감시흘림 4중 ~5초까지 낼 빈자리 있습니다
인낚ㅣ인터넷바다낚시
어종별선상
어종별갯바위
낚시인조황
점주선장조황
출조정보
낚시광장
낚시지식인
낚시교실
중고장터
휴게실
인낚도서관
인낚몰
0
홈
어종별선상
어종별갯바위
낚시인조황
점주선장조황
출조정보
낚시광장
낚시지식인
낚시교실
중고장터
휴게실
인낚도서관
인낚몰
어종별선상
어종별갯바위
낚시인조황
점주선장조황
출조정보
낚시광장
낚시지식인
낚시교실
중고장터
휴게실
인낚도서관
인낚몰
어종별선상
4대돔 조황
먹물 조황
갈치 조황
볼락&전갱이
빅게임 지깅&파핑
외줄&외수질
기타 어종
어종별갯바위
4대돔 조황
먹물 조황
갈치 조황
볼락&전갱이
농어&삼치&방어&부시리
기타 어종
낚시인조황
낚시인 번개조황
낚시인조행기
스탭조행기
우리낚시동호회이야기
전국낚시동호회소개
동호회갤러리
지난 조황자료보기(년도별 조황 자료)
점주선장조황
전국 실시간 조황
선상(배)+좌대 조황
갯바위+방파제 조황
점주선장전용 공지사항
지난 조황자료보기(년도별 조황 자료)
출조정보
낚시인동행출조
점주선장 갯바위 출조
점주선장 선상출조
기상파고정보(기상청)
해상예보
물때표
파고예보(일본)
실시간해양관측예보
스마트조석예보
낚시광장
낚시계뉴스
대회 및 낚시관련 홍보
제품평가단
신상품소개
낚시지식인
Q&A 묻고 답하기
지식인 베스트
조황/포인트 문의
낚시용품 사용기
낚시투표
토론방
新어류도감
낚시교실
낚시기법소개
어종별 낚시교실
입문자교실
중급자교실
낚시용어사전
중고장터
중고장터 이용후기
더치트 사기피해 검색
팝니다
삽니다
교환합시다
무료로 드립니다
부품팝니다
부품삽니다
일반 생활용품 사고 팔기
휴게실
출석부
낚시갤러리
세상사는 이야기(자유게시판)
낚시이야기 마당
먹고사는 이야기
구인구직
칭찬합니다
어째이런일이
습득물 찾기
인낚도서관
인낚 유튜브
인낚 칼럼
블루, 그것이 알고싶다
더블테일의 두 눈으로 보는 세상
입질의추억의 피싱다이어리
나無의 바다 이야기
전문강좌
海巖의 바다낚시 이야기
이성규의 전유동낚시 강좌
조성민의 금요루어클럽
인낚몰
홈소개
공지사항
자주 묻는 질문
운영진에게
광고/제휴문의
로그인
자동로그인
회원가입
|
정보찾기
점주선장조황
전국 실시간 조황
선상(배)+좌대 조황
갯바위+방파제 조황
점주선장전용 공지사항
지난 조황자료보기(년도별 조황 자료)
신상품 소개
긱스 나노에이스
낚시고 미장구레 VIP 대본류 벵에돔 파우더
낚시고 위력 벵에돔 파우더
천류 카모 피싱백
천류 레자 피싱백
zzis 찌스 전자기울찌 호리존탈 전유동전용 출시!
