서생권 조황~~

신상품 소개


회원 랭킹


공지사항


NaverBand
점주/선장 > 방파제 조황
b_hot_activegloat_200x80.gif b_hot_innakmall_200x80_220704.jpg b_hot_ggsusan_hongeu_200x80.gif b_hot_innakmall_200x80_211203.gif

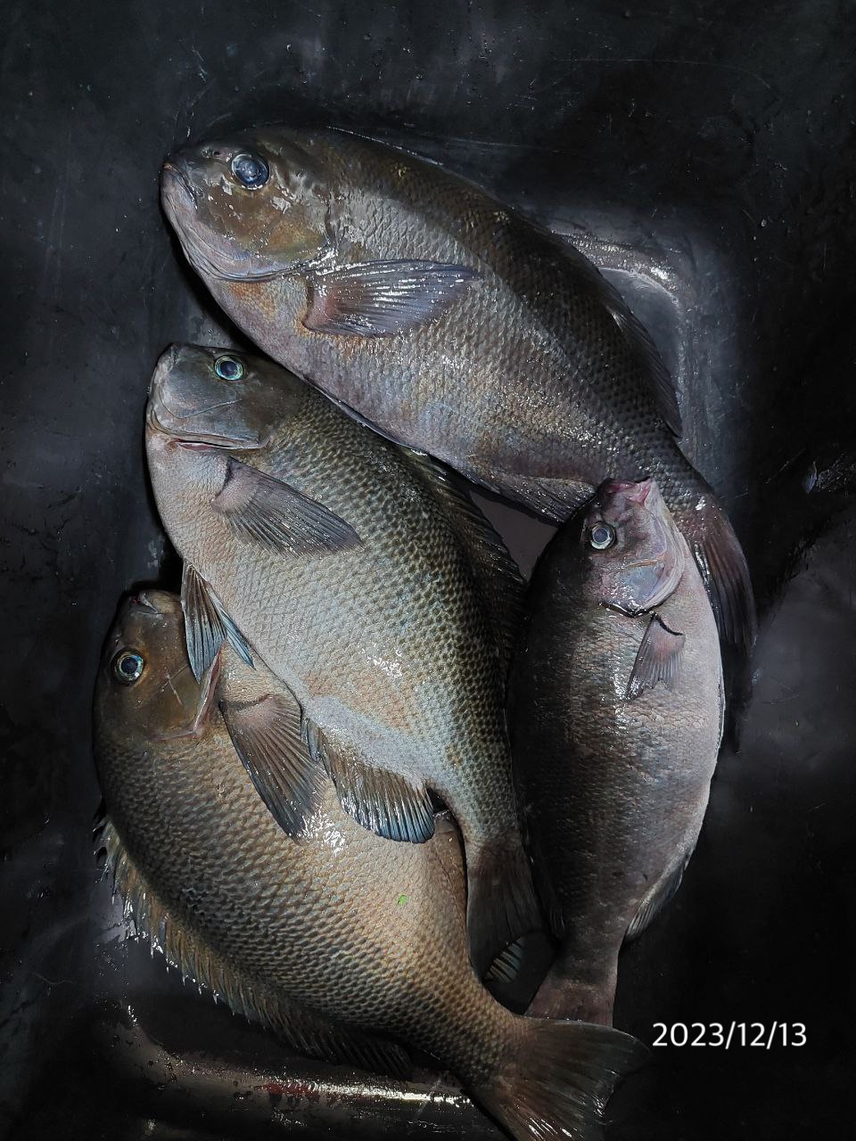
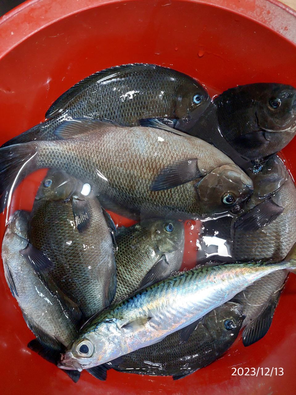
서생권 조황~~

일광은파낚시 0 399
● 출항지 : 울산

금일 서생권 방파제에서 

올라온 벵에돔 조과입니다 ^^ 

긴꼬리 벵에돔과 학꽁치까지 

보이기 시작한다고 

소식 전해주셨네요 

감사합니다 ^^


늘 안낚 즐낚 하시기 바랍니다


일광은파낚시 051-721-7898

0 댓글
포토 제목
 
 

인낚 최신글


인낚 최신댓글


온라인 문의 안내


월~금 : 9:00 ~ 18:00
토/일/공휴일 휴무
점심시간 : 12:00 ~ 13:00