간절곶송정가두리낚시터 조황입니다(주간)
① 출 조 일 :
② 출 조 지 :
③ 출조 인원 :
④ 물 때 :
⑤ 바다 상황 :
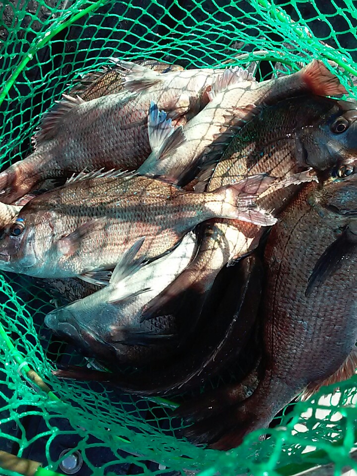
⑥ 조황 요약 :
금일 가두리 조황입니다
12월 한달간 참돔ㆍ농어 등 방류어종 대량방류
하고 있습니다
많은 참여 부탁드립니다
기타문의는 01047048805/01038456334
홈피 주소 http://www.gsfishing.co.kr <---클릭
② 출 조 지 :
③ 출조 인원 :
④ 물 때 :
⑤ 바다 상황 :
⑥ 조황 요약 :
금일 가두리 조황입니다
12월 한달간 참돔ㆍ농어 등 방류어종 대량방류
하고 있습니다
많은 참여 부탁드립니다
기타문의는 01047048805/01038456334
홈피 주소 http://www.gsfishing.co.kr <---클릭







