감성돔(어초)시커먼 45 44外돌돔 벵에돔 짜릿손맛~람보1호 (4일 예약)

회원랭킹(월 글등록)


공지사항


NaverBand
점주/선장 > 4대돔 조황(감성돔,돌돔,참돔,벵에돔)

▶ 지켜주세요! ◀
 
 - 4대돔(감성돔,돌돔,참돔,벵에돔) 조황을 올리는 게시판입니다.
   타 어종 등재시 예고없이 게시글 삭제 및 이용정지 됩니다.
 - 제목에 특수문자 사용하시면 안됩니다. (온점, 쉼표, 느낌표, 괄호, 물결만 허용)

 ☆ 공지사항에 조황등재시 유의사항을 꼭 확인하여 조황작성 부탁드리며,
     가장 기본적인 규칙이 지켜지지 않을 시, 예고없이 삭제 및 이용정지 될 수 있음을 알려드립니다. 

 
b_hot_innakmall_200x80_240307.jpg b_hot_innakmall_200x80_220704.jpg b_hot_ggsusan_hongeu_200x80.gif b_hot_innakmall_200x80_211203.gif

감성돔(어초)시커먼 45 44外돌돔 벵에돔 짜릿손맛~람보1호 (4일 예약)

람보1호람보호 1 18
● 출항지 : 거제
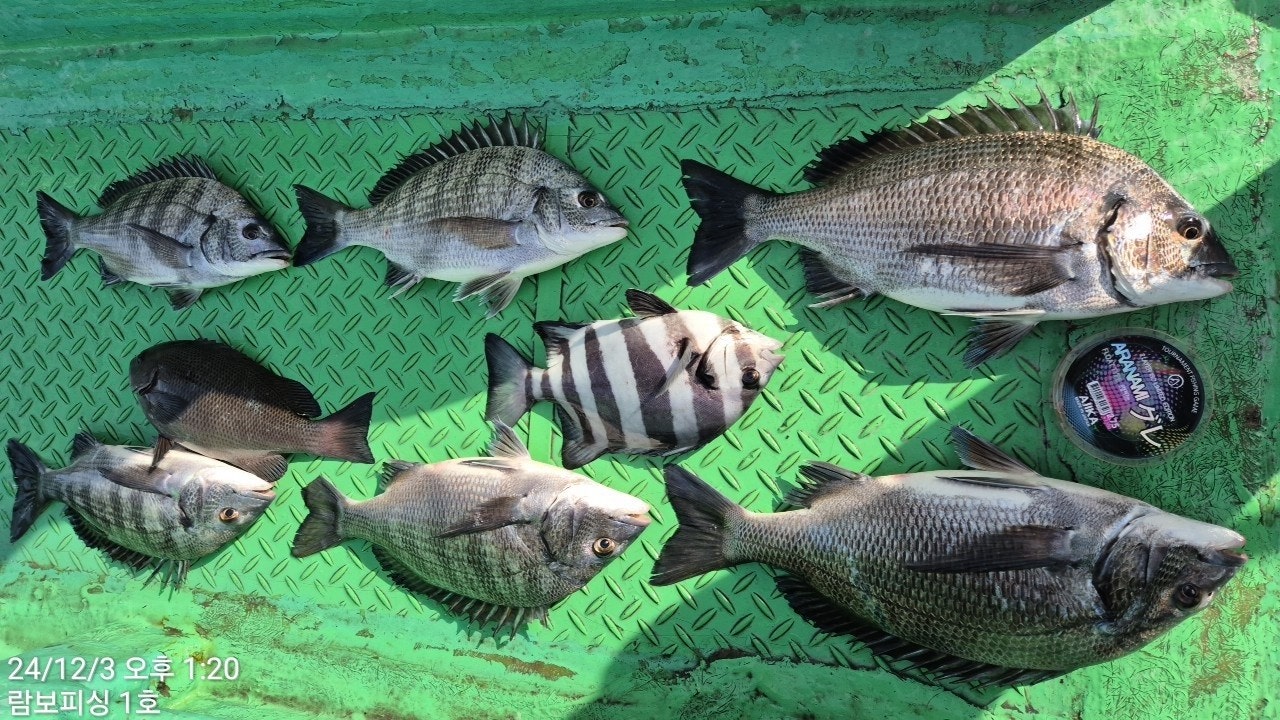
3일(화) 거제도 어초여밭 감성돔낚시 "람보1호" (철수)조황입니다.
※ 감성돔 53Cm 참돔 68Cm이상, 람보피싱 &AJIKA(아지카) 이벤트 라인 증정.

★ 4일(수요일) 어초여밭, 감성돔낚시 참돔낚시 "예약가능"
(4일, 11물, 만조 10:46 간조 16:45)
감성돔(어초)시커먼 45Cm44cm외 3대돔 손맛~
람보피싱 2024년 겨울시즌 "어초여밭포인트"본격 오픈!!!
  • 사용자가 올린 이미지

람보피싱1호입니다.
좋은 물때에 맞추어 진입한 어초권 포인트 10시전에는 4짜급들로
손맛을 보다가 10시 이후 물이 바뀌자 45cm 44cm의 굵직한
녀석들의 환상적인 손맛에 돌돔 벵에돔까지 합세하며 우당탕탕
요란한 오후 물때를 보내고 철수 했습니다.
매일 매일 터트리는 녀석들이 나오고 있고, 12월 본격 대물 감성돔
시즌에 돌입했으니 5짜가 넘어가는 대물을 노리며 내일도
같은 포인트로 진입하여 열심히 흘려보겠습니다.