회원 랭킹
44
1
왕초보태공
31
2
미호
28
3
쌩기똥기
25
4
오사마리
21
5
마루미르
18
6
ctan
17
7
돌붕어
16
8
Nike1972
15
9
부산그녀석
14
10
블루홀리
14
11
시작하는채비와장비
12
12
나돔
12
13
무덕이
12
14
망상어전문
12
15
전공태
11
16
꿈의사냥5짜
11
17
하루모
10
18
테리6443
10
19
촌놈남해
10
20
쌍칼라
10
21
APPLEPIE
9
22
돌돔참돔
9
23
장생포털보낚시
9
24
Donf까
9
25
벵에만한다
9
26
왕사미다내꺼
9
27
울트
9
28
고기잡으세
8
29
린사장
8
30
감성전설
8
31
물망사
8
32
불타는시마
8
33
농약한잔의여유
8
34
야무지네
8
35
토영낚린이
7
36
양산서가이드피싱샵
7
37
우하하
7
38
와니와니와니
7
39
로그온
7
40
허쯔
7
41
신용대
7
42
불꽃버디
7
43
대물헌트
7
44
재팔79
7
45
부산오리
7
46
갓바우조사
6
47
취한다
6
48
낄낄이
6
49
그믐달
6
50
마린보이573
6
51
가마인
6
52
앵그리정
6
53
신강수도
6
54
X10A
6
55
때구어장
6
56
감시마을
6
57
푸른생선
6
58
한국밑밥연맹
6
59
만또라미
6
60
감시밥줄
6
61
감시잡아보자궁
6
62
둥시
6
63
방어지코
6
64
광주고프로
6
65
거침없이산다
6
66
블루피싱호
6
67
아귀찜
5
68
꼴방MAN
5
69
gaskjy
5
70
바다사나이월천
5
71
거제그놈
5
72
챔질만잘했어도
5
73
리미티드아마추어
5
74
FTWiceman
5
75
지나온추억
5
76
2vs0
5
77
새조개
5
78
좌타우타
5
79
복사초등대
5
80
전유동매니아
5
81
짱규
5
82
모카사랑해
5
83
4계절벵에
5
84
상석바위
5
85
밍킈
5
86
진주진이
5
87
금땡
5
88
쏘렝이
5
89
벵병
5
90
로지즈
5
91
감시통조림
5
92
부시리우스2022
5
93
앵글러킴미르
5
94
감성돔대장
5
95
방생또방생
4
96
나라스카이2.5
4
97
젤리빈
4
98
즐낚쵝오
4
99
캠낚이
4
100
미니미래
공지사항
01.19
★ 삼성브라우저 플러그인 설치 금지!!
09.01
★ 2025년 9월 5일 사이트 리뉴얼 오픈 안내
06.09
★ "Connect Error: No such file or directory" 에러가 발생시
05.29
★ 카이퍼넷 방화벽 차단시 설정방법
07.03
★ 사이트 정상운영 ★ 24.07.03
06.19
★ 사이트 정상운영 ★ 24.06.19
06.17
