송정낚시터 조황 소식입니다
▶조황글 작성시 낚시를 다녀오신 출조인원을 정확히 선택해 주시기 바랍니다.
☆☆☆12월 가을어종 방류 소식입니다
***참돔/민어/우럭/감성돔/농어(참민어ㆍ병어는 소진시
까지 계속 입어)
****11월 28일 부터 체험방 이벤트 행사중 홈페이지 참조
하십시요
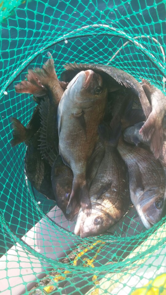
■■■자세한 조황사진은 홈페이지 참고 하십시요
기타문의는 01047048805(부재시 문자 부탁드립니다)
홈피 주소 http://www.gsfishing.co.kr
네비주소: 울산시 울주군 서생면 대송리 339-8번지
■■2015년 12월 2일개장 관련 소식■■
***12월 2일 개장#160;12월 3일 휴장합니다
(12월 3일 4일 일기예보상 너울이 예상되어 부득이하게 12월 1일 개장하고 12월 3일 휴장합니다)
☆☆☆12월 가을어종 방류 소식입니다
***참돔/민어/우럭/감성돔/농어(참민어ㆍ병어는 소진시
까지 계속 입어)
****11월 28일 부터 체험방 이벤트 행사중 홈페이지 참조
하십시요
■■■자세한 조황사진은 홈페이지 참고 하십시요
기타문의는 01047048805(부재시 문자 부탁드립니다)
홈피 주소 http://www.gsfishing.co.kr
네비주소: 울산시 울주군 서생면 대송리 339-8번지
■■2015년 12월 2일개장 관련 소식■■
***12월 2일 개장#160;12월 3일 휴장합니다
(12월 3일 4일 일기예보상 너울이 예상되어 부득이하게 12월 1일 개장하고 12월 3일 휴장합니다)







