자이언트호(감성돔흘림) 오늘은 5짜만 잡혀요

신상품 소개


회원 랭킹


공지사항


NaverBand
점주/선장 > 선상 + 좌대 조황

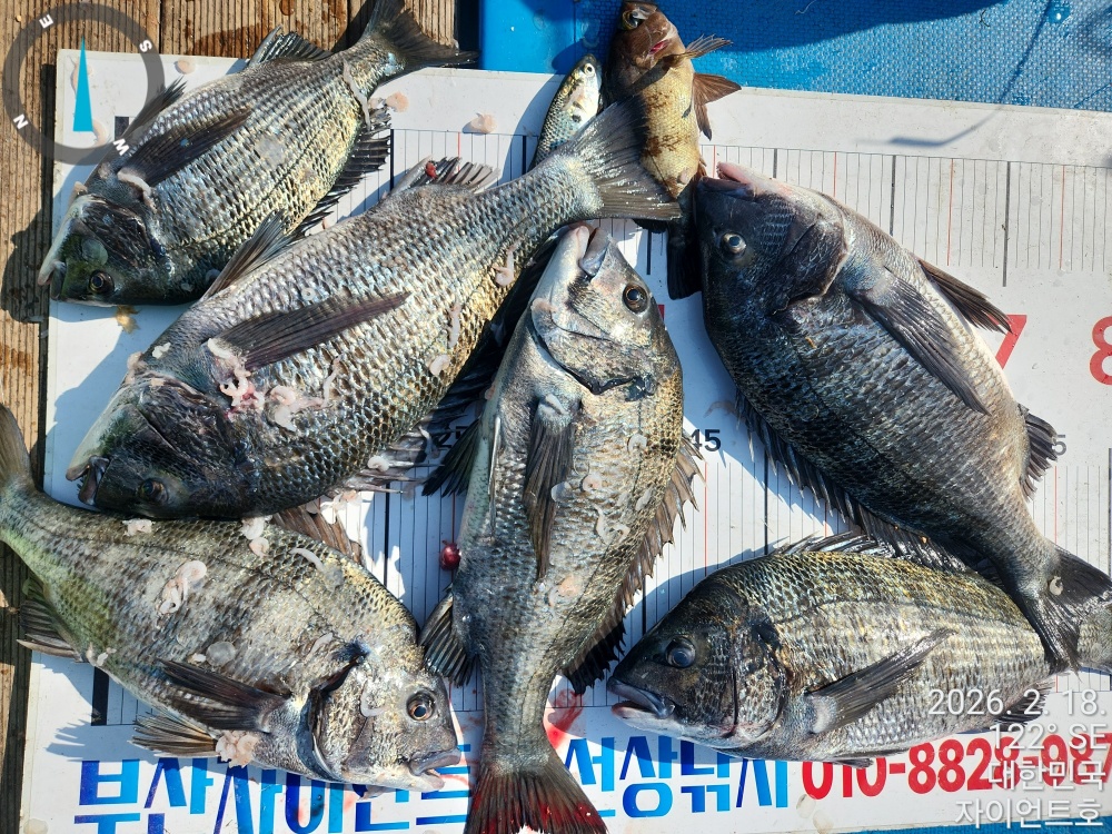
자이언트호(감성돔흘림) 오늘은 5짜만 잡혀요

자이언트맨 0 42
● 출항지 : 부산 ● 출조지 : 부산
실시간 예약 밴드 바로가기
7d9f1fb669886a8ee0834fd02ad7fd53_1771391044_3066.jpg