★ 사이트 정상운영 ★
06.14
★ 서비스 일시정지 - 서버이전작업 ★
07.14
★ 112차 제품평가단 위촉 명단 발표
07.07
★ 112차 제품평가단모집 - 1차
점주/선장 >
선상 + 좌대 조황
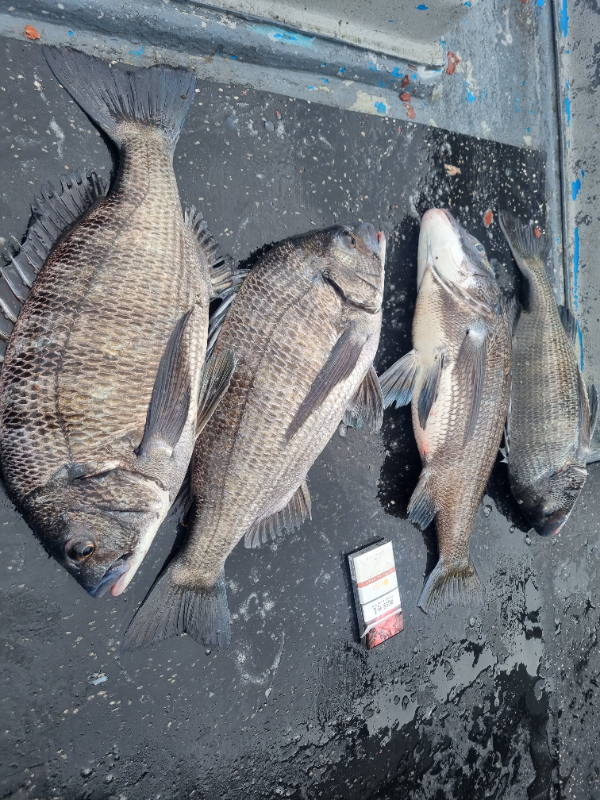
감시흘림 4중 ~5초까지 낼 빈자리 있습니다
통영명인낚시
0
71
02.14 15:14
● 출항지 : 통영
● 출조인원 : 3~5명
네임
카드
명인낚시
통영시 미수해안로53-1
010-8528-9888
실시간 예약
홈페이지
밴드 바로가기
유튜브/SNS
작은게 4중
두 마리 팅
내일도 흘리러 갑니다
서너자리 있습니다
아침 6시경 출항 선비는 10~12만원
밑밥 도시락포함 ᆢ
======■ 통영 명인낚시 예약 안내 ■=======
▶ 명인호 예약 연락처 :
010-8528-9888
▶ 주소: 통영시 미수해안로53-1
▶ 계좌안내 : 수협 / 2020-4030-1624 / 김권수
▶ 배타는곳: 통영 미수동 해양공원 주차장 선착장
▶ 홈페이지 실시간 예약 바로가기 :
http://minho.sunsang24.com
▶명인낚시(명인호) 밴드 가입하기 :
https://band.us/band/75401458
0
신고
목록
0
댓글
로그인한 회원만 댓글 등록이 가능합니다.
×
Image Upload
로그인한 회원만 등록가능합니다.
포토
제목
이름
날짜
[진해] 진해 왕도다리 사이즈 마리수 만족
출항지 : 진해 / 출조지 : 진해
진해바루나피싱
1
13초전
진해바루나피싱
16:43
[진해] 봄도다리 마릿수 폭발~문어까지~해물한상까지 최고!!수요일 예약가…
출항지 : 진해 / 출조지 : 진해
진해코만도피싱
1
40초전
진해코만도피싱
16:43
[통영] (야간)王낙지 롱다리 M급까지 확인~퍼 담았네요 현서피싱(16일…
출항지 : 통영 / 출조지 : 통영
현서피싱
3
3분전
현서피싱
16:40
[완도] 감성돔 52cm 조황입니다
출항지 : 완도 / 출조지 :
완도풍산호
2
3분전
완도풍산호
16:40
[진해] 2/15문어 원도권 2키로오바!!사이즈,마릿수 대박!!~예약됩니…
출항지 : 진해 / 출조지 :
진해만물낚시
3
5분전
진해만물낚시
16:38
[사천] 14일야간낙지 조항(선비5만)시즌 빅2 EVENT~16일 월욜(…
출항지 : 사천 / 출조지 : 사천
따봉피싱
3
7분전
따봉피싱
16:37
[부산] [송도 광성호] 14일 (토) 타이라바 조황 ~ 내일 자리여유
출항지 : 부산 / 출조지 : 부산
부산송도광성호
2
8분전
부산송도광성호
16:36
[거제] 감성돔 흘림!!!!! 4짜4짜4짜 등등 !!!
