((여수베테랑피싱)) 감성돔출조.월요일부터 출항

회원 랭킹


NaverBand
점주/선장 > 방파제 조황
b_hot_activegloat_200x80.gif b_hot_nios_200x80.gif b_hot_ggsusan_hongeu_200x80.gif b_hot_innakmall_200x80_211203.gif

((여수베테랑피싱)) 감성돔출조.월요일부터 출항

에이스피싱007 0 189
● 출항지 : 여수,광양
innak_Thoo.jpg낚시뚜에서 인낚으로 보내는 자동조황
top01.png

여수베테랑 갈치선단

여수베테랑피싱

top02.png
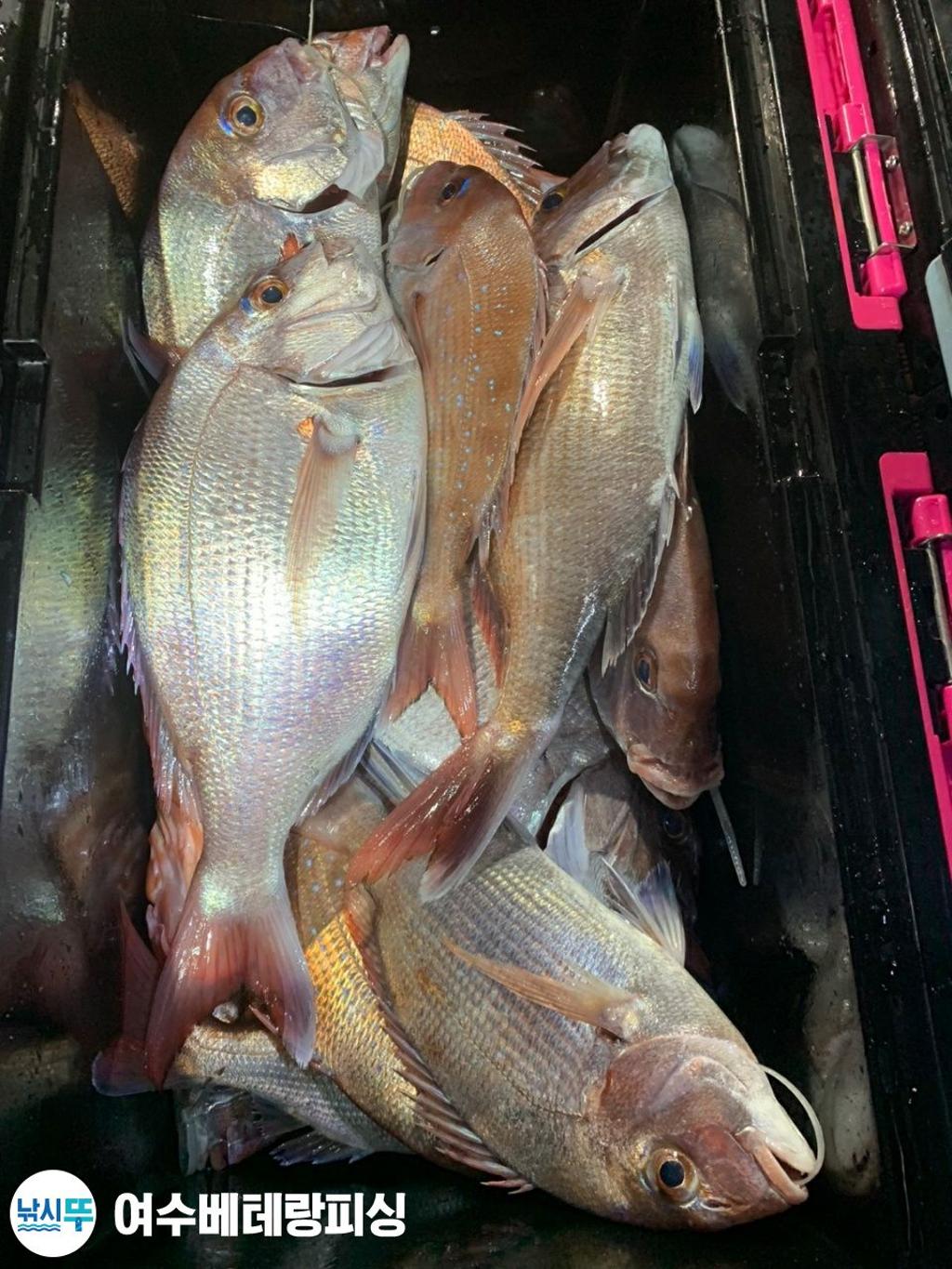
감성돔 다음주 월요일부터 출조합니다
감성돔 꾹꾹꾹 치는 당찬 손맛 보실분 연락주세요
· 출조일시2021-12-17(금)
· 출조인원1명
· 어종감성돔

여/수/베/테/랑/피/싱


안녕하세요? 여수베테랑피싱 입니다.

최고,최선의 노하우를 지닌 선장님,친절한 사무장님을 바탕으로

바다 선상낚시를 운영하는 전문 선사입니다.

