통영중화낚시터
12월 12일(금)
인낚 현재접속자
3,607명 (
271
)
공지사항
인낚도서관
점주선장전용 공지사항
로그인
광고/제휴 문의
운영진에게
인낚ㅣ인터넷바다낚시
0
어종별선상
어종별갯바위
낚시인조황
점주선장조황
출조정보
낚시광장
낚시지식인
낚시교실
중고장터
휴게실
인낚도서관
인낚몰
0
어종별선상
어종별 선상조황
4대돔 조황
먹물 조황
갈치 조황
볼락&전갱이
빅게임 지깅&파핑
외줄&외수질
기타 어종
어종별 갯바위조황
4대돔 조황
먹물 조황
갈치 조황
볼락&전갱이
농어&삼치&방어&부시리
기타 어종
어종별갯바위
어종별 선상조황
4대돔 조황
먹물 조황
갈치 조황
볼락&전갱이
빅게임 지깅&파핑
외줄&외수질
기타 어종
어종별 갯바위조황
4대돔 조황
먹물 조황
갈치 조황
볼락&전갱이
농어&삼치&방어&부시리
기타 어종
낚시인조황
낚시인 번개조황
낚시인조행기
스탭조행기
우리낚시동호회이야기
전국낚시동호회소개
동호회갤러리
지난 조황자료보기(년도별 조황 자료)
점주선장조황
전국 실시간 조황
선상(배)+좌대 조황
갯바위+방파제 조황
점주선장전용 공지사항
지난 조황자료보기(년도별 조황 자료)
출조정보
낚시인동행출조
점주선장 갯바위 출조
점주선장 선상출조
기상파고정보(기상청)
해상예보
물때표
파고예보(일본)
실시간해양관측예보
스마트조석예보
낚시광장
낚시계뉴스
대회 및 낚시관련 홍보
제품평가단
신상품소개
낚시지식인
Q&A 묻고 답하기
지식인 베스트
조황/포인트 문의
낚시용품 사용기
낚시투표
토론방
新어류도감
낚시교실
낚시기법소개
어종별 낚시교실
입문자교실
중급자교실
낚시용어사전
중고장터
중고장터 이용후기
더치트 사기피해 검색
팝니다
삽니다
교환합시다
무료로 드립니다
부품팝니다
부품삽니다
일반 생활용품 사고 팔기
휴게실
출석부
낚시갤러리
세상사는 이야기(자유게시판)
낚시이야기 마당
먹고사는 이야기
구인구직
칭찬합니다
어째이런일이
습득물 찾기
인낚도서관
인낚 유튜브
인낚 칼럼
블루, 그것이 알고싶다
더블테일의 두 눈으로 보는 세상
입질의추억의 피싱다이어리
나無의 바다 이야기
전문강좌
海巖의 바다낚시 이야기
이성규의 전유동낚시 강좌
조성민의 금요루어클럽
메인
어종별선상
어종별갯바위
낚시인조황
점주선장조황
출조정보
낚시광장
낚시지식인
낚시교실
중고장터
휴게실
인낚도서관
인낚몰
0
점주/선장 >
좌대/유료터 조황
통영중화낚시터
통영중화낚시터
0
1,626
2022.12.31 18:51
● 출항지 : 통영
● 출조인원 : 16~20명
통영
중화좌대
낚시터 입니다 ^^
코로나19 대비 마스크 착용을 생활화합시다
가게와 선박이동시 꼭 마스크
착용 바랍니다
마스크 미착용시 승선 거부될수도 있습니다
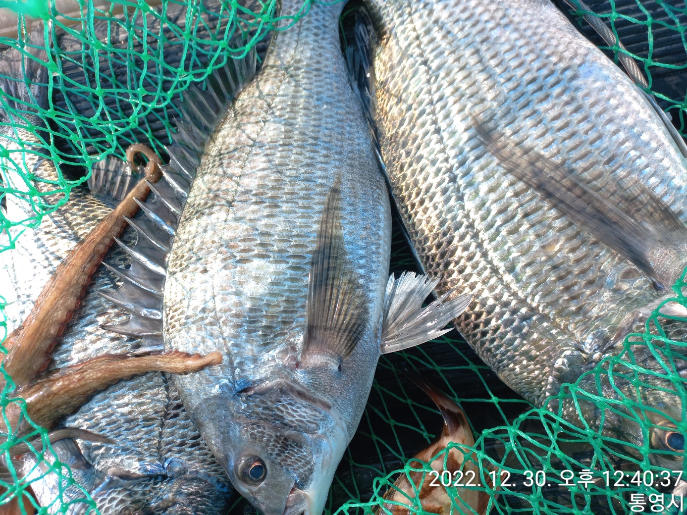
요즘은 감성돔,
손님 고기로 쥐치 뽈락도 손맛입맛을
즐겁게 해주고 있습니다
그리고 갑오징어 무늬오징어 씨알좋은 전갱이가 요즘 많이올라옵니다