출항지 : 거제 / 출조지 :
거제나폴리호
6
9분전
거제나폴리호
16:35
[통영] [외줄]날씨좋은 월요일 왕열기 gogo
출항지 : 통영 / 출조지 : 통영
삼덕레저호
39
9분전
삼덕레저호
16:35
[진해] 감성돔흘림한분조황43외
출항지 : 진해 / 출조지 : 진해
진해니모호
10
11분전
진해니모호
16:33
[진해] 15일 원도권돌문어 계속대박~장원 10수9수9수8수7수,,( 수…
출항지 : 진해 / 출조지 : 통영
진해골드스타2
11
14분전
진해골드스타2
16:30
[진해] 15일 <주간도다리>&<야간낙지>목,금,토,일 예약가능
출항지 : 진해 / 출조지 : 진해
썬플라워호10톤
45
14분전
썬플라워호10톤
16:30
[통영] (大낙지)원도권 씨알 대박 M급까지 주렁주렁~락피싱(16일 예약…
출항지 : 통영 / 출조지 : 통영
통영락피싱
8
18분전
통영락피싱
16:26
[진해] 감성돔(흘림)~52,50,49,46!대물빅싸이즈!우당탕탕(화,수…
출항지 : 진해 / 출조지 : 거제
진해여명피싱
118
19분전
진해여명피싱
16:25
[거제] (감성돔)연일 마릿수 조황 4짜 3짜 우당탕탕~가고파호(16일 …
출항지 : 거제 / 출조지 : 거제
거제가고파
15
19분전
거제가고파
16:24
[통영] 통영 금정호 대물 감성돔 카고 조황! 자리있습니다
출항지 : 통영 / 출조지 :
유촌금정낚시
13
20분전
유촌금정낚시
16:24
[거제] (감성돔)거제권 중치급들 손맛~힘이 장사~3대호(16일 예약)
출항지 : 거제 / 출조지 : 거제
거제3대낚시
7
20분전
거제3대낚시
16:24
[마산] 원전항)도다리 내일16일 함께 하실분~주말낚시 잘다녀왔네요~
출항지 : 마산 / 출조지 : 마산
신조선짱구호원전항
6
22분전
신조선짱구호원전항
16:22
[거제] (어초여밭)감성돔 소식 4짜3짜 마릿수 빵 좋네요~대어4호(16…
출항지 : 거제 / 출조지 :
거제대어낚시4호
13
23분전
거제대어낚시4호
16:21
[진해] 왕열기볼락,만쿨행진,수욜부터 출항 쭉 예약가능/봄도다리퍽퍽매일출…
출항지 : 진해 / 출조지 : 통영
진해대성낚시
7
25분전
진해대성낚시
16:18
[속초,강릉] 15일 문어 조황입니다. 시즌2호 37kg
출항지 : 속초,강릉 / 출조지 :
아레나호
4
26분전
아레나호
16:18
[진해] 감성돔흘림4짜4짜5짜조황(내일월화수예약가능)
출항지 : 진해 / 출조지 : 진해
진해뉴스피드호
21
29분전
진해뉴스피드호
16:15
[진해] 15일 왕 도다리 씨알 좋고 마릿수 좋아요~!! 내일 예약가능
출항지 : 진해 / 출조지 : 진해
진해도시어부
13
30분전
진해도시어부
16:14
[거제] (감성돔)연일 5짜 대물 손맛 해금강권 HOT소식 신성호(16일…
출항지 : 거제 / 출조지 : 거제
신성피싱
21
38분전
신성피싱
16:06
[마산] 마산진동[광암호]오늘 감성돔 조황입니다
출항지 : 마산 / 출조지 : 통영
광암호
42
38분전
광암호
16:06
[거제] (감성돔)4짜4짜4짜4짜4짜4짜4짜4짜급들 대박~대어1호(16일…
출항지 : 거제 / 출조지 : 거제
거제대어1호
42
43분전
거제대어1호
16:00
[경주] 몇일있다가 조상님께 올릴 큰우럭을 건졌읍니다. 열기와 쏨벵이도 …
출항지 : 경주 / 출조지 : 경주
