카드
경남 창원시 진해구 안골로89번길 7 김해낚시
|
|
|
|
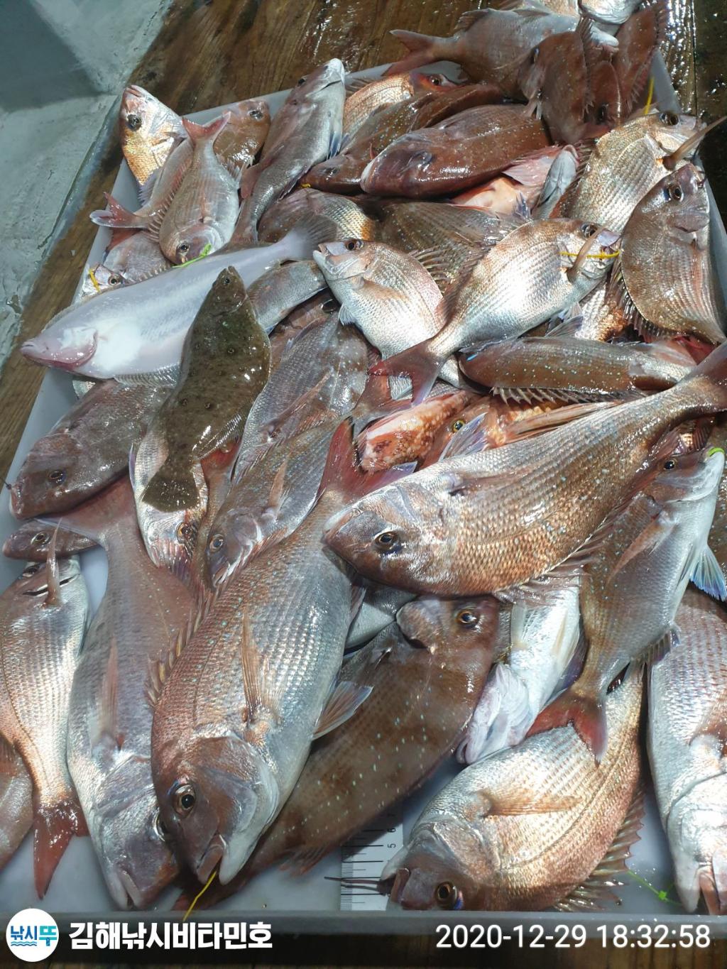
비타민 참돔라바~빠가에 이어 마릿수로 토,일,월~예약가
경남 창원시 진해구 안골로89번길 7 김해낚시
겨울낚시도 진해 김해낚시 비타민과 함께~^^●비타민1호 왕볼락&열기 ●비타민one 2호 참돔타이라바 토,일,윌~ 예약가능
★비타민★
★비타민one★

▶▶▶자세한 조황정보 및 출조현황은 카페 또는 밴드로 들어오셨서 확인해보세요~^^
비타민 카페
http://cafe.naver.com/vitaminho1
▶▶▶비타민 밴드◀◀◀
https://band.us/band/48956154
김해낚시는 조우님들이 좀 더 편리하고 편안하게 이용하실 수 있도록 넓은 휴식공간과 별도의 휴계실 그리고 샤워실등의 공간을 제공하며
겉포장만 화려한지 않는 속까지 꽉~찬 김해낚시가 되기 위해
항상 최선을 다하는 모습 보이겠습니다.~*^^*










![]()
![]()
비타민호는 22명 정원으로(선장님포함)
오른쪽 10자리 왼쪽 10자리
넓은 간격에서 편하게 낚시 하실수 있습니다.
★★★신분증 꼭~ 지참하세요^^
※먼바다갈치※
선비14만원
출조:오후 3시 출항~ 오전 7시경 입항
(유동적일 수 있습니다)
(기둥줄, 갈치바늘은 제공하지 않겠습니다.)
※참돔타이라바※
선비10만원
출조:06시 출항~ 15시경 입항
(유동적일 수 있습니다)
※오징어※?
선비10만원
출조:오후 5시 출항~ 오전 5시경 입항
(유동적일 수 있습니다)
※열기,볼락※?
선비10만원
무료서비스(선비미포함)--꽁치,식사,음료,컵라면,커피,얼음
***개인준비 -우비,쿨러,칼,가위,장갑,멀리약 등등등~
찾아오시는 길 : 창원시 진해구 안골동 826-11
연 락 처 010-4519-2465
|

| 항구명 | 진해 안골항 |
| 선박명 | 김해낚시 비타민호 |
| 승객 | 22명 |
| 출조해역 | 남해 먼바다 |
|
|
|
|