7d9f1fb669886a8ee0834fd02ad7fd53_1771391045_418.jpg



7d9f1fb669886a8ee0834fd02ad7fd53_1771391046_4976.jpg



7d9f1fb669886a8ee0834fd02ad7fd53_1771391046_9198.jpg



7d9f1fb669886a8ee0834fd02ad7fd53_1771391047_9397.jpg



7d9f1fb669886a8ee0834fd02ad7fd53_1771391048_8858.jpg



7d9f1fb669886a8ee0834fd02ad7fd53_1771391049_22.jpg



7d9f1fb669886a8ee0834fd02ad7fd53_1771391050_4943.jpg



7d9f1fb669886a8ee0834fd02ad7fd53_1771391051_5726.jpg

#2/18일
#5짜만공격개시
#자이언트호
#감성돔흘림
#왔어
#가덕도천성항
#감성돔흘림
#대물시즌시작
#실시간조황
#때가되면물어요
#메이커
#쉬지말고~일하세요
#자이언트호
#흘림조황
#내일도~정상출조~합니다
#오늘은감생이
#쟌트
#흘림감성돔
#쟌트호
#계속대박조황정보
#자이언트호
#퍽퍽합니다
#잔트호
#한늠만잡아
#때가되면물어요
#살아나는물
#물때시작
#자이언트호
#생활낚시전문
#천성항
#오늘하루도최선을
#왔어왔어
#내일은더많이
#황금물때
#바다가내어주는만큼만
#허위조황금지
#남해권
●반갑습니다~~^^
●부산에서 제일 가까운 가덕도 포인트
●타지역에 비해 몇척되지 않는 낚시배
●아시는 분만 아시는 자이언트 조황
●부산에서 가까운 가덕도에서 마리수 씨알 다잡아 가세요~^^
●부산에서 제일 가깝고 타지역에 비해 많은 포인트보유 가덕도 선상낚시배 몇척되지 않아 선상배 간의 자리 다툼이 없습니다
가덕도 천성항에 위치한 가덕도 생활 선상낚시전문 써비스 최강 자이언트호 입니다
#흘림감성돔 조황
반갑습니다 자이언트호 입니다
감성돔흘림 조황 입니다

다녀가신 사장님 고생하셨습니다



●평일에 이용하시면 주말보다 여유로운 낚시  즐길수 있습니다
주말은 미리 예약부탁 드립니다
■감성돔 흘림출조■
(준비물)
1~2호대ㆍ2500번릴ㆍ2~3호막대찌ㆍ구멍찌ㆍ마끼 3개1개(크릴3개ㆍ파우다1개)1세트 말아서 봉지에
담아 오세요 #밉밥 마실때 직원한테 무겁게 찐득하이 말아주라고 부탁 하세요 (묵직한게 집어가 잘됩니다^^)
미끼) 백크릴ㆍ민물새우ㆍ경단등

●밑밥은 (해조 가락점) 자이언트 간다고 하심 잘해주십니다
●(감성돔출조시간및선비)
●오전타임~출조시간 05시~~오후12시 까지 (선비 7만원)
미끼ㆍ마끼별도
감성돔 흘림 승선인원 선장포함  10명 입니다
#감성돔예약현황
ㆍ              
■12/19 목요일        감성돔         (4자리여유)
■12/20 금요일        감성돔         (3자리여유)
■12/21 토요일        감성돔         (3자리여유)
■12/22 일요일        감성돔         (자리여유)

※허위조황 절대금지 합니다
●네비주소ㆍ부산 가덕도 (천성항)
●더많은 조황은 밴드에서 확인 하세요
#밴드창. 부산자이언트호(검색후)들어오세요^^
#선장전화~010~8828~9876
#입금확인후 예약  진행 됩니다
#입금확인 안될시 예약취소 될수있 습니다
말없이 빵구 내시는 분이 계셔서 양해 부탁드립니다

▶ 지켜주세요! ◀

- 당일 조황을 올리셔야 합니다.
- 지난 조황은 2일이내 미등록 조황만 가능합니다.
- 이미 올린 조황을 붙여넣기하여 계속 등재하시면 중복조황에 해당합니다.
- 당일 조황을 올리면서 이전 조황을 같이 올리면 중복조황에 해당합니다.
- 조황없는 출조정보는 출조정보 게시판을 이용하시길 바랍니다.
- 올린 글 삭제하고 다시 올려 상단에 올리려는 방법, 이용규칙 위반입니다.
- 제목에 특수문자 사용하시면 안됩니다. (온점, 쉼표, 느낌표, 괄호, 물결만 허용)

☆ 공지사항에 '조황등재시 유의사항' 게시글을 꼭 확인하시고 조황작성 부탁드리며, 가장 기본적인
규칙이 지켜지지 않을 시 예고없이 글 삭제 및 이용정지 될 수 있음을 알려드립니다.

  • 페이스북으로 보내기
  • 트위터로 보내기
  • 구글플러스로 보내기
  • 카카오스토리로 보내기
  • 네이버밴드로 보내기
  • 네이버로 보내기
  • 텀블러로 보내기
  • 핀터레스트로 보내기
0 댓글
포토 제목
 
 

인낚 최신글


인낚 최신댓글


온라인 문의 안내


월~금 : 9:00 ~ 18:00
토/일/공휴일 휴무
점심시간 : 12:00 ~ 13:00