감포용오름호
13
47분전
감포용오름호
15:57
[통영] (감성돔)통영권 4짜 덩치 외 3짜들 소나기 HIT~대양호(17…
출항지 : 통영 / 출조지 : 통영
통영대양호국치마을
29
47분전
통영대양호국치마을
15:56
[진해] 15일 감성돔흘림 5짜4짜4짜 굿,(예약가능)
출항지 : 진해 / 출조지 : 진해
진해리드호
24
47분전
진해리드호
15:56
[부산] 45cm감성돔조황
출항지 : 부산 / 출조지 :
청사포포인트호
16
49분전
청사포포인트호
15:55
초기화
날짜순
조회순
검색
1
2
3
4
5
6
7
8
9
10
Search
검색대상
제목
내용
제목+내용
회원아이디
회원아이디(댓글)
글쓴이
글쓴이(댓글)
또는
그리고
검색어
필수
검색
닫기
검색조건
제목
내용
제목+내용
회원아이디
회원아이디(코)
글쓴이
글쓴이(코)
검색어
또는
그리고
검색
인낚 최신글
16:00
(감성돔)4짜4짜4짜4짜4짜4짜4짜4짜급들 대박~대어1호(16일 예약)
15:57
몇일있다가 조상님께 올릴 큰우럭을 건졌읍니다. 열기와 쏨벵이도 사이즈가 아주 좋읍니다. (구정연휴 계속 출합합니다)
15:56
(감성돔)통영권 4짜 덩치 외 3짜들 소나기 HIT~대양호(17일 예약)
15:56
15일 감성돔흘림 5짜4짜4짜 굿,(예약가능)
15:55
45cm감성돔조황
15:55
망태기 터지듯 K.K.K.K.Kg급으로 잡고온 원도권~돌문어 잡으러 출조 갑니다@월요일~예약가능
15:55
15일(원도권)제수 문어 체포 성공(낼 선수모집)
15:54
볼락루어 왕사미로 퍽퍽~ 마리수도 굿~
15:53
4짜이상들입니다~~
15:53
감성돔 어초 흘림낚시 오늘도 5짜 굿조황 내일자리여유
15:53
15일,도다리 쌍걸이로 많이 잡고.내일2자리(월~예약가능)
15:51
카고감성돔 내일예약중 운동장입니다
15:49
가마가츠 토너먼트 바칸 GM2606 하이타입 50cm 화이트
15:49
(참돔 부시리)본류대 흘림 빵빵 터져요~끝장 손맛~야호(16일 예약)
15:48
구산면 썬피싱 ㅡ 봄도다리 조황!!
15:47
쿠로시오 오도리핀팝니다
15:46
해신피싱호 감성돔 4짜 3짜 이틀 조황입니다.
15:45
핀펠트장화 시마노 리미티드프로 지오락부츠 FB-120W 블랙 2XL
15:42
[14일,봄도다리]4짜외덩치급들우당탕탕~!! 선상만찬푸짐합니다! 내일예약가능, 월수목금토일 정상출항!
15:40
23뱅퀴시 c2500s 팝니다
15:39
25파블 스키머 팝니다
15:37
만남피싱감성돔/학꽁치/떡전어조황입니다
15:35
((주인호&태권호 감성돔이벤트중))주인호 일요일 감성돔 조황~
15:34
15일(일) 원도권 돌문어 2.5k,2.4k,2.1k등 내일 출항확정! 자리여유~
15:33
고성드래곤 어초 감시흘림 4짜외 월욜 자리여유
15:32
감성돔어초흘림 4짜이하마릿수굿~
+1
15:26
5짜급들 4짜4짜4짜4짜4짜4짜들외 최강 손맛!!! 17일(화) 예약중 입니다.
15:25
문어) 원도권문어 kkk조황~ 수요일 예약가능~
15:24
(다대포)흘림 꾸준한 부시리떼~터지고 빠지고 타작 용진호(16일 예약)
15:23
봄도다리 왕씨알이부터 깻잎까지~~(화욜부터 예약 가능)
15:23
[감성돔 흘림]입질만 받으면5짜,4짜!!1명 예약가능
15:16
<여수광성호> 씨알 굿 마릿수 굿! 든든한 갑오징어 조황!!
