하동대치좌대 조황

신상품 소개


회원 랭킹


공지사항


NaverBand
점주/선장 > 좌대/유료터 조황
b_hot_activegloat_200x80.gif b_hot_innakmall_200x80_220704.jpg b_hot_ggsusan_hongeu_200x80.gif b_hot_innakmall_200x80_211203.gif

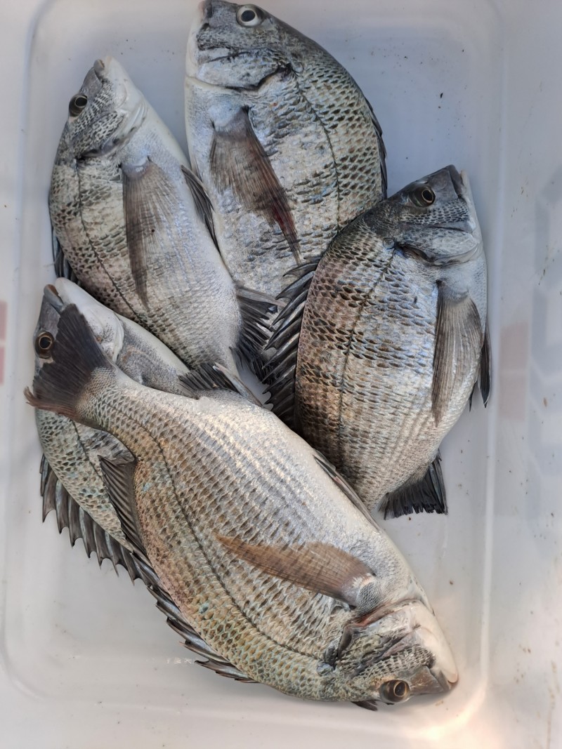
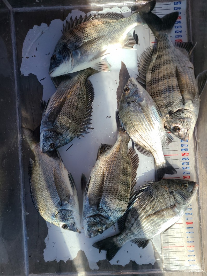
하동대치좌대 조황

하동대치좌대낚시터 0 469
● 출항지 : 남해
12 https://m.blog.naver.com/kurokibo/222710718257

28573ccc596e3b7b8ebccf900737b80a_1700994963_482.jpeg



28573ccc596e3b7b8ebccf900737b80a_1700994965_9052.jpeg



28573ccc596e3b7b8ebccf900737b80a_1700994968_6268.jpeg



28573ccc596e3b7b8ebccf900737b80a_1700994969_8507.jpeg



28573ccc596e3b7b8ebccf900737b80a_1700994971_5427.jpeg



28573ccc596e3b7b8ebccf900737b80a_1700994973_5788.jpeg
 

안녕하세요 하동대치좌대 입니다 금일 조황 올려드립니다 

좌대추천, 조황및 낚시문의는 선장님 010 7154 6553

예약문의는 예약번호 01049798202로 문의주세요


그외 문의사항은 링크의 블로그참고부탁드립니다.


 

0 댓글
포토 제목
 
 

인낚 최신글


인낚 최신댓글


온라인 문의 안내


월~금 : 9:00 ~ 18:00
토/일/공휴일 휴무
점심시간 : 12:00 ~ 13:00