또 언제 내릴수있을지 모르는 남해 가천 감성돔
① 출 조 일 : 오늘
② 출 조 지 : 남해 가천
③ 출조 인원 : 2명
④ 물 때 : 요즘 잘안보고 다녀요 ㅠㅠ 그냥 오전들물이라는거만... 들었어요..
⑤ 바다 상황 : 날씨는 정말 좋은데... 왜 ... 조류는 안갈까요? 라는 의문이 드는 상황...
⑥ 조황 요약 :
안녕하세요~ ^^
덕명멸치막입니다.
몇일전에 삼천포 내만권에서 대물급 손맛을 보고 난후.... 2시간 3시간 이런 짬낚시는 2번 다녀왔었습니다.
삼천포 거주하다 보니 편하게 다닐수있어서 정말 좋네요.
하지만 , 40급애들은 걸어놓고도... 뜰채질 하다가 벗겨지는 경우가 2번..... 손맛보다가... PPT 쓸려버리고..
고기다운 고기는 못봤었습니다. ㅠ.ㅠ
자주 오는 포인트지만, 그날그날 패턴이 많이 틀리기 때문에... 선장님 한테 꼭 문의 해보고 내립니다..
그러면 꽝 보다는 손맛은 볼수있다고 생각이듭니다.
사설이 길었네요..
어제 저녁에 회사형님 이랑 이런 저런 통화를 하다가... 내일 낚시 갈래? 하는 소리에... 바로 콜 ~ 해버립니다.
낚시방에서 가천 들어간다는 지인분들이 계시길래... 혹시나 하는 마음에 대박피싱에 전화를 드렸더니..
마침 자리가있다고 하시네요.. 6시까지 오면 된답니다~ ^^
5시 형이랑 만나서 남해 노도로 출발해봅니다~ 워낙 자주 가는길이다보니... 금방 도착하더군요..
저희가 오늘 내린곳은 <마당바위> 라는 가천의 갯바위 였습니다.
오늘은 채비
1호 로드 + 2500번 LBD릴 (2.5원줄) + 1.7호 목줄 어신찌 : 05 이렇게 사용했구여.
같이 가신 형님 1호로드 + 3000번 LBD릴(3호원줄) + 1.5목줄 B찌 이렇게 세팅을 했습니다.
포인트가 넓고 정말 좋더군요... 발판도 좋고~ 바람도없고~ 파고는 조금있었습니다.
홈통쪽을 보고 낚시를 했는데요...
수심은 대략 7~ 12미터 정도가 나오는 약간의 직벽 형식의 포인트 였습니다.
2~3번의 캐스팅을 했을때 낚시대를 가져가는 어신이 오더라구여... 깜짝 놀라서 챔질하고.... 릴링 하니깐..
에게 한 30정도 되는 애가 한마리 올라오네요... 흠.. 너무 작은데... 이런거 보러온건 아닌데.......
마지막 고기가 될수도있는지라... 바칸에 물체워서 고이 살려둡니다.
옆에서 형님 히트~ 열심히 LB주시네요... 낚시대가 크게 안휘어서... 들어뽕? 싸이즈 아입니까.? 햇더니..
뜰채 뜰채... 이러시네요... 뜰채 담고보니... 40정도로 보입니다...
흠.. .고기가 들어왔군...
멀리 캐스팅하고 스플바로 닫은후에 점점점점점점 채비가 들어오도록 해둔다음에...
열심히 품질을 합니다... 한주걱 두주걱... 여섯주걱.... 이때즘이었어요... 찌가 자물자물 하는겁니다.
어.. 입질이네... 일곱주걱.. 여덟주걱...... 음... 찌가 안보이네? 챔질...
꾸~욱~ 꾸욱... 오호... 힘좀 쓰네... 중경질대다 보니..... 잠깐 손맛보고... 뜰채에 담기네요..
이녀석도.. 30중후반은 될것같은데... 힘을 당차게 씁니다.
1시간조금 넘었는데... 벌써 3마리 햇네요.... 오늘좀 될려나...
그뒤로 잡어 한마리없네요.. 그전에도 없었습니다. 총 입질4번 왔는데요 두명이서... 노래미1 감성돔3
그흔한 망상돔.. 복어 한마리 없습니다....
시간은 흐르고 흘러~ 11시조금넘었네요.... 물돌이인가... 물도 안갑니다... 처음부터 잘안갔습니다 ㅠㅠ
똑같은 패턴으로 수심을 12미터 고정시킨후... 30미터쯤 캐스팅하고...찌가 발앞까지 들어오도록... 유도 합니다.
매듭이 찌에 닫는순간 여분의 원줄을 더 감아버리고 찌랑 낚시대가 일자로 되도록 원줄을 잡고있었습니다.
옆에형 한테 말거는데.... 확~ 하면서 낚시대를 가지고 가버리네요...... 헐.. 대박..
꾸~ 욱 꾸~~~ 욱... 오... 힘이 상당한데요.... 자꾸 발밑으로 파고들어서 갯바위를 뛰어다니면서... 옆으로 옆으로 아놔... 터질것같은데... 쓸릴려나..... 고기가 떳네요.. 40은 넘어보이는데.. 빵이 정말 좋네요...
