오늘 축산권 벵에돔 조황입니다

회원 랭킹


NaverBand
점주/선장 > 방파제 조황
b_hot_activegloat_200x80.gif b_hot_nios_200x80.gif b_hot_ggsusan_hongeu_200x80.gif b_hot_innakmall_200x80_211203.gif

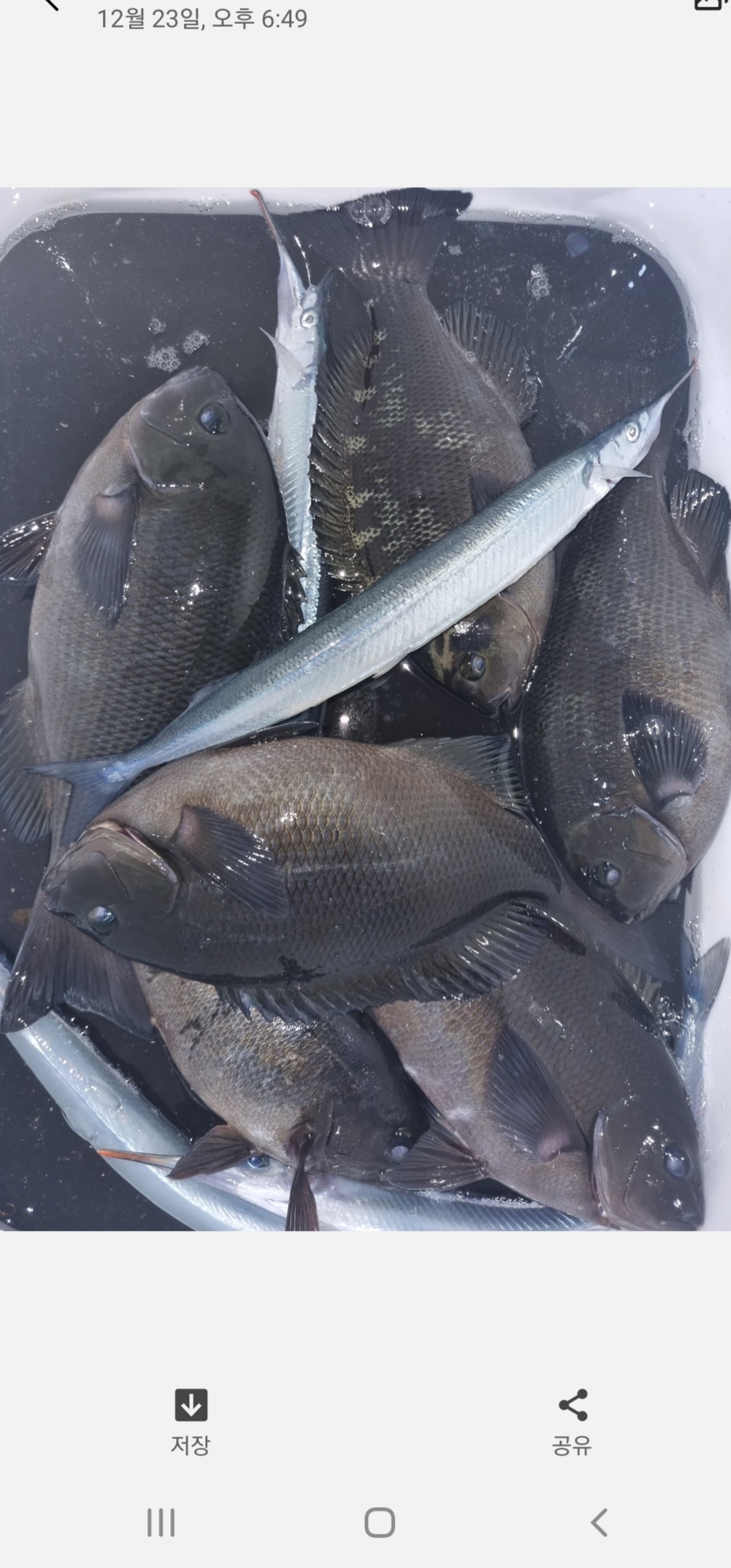
오늘 축산권 벵에돔 조황입니다

축산대성낚시 0 649
● 출항지 : 영덕

안녕하세요 축산 대성낚시 입니다  요 몇칠 바다사항이  좋지가

 

않아서 조황이 그닥 좋지가 않았습니다

 

오늘도 약간 높은 파도와  북서풍의 영향으로 방파제 낚시는 

 

오전에는  조금은 힘이 들었으나 오후에는  낚시가 가능 하였지만

 

바람으로 인하여 벵에돔 낚시 하기가 그닥 좋은 바다사항은 아니

 

였습니다  

 

수온은 조금 올라갔으나 벵에돔들이 미끼에 반응이 그닥 좋지가

 

않았다고 하시네요

 

그사이 포항에서 오신 조사님과 영주에서 오신 조사님 일행분들이

 

벵에돔  잔씨알들 사이에 30급의 전후로 몇수 손맛 보시고 오셔서

 

한컷씩 찍어 올립니다

 

오늘도 조사님들마다  포인트 채비 미끼에 따라 조과가 틀린 하루

 

였습니다

 

 

참고 하시길 바랍니다

 

 

####홍개비 혼무시 준비 되어 있습니다

 

 

문의  054-734-1980

 

 

 

네비  경북 영덕군 축산면 영덕대게로 2073  대성낚시

         (에이스 마트 마당으로 들어오세요

0 댓글
포토 제목
 
 

인낚 최신글


인낚 최신댓글


온라인 문의 안내


월~금 : 9:00 ~ 18:00
토/일/공휴일 휴무
점심시간 : 12:00 ~ 13:00