15:15
[명기] 구형 델가드(신품급)
15:14
감성돔 (카고)57.55.53.51..5짜급으로 손맛굿굿 (월.화.수.예약가능)
15:13
2/14,,15 금오열도권,, 5짜 감성돔들~^^
15:11
어초,흘림 대물감성돔 5짜,4짜외 마릿수~내일예약가능
15:10
시마노 구명복 VF-112T M 사이즈 최상급 팝니다
15:09
(문어)몇 일째 대박~원도권 K전후 넘쳐나요~고고피싱호(16일 예약)
+1
15:07
다이와 프로바이저 구명복 또는 DF 6305 조끼 105 사이즈 삽니다
15:00
(감성돔)거제권 중치급들 손맛~힘이 장사~3대호(16일 예약)
15:00
오리온!원도권문어!쌍걸이에 키로급까지 히트~수요일예약가능
14:57
오늘도 5짜가 보입니다.~~~내일도 출똥합니다
14:57
대물감성돔 5짜 5짜 4짜 4짜 카고 조항 입니다 내일 한자리 여유 있습니다
14:55
2/15 뜨거운 겨울! 빅! 샷~ 먹삼치 타격중! (월/화/수/목-모집중!)
14:54
매일매일 4짜들로 마릿수 씨알 굿 마릿수 굿 내일 예약가능
14:49
54>40까지 대물감성돔 시즌답게 호조황으로
14:47
54>40까지 대물감성돔 시즌답게 호조황으로
14:46
2/15 금오열도 5짜 감성돔 많습니다^^..(어제오늘조황일부)
14:43
감성돔 4짜사이즈 조황입니다!내일출조 예약가능
14:40
(감성돔)연일 마릿수 조황 4짜 3짜 우당탕탕~가고파호(16일 예약)
인낚 최신댓글
15:28
17일(화) 설당일 예약중 입니다~^^
14:55
아니면 피싱as 부품 주문에 부품도 보시고 주문하시면 됩니다
14:54
피싱as에 문의해보세요
14:29
다른사람 갯바위에서 낚시하고있는데 배바로 꼽네요 무슨 삼천포 발방낚시하는줄아나보네요ㅋ 기본상식이라는게 없습니…
14:23
내일 예약 가능합니다 연휴동안 예약 가능합니다
10:50
내일도 출동~ 예약중 입니다^___^
10:29
내일도 출동~ 예약중 입니다^___^
10:20
조항 문의하면 무조건 오라하고 기분 나쁘게 전화 받아 많이 불쾌하네요 오 죽 했으면 아내가 통화 하는 걸 듣…
10:19
@북회귀선 다시판매하는거는 저는 전혀 개의치않습니다 저한테 구입한릴이 기스가 있다 문제가있다 거짓을 얘기하셔…
10:09
내일 예약 가능합니다
10:05
내일 예약 가능합니다
06:36
06:35
04:44
거짓조황에 10걸음 옆자리 배 바로꼽아뿌는 매나없는 선장님~ 많이 벌고 많이 쳐먹으세요~
04:43
거짓조황에 10걸음 옆자리 배 바로꼽아뿌는 매나없는 선장님~ 많이 벌고 많이 쳐먹으세요~
04:43
거짓조황에 10걸음 옆자리 배 바로꼽아뿌는 매나없는 선장님~ 많이 벌고 많이 쳐먹으세요~
04:43
거짓조황에 10걸음 옆자리 배 바로꼽아뿌는 매나없는 선장님~ 많이 벌고 많이 쳐먹으세요~
00:20
최근 목요일까지 미조권 황좋았습니다 포인트마다 감시가 붙은곳있고 안붙은곳있습니다~ 좋은선사이용하셔서 손맛보시…
00:19
시마노 다이와 일련번호는 동일합니다. 보증처리때문에 모든로드나 릴은 테크늄이든 하포든 모든 로드들 품번은 똑…
02.14
오래전 어떤 가이드분이 볼락 올라오면 갯바위던져두라더군요 점심때 뻣뻣힌게 굳은 그놈들을 회를떠서 먹는데 꼬들…
02.14
20일(금) 낮열기낚시 예약가능합니다. 06시까지 오사면 자리추첨후 출조합니다.
02.14
월요일 예약가능 합니다
02.14
가지고 계신대들로 못잡을고기 없지만 굳이 추가를 하실려거든 G5 1.25 끝판대장 한번 써보시죠 28년하빈기…
02.14
갸들은 생명력이 길지 않습니다 낚시 도중에 잘 살려야 되고요 이동 중에도 도착까지는 또 잘 살려야 합니다 현…
02.14
부품번호까지 ...감사합니다!
