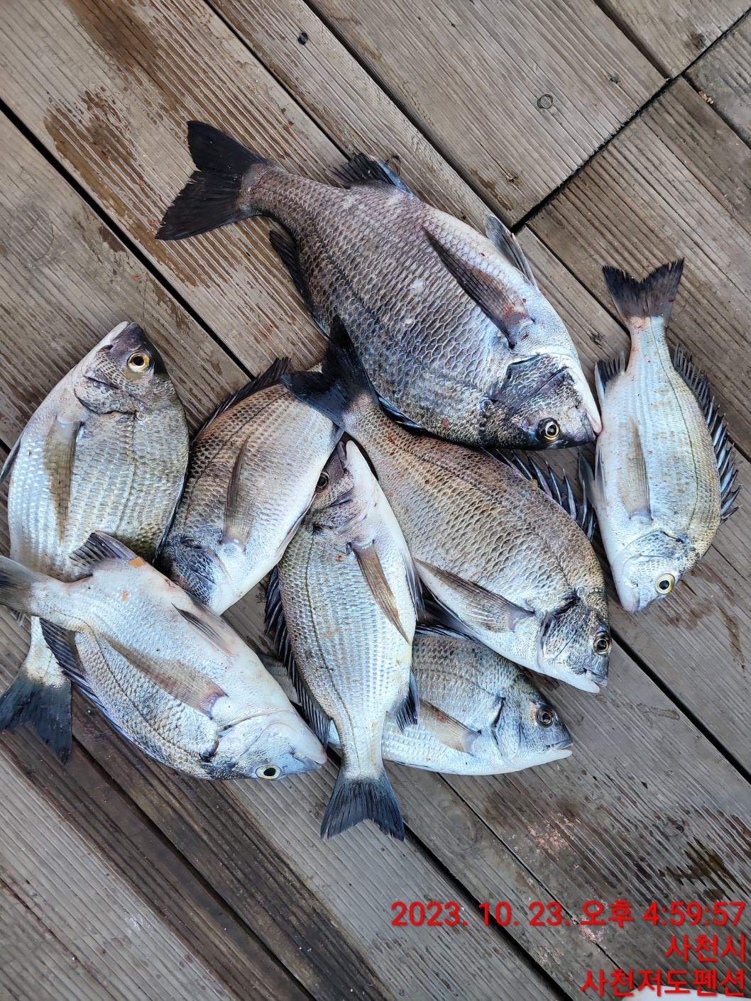
삼천포 저도(딱섬)10월 23일조황 입니다

신상품 소개


회원 랭킹


공지사항


NaverBand
점주/선장 > 좌대/유료터 조황
b_hot_activegloat_200x80.gif b_hot_innakmall_200x80_220704.jpg b_hot_ggsusan_hongeu_200x80.gif b_hot_innakmall_200x80_211203.gif

삼천포 저도(딱섬)10월 23일조황 입니다

저도좌대펜션 0 524
● 출항지 : 사천

fae49daff66050ad4eb452d7e2d39146_1698070551_5907.jpg



fae49daff66050ad4eb452d7e2d39146_1698070551_6939.jpg



fae49daff66050ad4eb452d7e2d39146_1698070551_7884.jpg



fae49daff66050ad4eb452d7e2d39146_1698070551_9042.jpg



fae49daff66050ad4eb452d7e2d39146_1698070552_0045.jpg



fae49daff66050ad4eb452d7e2d39146_1698070552_0974.jpg



fae49daff66050ad4eb452d7e2d39146_1698070552_1866.jpg



fae49daff66050ad4eb452d7e2d39146_1698070552_2845.jpg



fae49daff66050ad4eb452d7e2d39146_1698070556_6012.png




###필독###

야간 야행 손님 담날

꼭 첫배 철수 입니다

아님 이틀치 요금 계산 하셔야 합니다.........

( 공지사황)
10월 16일부터 주간 마직막 철수 오후5시 입니다


안녕하세요 삼천포 저도(딱섬) 낚시 입니다

"감성돔 문어 갑오징어 전갱이 전어가 많이 나오고 있넹요 카드채비 준비해오세요
볼락이 나왔습니다
고생 많으셨습니다 .
안전이 귀가 하세요 ^^
~~~준비사항~~~
잡어가 많아 대체 미끼 준비 하셔야 합니다
혼무시 청개비 크릴새우 옥수수 경단
문어 갑오징어 (무거운 봉돌) (애기 예자) 준비 하세요^^

—이용안내—
**5월15일부터 첫배 06:00
**주간 철수 오후12시/ 2시 / 4시 / 5시
안녕하세요 삼천포 저도좌대 낚시터입니다.
주간 오후6시 마지막 철수배입니다.
야간 볼락 마지막배 철수배11시입니다.
찾아주신 조사님들 고생많으셨습니다!! 안전귀가하세요.
문의사항 있으시면 언제든 아래 전화로 연락주세요.
01063532250 저도낚시터 관리선
좌대이용안내
1인 20,000원(주간,야영 모두 동일)
2인부터 15,000원입니다

&공지사황&
&독좌 예약 하시분들 전화 한통 부탁 드려요
&전화기 물에 풍덩 했습니다

&독좌예약&




10월 24일 2번 좌대 예약
10월 28일 1번 좌대 예약 이*욱

10월 29일 1번 좌대 예약 정&민
11월 04일 2번 좌대 예약 문&우
11월 05일 1번 좌대 예약 정*규
11월 12일 1번 좌대 예약 은&용
11월 19일 1번 좌대 예약



좌대이용시간 07:00~17:00
※관리선 운항시간표※
◎ 주간 운항시간
오전 6:00 ~
★ 철수시간 오전12시부터 매 2시간 마다 운항
오후 12:00
오후 2:00
오후 4:00
오후 5:00 마지막 철수
야영손님 명일오전 첫배 철수
*독좌대 이용 요금
1번 좌대 : 200,000원
2번 좌대 : 150,000원
독좌대예약은 10일전 미리 예약부탁드립니다.
*좌대이용은 왕복선비가 포함된 금액입니다.
※ 주의사항 ※
* 좌대에서 음주 절대 불가입니다.
* 안전을 위해서 구명 조끼 및 필히 착용하시고 낚시하셔야 합니다.
* 낚시터 이동은 원칙적으로 불가하오나, 기상 악천후 시에는 이동가능합니다.
* 섬안에 수달이 돌아다니므로 철수시 살림망을 꼭 챙겨가세요 

0 댓글
포토 제목
 
 

인낚 최신글


인낚 최신댓글


온라인 문의 안내


월~금 : 9:00 ~ 18:00
토/일/공휴일 휴무
점심시간 : 12:00 ~ 13:00