황 이었지만
1물 인데도 조류의 소통이 미약했지만
조류만 가면 온다....!!!
오늘도 2.5목줄도 걸래가 되어버린 목줄...

또다시 점차적으로 대물 50급이상 감성돔 조황이 낱마리에서 마릿수 조황으로 이어지고....,

60cm의 기록적인 대물과의 한판승부가
계속 이어질 것입니다.

☆목줄관리 철저하게 하시기 바랍니다.
☆원줄(프로팅)사용 3호이상.
☆목줄 2~3호 사용권장 합니다.
☆막대어신찌 2~3호 사용
☆감성돔바늘 3~4호 4호바늘 권장합니다.

●선비+밑밥+미끼+커피+뜨거운물=
●포함100,000원에 모시고 있습니다.
●단체출조는 일주일전 사전예약 가능
●휴식공간: 넓은 선실에서 잠시 휴식
뜨거운커피 수시로 드실수있는 선실네에
비치되어 있습니다 커피뿐만 이니고
컵라면도 드실수있는 뜨거운물 있습니다.
●편한 낚시를 즐겨 보시기 바랍니다.

☆마초맨본부,출조현황☆
9일(월) 선상낚시,자리여우  (확정)
10일(화)선상낚시,자리여유 (확정)
11일(수)선상낚시,자리여유 (확정)
12일(목)선상낚시,자리여유 (확정)
13일(금)선상낚시,자리여유 (확정)
14일(토)선상낚시,예약왈료 (확정)
15일(일)선상낚시,자리조금 (확정)
16일(월)선상낚시,자리여유 (확정)
17일(화)선상낚시,자리여유 (확정)
18일(수)선상낚시,자리여유 (확정)

빠른 예약 전화가 필료합니다.
마초맨본부: 010 3608 6131
감사합니다.



*** 여수 전국낚시 예약 안내 ***


예약문의 : 010-3608-6131

오시는길 : 전남 여수시 신월5길 50
홈페이지 : https://wide.sunsang24.com/

모바일.jpg 

blank.png1


  • 페이스북으로 보내기
  • 트위터로 보내기
  • 구글플러스로 보내기
  • 카카오스토리로 보내기
  • 네이버밴드로 보내기
  • 네이버로 보내기
  • 텀블러로 보내기
  • 핀터레스트로 보내기
0 댓글
포토 제목
 
 

인낚 최신글


인낚 최신댓글


온라인 문의 안내


월~금 : 9:00 ~ 18:00
토/일/공휴일 휴무
점심시간 : 12:00 ~ 13:00