4일(수요일)부터, 거제도권 대물감성돔 어초여밭 포인트 "예약가능"합니다.
오늘 출조하신 조사님들 수고 많으셨습니다. 감사합니다.

▦ 람보피싱 참돔낚시 & 감성돔낚시 출조 일정 안내 ▦
※ 공휴일과 주말 예약은 서둘러 예약하시면 승율포인트로 우선 진입.
★ 4일(수요일) 11물, 대물감성돔 어초여밭 포인트 "예약가능"
★ 5일(목요일) 12물, 대물감성돔 어초여밭 포인트 "예약가능"
★ 6일(금요일) 13물, 대물감성돔 어초여밭 포인트 "예약가능"
★ 7일(토요일) 14물, 대물감성돔 어초여밭 포인트 "예약가능"
★ 8일(일요일) 조금, 대물감성돔 어초여밭 포인트 "예약가능"

▦ 람보피싱 (참돔/감성돔낚시 전용선 체제)
(출조 문의) ☎010.8387.0331 (부재시) ☎010.9046.1156
(출항지 주소) 경남 거제시 거제면 법동리 1056번지
▶람보피싱 밴드 : https://band.us/@zzxx6954
  • 사용자가 올린 이미지
  • 사용자가 올린 이미지
  • 사용자가 올린 이미지
  • 사용자가 올린 이미지
  • 사용자가 올린 이미지
  • 사용자가 올린 이미지
  • 사용자가 올린 이미지
  • 사용자가 올린 이미지
  • 사용자가 올린 이미지
  • 사용자가 올린 이미지
▦ 감성돔 낚시 먼바다 어초 흘림낚시 안내 ▦
(출조 시기) 5월 부터 10월까지.
(오전낚시) 새벽부터 13時 까지 (유동적)
(오후낚시) 13時부터 일몰까지 (3명부터 출조 운영)
- 도시락, 생수, 밑밥, 미끼 커피 (13만원)

▦ 거제도 감성돔 선상(흘림)낚시 출조 ▦(시즌오프)
(출조 시기) 11월부터 6월 까지.
(종일/흘림낚시) 새벽 5시 출발 오후 2시 까지
- 도시락, 생수, 밑밥, 미끼 커피 (10만원)
(종일/카고낚시) 새벽부터 오후 2시 까지
- 도시락, 생수, 밑밥, 미끼 커피 (10만원)
▶ 어초/여밭 감성돔낚시는 11월부터 4월 까지 (종일낚시만 운영).

▦ 무늬오징어 팁런 ▦ 8만원
매일 저녁 6시 출발 ~ 익일 01시(유동적) 철수
- 음료,생수 제공

<참돔낚시 채비>
(낚 시 대) 1.5호대부터 2호대 까지 사용.
(릴-Reel) 5000번, 원줄 5호, 목줄 3~5호 정도.
(찌-Float) 잠수찌 -2B, -3B 사용
※ 참돔낚시에는 막대찌 채비를 사용하지 않고, 참돔 기본 채비만 운용.

▦ 람보피싱 이용 안내 ▦
▶ 기상만 허락되면 1명 조사님이라도 매일 매일 출조합니다.
▶ 포인트는 수년간 가장 승율높은 포인트만을 선별해서 진입합니다.
▶ 찾아 주신 조사님들께 손맛 보실 수 있도록 최선을 다하겠습니다.
▶ 람보 피싱은 베테랑 선장 구성 (5선단으로 운영).
▶ 먼 바다 참돔 출조는 3명 이상 되면 출조합니다

◐ 협력 숙박시설 ◐
산애수펜션 ☎ 010-8548-2366 (람보피싱 선단 출항지 5분 거리 위치)
경남 거제시 둔덕면 거제남서로 4658

◐ 주의 사항 ◐
▶신분증(주민증 또는 운전면허증) 지참은 필수입니다.
▶주류 반입 및 음주 행위 금지와 구명복 착용은 필히 준수해야 합니다.

▦ 람보피싱 (참돔/감성돔낚시 전용선 체제)
(출조 문의) ☎010.8387.0331 (부재시) ☎010.9046.1156
(출항지 주소) 경남 거제시 거제면 법동리 1056번지
▶람보피싱 밴드 : https://band.us/@zzxx6954
(예약 계좌번호) 수협 0010-8541-0331 예금주:권영효
  • 사용자가 올린 이미지

, , , , , , , , , , , , , , , , , , , , , , , , , ,

  • 페이스북으로 보내기
  • 트위터로 보내기
  • 구글플러스로 보내기
  • 카카오스토리로 보내기
  • 네이버밴드로 보내기
  • 네이버로 보내기
  • 텀블러로 보내기
  • 핀터레스트로 보내기
1 댓글
람보1호람보호 24-12-03 15:24 0  
4일 거제도 어초여밭 감성돔 찌낚시 예약 가능합니다.감사합니다.
포토 제목
 
 

인낚 최신글


인낚 최신댓글


온라인 문의 안내


월~금 : 9:00 ~ 18:00
토/일/공휴일 휴무
점심시간 : 12:00 ~ 13:00