옆에 있을것같은.. 뜰채를 보니깐....... 몇시간 고기입질이 없다보니.. 뜰채가 위에 있네요 ㅠ.ㅠ
옆에 형님이 뛰어오셔서 뜰채질 도와주시네요~ 감사합니다.
고기 담고.... 바칸 물갈아주고.... 열심히 낚시를 해보지만... 그뒤로.... 크릴은 냉장고에서 꺼낸것처럼 살아돌아왔고... 물은 움직일 생각도 안햇고... 바닥 밑걸림은 전혀엇었습니다 .ㅠ.ㅠ
물안에 여가 있긴한데.. 너무 작은여라.. 그냥 타고 넘어버리는것같았습니다.
2시조금넘어서 낚시대와 주변 정리를 하고..... 3시배로 철수했습니다.
오늘 기상이 좋아서 그런지 모르겠지만, 보통 내리신분들인 3~4수씩은 하신듯합니다. 제가 본팀은 4팀정도 됩니다.
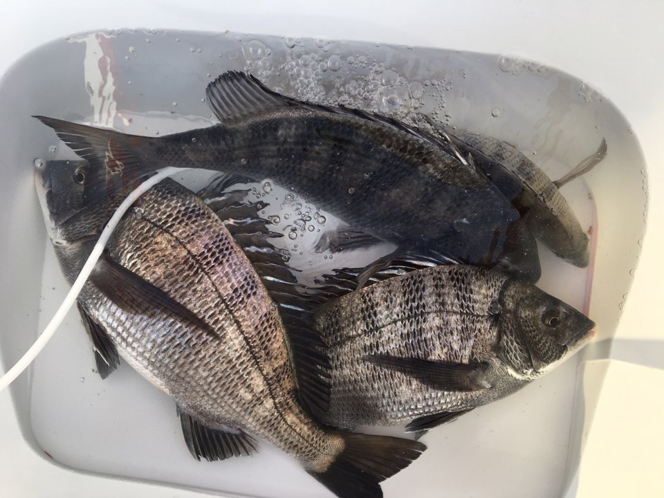
제가 2마리 가져오공... 형님이 2마리 가져가시공.... 사진은 45바칸 한컷이랑.. 계측용 판에 한컷입니다.
42~3은 될줄알았는데... 41정도 나오네요......ㅠ.ㅠ
어머니한테 상납하고~ 헬스장가기전에.. 잠시 글남기고 갑니다......
가장 좋은건 손맛도 손맛이지만, 갯바위가 너무 깨끗했습니다. 쓰레기도 거의없는 편이구여...
올 12월까지는 그나마 내릴수있겟지만, 내년부터 가천이 묶인다니깐... 또 소중한 갯바위를 잃은것같네요..
어딜또 찾으러 가봐야 하나.... 싶네요...
다들 춥습니다~ 낚시다니실때 따뜻하게 입으시구여~ 손맛 찐하게들 보셨으면 합니다.
본인쓰레기라도~ 꼭!! 쳉겨옵시다~
② 출 조 지 : 남해 가천
③ 출조 인원 : 2명
④ 물 때 : 요즘 잘안보고 다녀요 ㅠㅠ 그냥 오전들물이라는거만... 들었어요..
⑤ 바다 상황 : 날씨는 정말 좋은데... 왜 ... 조류는 안갈까요? 라는 의문이 드는 상황...
⑥ 조황 요약 :
안녕하세요~ ^^
덕명멸치막입니다.
몇일전에 삼천포 내만권에서 대물급 손맛을 보고 난후.... 2시간 3시간 이런 짬낚시는 2번 다녀왔었습니다.
삼천포 거주하다 보니 편하게 다닐수있어서 정말 좋네요.
하지만 , 40급애들은 걸어놓고도... 뜰채질 하다가 벗겨지는 경우가 2번..... 손맛보다가... PPT 쓸려버리고..
고기다운 고기는 못봤었습니다. ㅠ.ㅠ
자주 오는 포인트지만, 그날그날 패턴이 많이 틀리기 때문에... 선장님 한테 꼭 문의 해보고 내립니다..
그러면 꽝 보다는 손맛은 볼수있다고 생각이듭니다.
사설이 길었네요..
어제 저녁에 회사형님 이랑 이런 저런 통화를 하다가... 내일 낚시 갈래? 하는 소리에... 바로 콜 ~ 해버립니다.
낚시방에서 가천 들어간다는 지인분들이 계시길래... 혹시나 하는 마음에 대박피싱에 전화를 드렸더니..
마침 자리가있다고 하시네요.. 6시까지 오면 된답니다~ ^^
5시 형이랑 만나서 남해 노도로 출발해봅니다~ 워낙 자주 가는길이다보니... 금방 도착하더군요..
저희가 오늘 내린곳은 <마당바위> 라는 가천의 갯바위 였습니다.
오늘은 채비
1호 로드 + 2500번 LBD릴 (2.5원줄) + 1.7호 목줄 어신찌 : 05 이렇게 사용했구여.