문어도 올라오니 문어채비도 해오시면 조과에 도움이 될듯합니다
첫 출조시간
07시
~09시까지수시출조합니다
마지막 철수시간 15시30분
15시부터는 철수 준비를 미리해주시면 감사하겠습니다
15시30분 이후에는 출조.철수하지 않습니다
그리고 조기철수하실분들은
1시간 전에 미리 전화주세요
010 3558 9448
1. 넓은 좌대가 준비되어 있어
자유롭게 낚시를 할수 있습니다
2. 돔형태 와 컨테이너식 두동이
있어서 비바람 및 추위를 피할수 있습니다
(낚시를 하기위한 보조 시설물로 선상펜션과는 다소 차이가 있습니다)
네비게이션주소:통영시 산양일주로 1456
(욕지여객선 건너편 물길마트)
마트에서 승선명부작성 선비포함좌대비 결제하시고 출발하시면됩니다
승선명부작성 순서대로 승선합니다
찾아오시는길
통영대교-삼덕항-
중화
마을-욕지여객선터미널 건너편
물길마트
좌대이용료
*당일 1인기준 왕복
3만원
1박2일 야영 6만원
010 3558 9448
010 3884 944
8
0
신고
목록
글쓴이
1
0
Lv.1
통영중화낚시터
점주선장
577 (5.7%)
안녕하세요 경상남도 통영에서 낚시터를 운영하고 있습니다.
12.31
통영중화낚시터
12.28
통영중화낚시터
12.27
통영중화낚시터
12.25
통영중화낚시터
12.20
통영중화낚시터
0
댓글
로그인한 회원만 댓글 등록이 가능합니다.
×
Image Upload
로그인한 회원만 등록가능합니다.
포토
제목
이름
날짜
조황 등재시 유의사항
인터넷바다낚시
2022.10.06
제목 특수문자 사용금지 (온점, 쉼포, 느낌표, 괄호, 물결만 …
인터넷바다낚시
2022.12.05
점주/선장 조황, 1일 2회 등록으로 시범 운영 안내
인터넷바다낚시
2021.04.05
[공지] ★ 22년 조황게시판 종료 / 2023년 게시판에서 작성 부탁드…
출항지 : 공지 / 출조지 :
인터넷바다낚시
274
2023.02.02
인터넷바다낚시
2023.02.02
[공지] 조황 등재시 유의사항
출항지 : 공지 / 출조지 :
인터넷바다낚시
628
2022.10.06
인터넷바다낚시
2022.10.06
[공지] 제목 특수문자 사용금지 (온점, 쉼포, 느낌표, 괄호, 물결만 …
출항지 : 공지 / 출조지 :
인터넷바다낚시
722
2022.12.05
인터넷바다낚시
2022.12.05
[통영] 통영중화낚시터
출항지 : 통영 / 출조지 :
통영중화낚시터
1627
2022.12.31
통영중화낚시터
2022.12.31
[부산] 가덕진양낚시 좌대조황 22년 12월31일 토요일
출항지 : 부산 / 출조지 :
가덕진양낚시
1000
2022.12.31
가덕진양낚시
2022.12.31
[부산] 가덕진양낚시 “밤낚시” 좌대조황 22년 12월31일 토요일
출항지 : 부산 / 출조지 :
가덕진양낚시
533
2022.12.31
가덕진양낚시
2022.12.31
[여수,광양] 감성돔 5짜 4짜와 사투중입니다. 야 손맛 죽여줍니다~ 1/…