 

전 화 문 의

사무실 : 010-3036-5368

  선  주 : 010-8570-5368 

 

저희 여수베테랑피싱

심해왕갈치,감성돔,타이바라,갑오징어,문어,

쭈꾸미,우럭,열기,볼락 생활선상낚시 전문으로

조우님께서 믿고 찾아와 주신다면

좋은 조과와 편의 서비스로

최선을 다하는 선사가 되겠습니다.

 

네이버에서 한글로 "여수베테랑피싱"을 치세요.

 

www.여수베테랑피싱.com

 

#감성돔출조모집=>월요일~목요일(20일~23일)
#쭈꾸미출조모집=>금요일~목요일(24일~31일)
#타이바라출조=>해맞이출조 #독배,출조점환영

안녕하세요. 여수베테랑피싱입니다

다음주 감성돔 쭈꾸미 출조합니다.

타이라바 신년 해맞이 예약중 입니다.

아래 출항일정 보시고 출조하실분 연락주세요


출 항 일 정

● 감성돔출조 월요일~목요일(20일~23일)

● 쭈꾸미출조 금요일~목요일(24일~31일)

● 타이라바출조 해맞이 토요일~일요일(1일~2일)


예약전화 010 3036 5368

예 약 현 황

12/18 토 배정비 휴 항

12/19 일 배정비 휴 항

12/20 월 감성돔 자리여유

12/21 화 감성돔 자리여유

12/22 수 감성돔 자리여유

12/23 목 감성돔 자리여유

12/24 금 쭈꾸미 17 자리여유

12/25 토 쭈꾸미 12 자리여유

12/26 일 쭈꾸미 15 자리여유

12/27 월 쭈꾸미 18 자리여유

12/28 화 쭈꾸미 자리여유

12/29 수 쭈꾸미 자리여유

12/30 목 쭈꾸미 자리여유

12/31 금 쭈꾸미 자리여유

1 / 1 토 타이라바 15 자리여유

1 / 2 일 타이라바 자리여유

1 / 3 월 감성돔 자리여유

예약문의 010 3036 5368

조황문의 010 8570 5368

F1569072L8.jpgF1569071AQ.jpgF1569070OI.jpgF1569069QQ.jpgF1569068V3.jpgF1569067U9.jpgF1569066D1.jpgF1569065NY.jpgF1569064PS.jpgF156906367.jpgF15690627F.jpgF1569061VW.jpgF15690602O.jpgF1569059SQ.jpgF1569058BZ.jpg

월요일부터 감성돔 출조합니다

출조하실분 연락주세요

감사합니다

20190401.114746.566.M0014543P6_600.jpg

 

선박소개 

톤수 9.77t.  정원 22명. 최신장비 탑재


# 왕갈치 출조 #

16석: 선비 평일 17만원 , 주말 19만원 (단체할인)

18석: 선비 평일 16만원 , 주말 18만원

사무실  승선명부 작성 후 자리 추첨

13시  출항 ~다음날  07시 입항 (유동적)

* 장비 대여시 미리 말씀해주세요.

  

# 참돔 타이라바 #

선비 평일.주말 12만원 (단체할인)

사무실  명부 작성 후 승선장소 이동

04시 출항 ~ 14시 철수 (유동적)

 

# 열기.볼락 외줄 #

선비 평일.주말 8만원 (단체할인)

사무실  명부 작성 후 승선장소 이동

05시 30분 출항 ~ 14시 철수 (유동적)

 

# 갑오징어.문어.쭈구미. #

선비 평일 7만원 . 주말 7만원 (단체할인)

사무실  명부 작성 후 승선장소 이동

05시 00분 출항 ~ 15시 철수 (유동적)


((((  생활 낚시 독배 환영  ))))

사무실  찾아오시는길

(신주소) 여수시  진두해안길 26-14


배 타는곳

신) 여수시  진두해안길 42


예약 문의

사무실 : 010-3036-5368

선   주 : 010-8570-5368

수협  

2020-4899-3845

김  유  민


* 예약시 주의사항 *

1) 에약 후 취소 사례가 빈번하여  예약금 입금하셔야

예약이 완료됩니다.

(예약 입금 후 전화 부탁드립니다)

2) 미입금시 다음 대기자로 넘어갑니다.

3) 당일 취소는 예약금 환불이 안됩니다.

4) 예약금 환불기준

 출항 3일전 100%, 이틀전 50%, 당일 0%

(기상여건,선사 취소시 전액환불) 

* 준 수 사 항 *

1) 출조시 구명조끼,신분증 꼭 지참바랍니다.

(구명조끼 선내 비치되어 있으나, 있으신 분은 가지고 오세요.)

2) 신분증 반드시 지참 바랍니다.(미지참시 승선불가)

 3) 선내 음주 불가

4) 투채비 불가합니다. 참고 바랍니다.

감사합니다

네비주소 :돌산대교

예약문의

010-3036-5368

수협

2020-4899-3845

김유민

100

여수베테랑 갈치선단

여수베테랑피싱

김석원 선장

590
항구명 진두항
승선인원 20명
출조점명 여수베테랑피싱 (돌산대교 바로아래)
배 타는 곳여수시 진두해안길 42

홈페이지 바로가기 Click

낚시뚜


0 댓글
포토 제목
 
 

인낚 최신글


인낚 최신댓글


온라인 문의 안내


월~금 : 9:00 ~ 18:00
토/일/공휴일 휴무
점심시간 : 12:00 ~ 13:00