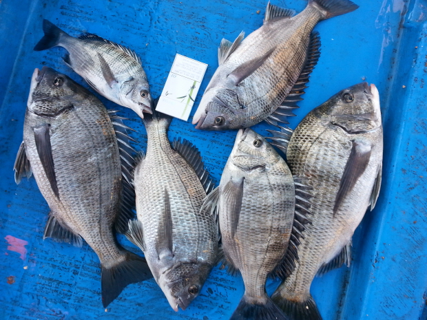
(완도 은솔호) 씨알급 감성돔 입니다

신상품 소개


회원 랭킹


공지사항


NaverBand
[점주/선장] 선상(배) 조황 - 2014년
글 읽기만 가능합니다.

(완도 은솔호) 씨알급 감성돔 입니다

완도뉴대광호 0 129 0
★★★글을 삭제하고 다시 올리는 비양심적인 행위를 금지함에 따라 본문글 수정/삭제 기능을 폐지합니다.★★★
① 출 조 일 :
② 출 조 지 :
③ 출조 인원 :
④ 물 때 :
⑤ 바다 상황 :
⑥ 조황 요약 :
하루 종일 뻘물에 고전했내요...

완도 은솔호 입니다
각종 장비 및 보험은 필
화장실...200마력엔진...2.34톤... 승선인원 7 명
문의 전화 010-5204-1677



0 Comments
 
 


인낚 최신글


인낚 최신댓글


온라인 문의 안내


월~금 : 9:00 ~ 18:00
토/일/공휴일 휴무
점심시간 : 12:00 ~ 13:00