02.14
16일(월)부터 쭉~널널합니다^_^
02.14
꼽히기는 하는데 라인이 넘어서 버립니다 시마노가 스풀 크기가 작아서
02.14
피싱as 피싱119 닥터피싱 중에 가까운 곳에 의뢰하세요
02.14
가지고 계신 대 정도면 1.25호대 구매 안하셔도 됩니다 괜히 구매하면 애물단지됩니다.
02.14
18토너 114번 부품입니다 피싱as나 낰ㅂ시 수리점에 부품 주문하시면되요
02.14
1.살려간다(제일 싱싱함) 2.아이스박스에 담아간다(잡자마자 담아두면 좋음)
02.14
어텐더3 1.25-50 추천하고갑니다. 세줄답게 훌륭합니다 ^^
02.14
유투브 잘보고 있습니다
02.14
역시 열심히 하시는분은 실력대로 잡으시네요
02.14
잘보고 있습니다
02.14
꼭
02.14
회로 드실려면 바칸이든 쿨러든 기포기 틀어서 살려오시는게 좋지 않을까요?ㅎ
02.14
젊고 어리고 낚시 초보 시절에 올린 글입니다. 벌써 18년 쯤 되었네요. 만조님께서 댓글 적으시는 바람에 알…
02.14
16일(월)부터 쭉~ 널널합니다^_^
02.14
16일(월)부터 쭉~ 널널합니다^_^
02.14
이런배들이 주간에는 쌍끌이 야간에는 뻥치기 합니다
02.13
▶작성자 본인에 의해 삭제된 댓글입니다.(삭제일시 : 2026-02-13 21:07:14)
02.13
나도 돈 벌려고 하는거긴 하지만 뭐라 말하기가 무섭네요. 저는 매일 조사님들이 만땅으로 오신다면 오전 오후 …
02.13
▶작성자 본인에 의해 삭제된 댓글입니다.(삭제일시 : 2026-02-13 21:06:56)
02.13
밥 벌어 먹고 사는게 되팔이인가 보죠 뭐.
02.13
구태m50으로 1.25호까지는 커버될거같은데요? 그래서 미장m 50 추천드립니다
02.13
감사합니다...^^
02.13
16일(월) 낮열기낚시 예약가능합니다. 06시까지 오시면 자리추첨후 출조합니다.
02.13
일요일이후 쭉 예약가능 합니다
02.13
감사합니다 ~
온라인 문의 안내
*운영진에게 문의
*광고/제휴 문의
월~금 : 9:00 ~ 18:00
토/일/공휴일 휴무
점심시간 : 12:00 ~ 13:00
인낚몰 초특가
★설특가 190,000★ 파직스 자동팽창식 구명의 PL-181+원줄+장갑
★설특가 99,000★ 디캡스 자동팽창식 구명복+원줄+장갑
★설특가 8,000부터★ ISF 바칸 삼나무 테이블
★설특가 4,000★ FF 블리츠 전자캐스팅볼 점등 점멸 + 구매수량만큼 425배터리 증정 / 4개단위로 구매시 케이스 증정
★설특가 12,000★ 티렉스 미니 일렉볼 + BR322 배터리 1개 증정
★설특가 6,000★ 티렉스 일렉트로볼 점등 점멸
★설특가 18,000부터★ 1+1 플로팅, 세미, 카본 낚시줄 행사 호수선택가능 / 택상 1+1 원줄, 목줄 행사
★3,000★ MAEK 맥 호래기 대바늘 호래기콕 J타입 (카본바디 2입)
★5,000★ 어부공방 NEW 호래전
★4,500★ 야마시타 SB 호래기 대바늘
★3,000★ 하야부사 6단 볼락 전갱이 카드채비 SD724 볼락채비
★1,000★볼락낚시에 최적인 메바트로볼 - 캐스팅볼, 메바볼