출항지 : 여수,광양 / 출조지 :
에이스피싱007
227
2022.12.31
에이스피싱007
2022.12.31
[울산] 12월 30일 방어 조황 소식입니다
출항지 : 울산 / 출조지 :
불샤크
265
2022.12.30
불샤크
2022.12.30
1
[통영] " 지겹도록 전갱이, 쏠쏠한 문어들!" <<낼 예약가능>>
1
출항지 : 통영 / 출조지 :
통영원도낚시
1339
2022.12.30
통영원도낚시
2022.12.30
[울산] 12월 29일 겨울 방어 조황 소식입니다
출항지 : 울산 / 출조지 :
불샤크
225
2022.12.29
불샤크
2022.12.29
[통영] "단 2시간 동안 씨알전갱이를 이 만큼이나!"
출항지 : 통영 / 출조지 :
통영원도낚시
1260
2022.12.29
통영원도낚시
2022.12.29
[부산] 가덕진양낚시 좌대조황 22년 12월29일 목요일
출항지 : 부산 / 출조지 :
가덕진양낚시
490
2022.12.29
가덕진양낚시
2022.12.29
[거제] 12월29일 탑포한바다해상콘도 조항
출항지 : 거제 / 출조지 :
탑포한바다해상콘도
1444
2022.12.29
탑포한바다해상콘도
2022.12.29
[울산] 12월 28일 겨울방어 조황 소식입니다
출항지 : 울산 / 출조지 :
불샤크
285
2022.12.28
불샤크
2022.12.28
[부산] 가덕진양낚시 좌대조황 22년 12월28일 수요일
출항지 : 부산 / 출조지 :
가덕진양낚시
487
2022.12.28
가덕진양낚시
2022.12.28
초기화
날짜순
조회순
검색
1
2
3
4
5
Search
검색대상
제목
내용
제목+내용
회원아이디
회원아이디(댓글)
글쓴이
글쓴이(댓글)
또는
그리고
검색어
필수
검색
닫기
검색조건
제목
내용
제목+내용
회원아이디
회원아이디(코)
글쓴이
글쓴이(코)
검색어
또는
그리고
검색
인낚몰 초특가
★500★ W쿠션 멀티 수중찌 M L - 전유동 반유동 끄심바리 필수품 수중쿠션
★5,900★ 여러개 있으면 아주 좋은 EVA 시스템 백
★ 1+1 플로팅, 세미, 카본 낚시줄 행사 호수선택가능 / 택상 1+1 원줄, 목줄 행사
★6,000★ 예민함의 끝판왕 애니원찌 벵에돔찌 학공치찌
★15,000★ 오동목 구멍찌 5개 + 메쉬 찌케이스 세트
★22만원★ 40W 집어등을 이 가격에!
★5,000★ 전층쿠션 15세트입 S / L 사이즈
★2,000★ 전층쿠션 5세트입 S / L 사이즈
★10,000 미니집어등5개 + 425배터리 1개 + 스토퍼고무 10개
★13,500 深海 심해대물 갈치집어등 3개 5LED 오색 집어등 갈치낚시 필수품 건전지3개 포함 수중집어등
★9,900★ 수제공방 갈치 풀치 잔치세트 짬낚시 필수 하나로 끝
★8,650~★ 아부가르시아 카치카치다마 유동식 타이라바 - 80g / 100g / 120g / 140g