같이 가신 형님 1호로드 + 3000번 LBD릴(3호원줄) + 1.5목줄 B찌 이렇게 세팅을 했습니다.
포인트가 넓고 정말 좋더군요... 발판도 좋고~ 바람도없고~ 파고는 조금있었습니다.
홈통쪽을 보고 낚시를 했는데요...
수심은 대략 7~ 12미터 정도가 나오는 약간의 직벽 형식의 포인트 였습니다.
2~3번의 캐스팅을 했을때 낚시대를 가져가는 어신이 오더라구여... 깜짝 놀라서 챔질하고.... 릴링 하니깐..
에게 한 30정도 되는 애가 한마리 올라오네요... 흠.. 너무 작은데... 이런거 보러온건 아닌데.......
마지막 고기가 될수도있는지라... 바칸에 물체워서 고이 살려둡니다.
옆에서 형님 히트~ 열심히 LB주시네요... 낚시대가 크게 안휘어서... 들어뽕? 싸이즈 아입니까.? 햇더니..
뜰채 뜰채... 이러시네요... 뜰채 담고보니... 40정도로 보입니다...
흠.. .고기가 들어왔군...
멀리 캐스팅하고 스플바로 닫은후에 점점점점점점 채비가 들어오도록 해둔다음에...
열심히 품질을 합니다... 한주걱 두주걱... 여섯주걱.... 이때즘이었어요... 찌가 자물자물 하는겁니다.
어.. 입질이네... 일곱주걱.. 여덟주걱...... 음... 찌가 안보이네? 챔질...
꾸~욱~ 꾸욱... 오호... 힘좀 쓰네... 중경질대다 보니..... 잠깐 손맛보고... 뜰채에 담기네요..
이녀석도.. 30중후반은 될것같은데... 힘을 당차게 씁니다.
1시간조금 넘었는데... 벌써 3마리 햇네요.... 오늘좀 될려나...
그뒤로 잡어 한마리없네요.. 그전에도 없었습니다. 총 입질4번 왔는데요 두명이서... 노래미1 감성돔3
그흔한 망상돔.. 복어 한마리 없습니다....
시간은 흐르고 흘러~ 11시조금넘었네요.... 물돌이인가... 물도 안갑니다... 처음부터 잘안갔습니다 ㅠㅠ
똑같은 패턴으로 수심을 12미터 고정시킨후... 30미터쯤 캐스팅하고...찌가 발앞까지 들어오도록... 유도 합니다.
매듭이 찌에 닫는순간 여분의 원줄을 더 감아버리고 찌랑 낚시대가 일자로 되도록 원줄을 잡고있었습니다.
옆에형 한테 말거는데.... 확~ 하면서 낚시대를 가지고 가버리네요...... 헐.. 대박..
꾸~ 욱 꾸~~~ 욱... 오... 힘이 상당한데요.... 자꾸 발밑으로 파고들어서 갯바위를 뛰어다니면서... 옆으로 옆으로 아놔... 터질것같은데... 쓸릴려나..... 고기가 떳네요.. 40은 넘어보이는데.. 빵이 정말 좋네요...
옆에 있을것같은.. 뜰채를 보니깐....... 몇시간 고기입질이 없다보니.. 뜰채가 위에 있네요 ㅠ.ㅠ
옆에 형님이 뛰어오셔서 뜰채질 도와주시네요~ 감사합니다.
고기 담고.... 바칸 물갈아주고.... 열심히 낚시를 해보지만... 그뒤로.... 크릴은 냉장고에서 꺼낸것처럼 살아돌아왔고... 물은 움직일 생각도 안햇고... 바닥 밑걸림은 전혀엇었습니다 .ㅠ.ㅠ
물안에 여가 있긴한데.. 너무 작은여라.. 그냥 타고 넘어버리는것같았습니다.
2시조금넘어서 낚시대와 주변 정리를 하고..... 3시배로 철수했습니다.
오늘 기상이 좋아서 그런지 모르겠지만, 보통 내리신분들인 3~4수씩은 하신듯합니다. 제가 본팀은 4팀정도 됩니다.
제가 2마리 가져오공... 형님이 2마리 가져가시공.... 사진은 45바칸 한컷이랑.. 계측용 판에 한컷입니다.
42~3은 될줄알았는데... 41정도 나오네요......ㅠ.ㅠ
어머니한테 상납하고~ 헬스장가기전에.. 잠시 글남기고 갑니다......
가장 좋은건 손맛도 손맛이지만, 갯바위가 너무 깨끗했습니다. 쓰레기도 거의없는 편이구여...
올 12월까지는 그나마 내릴수있겟지만, 내년부터 가천이 묶인다니깐... 또 소중한 갯바위를 잃은것같네요..
어딜또 찾으러 가봐야 하나.... 싶네요...
다들 춥습니다~ 낚시다니실때 따뜻하게 입으시구여~ 손맛 찐하게들 보셨으면 합니다.
본인쓰레기라도~ 꼭!! 쳉겨옵시다~








