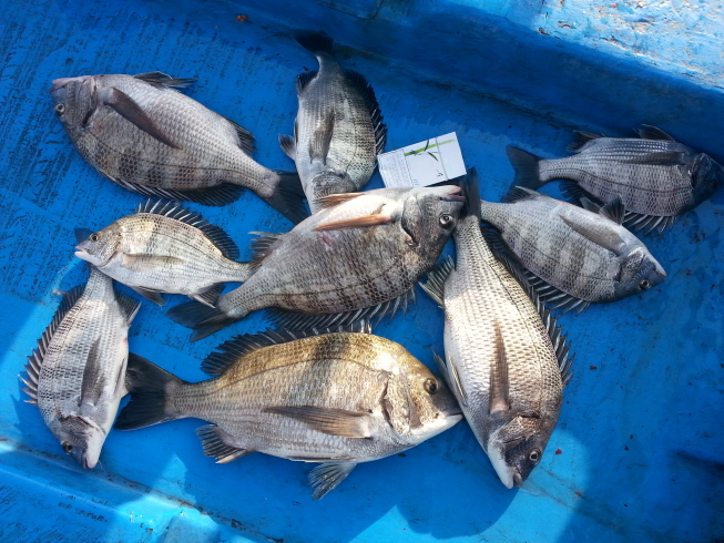
(완도 은솔호) 씨알급 감성돔 입니다
★★★글을 삭제하고 다시 올리는 비양심적인 행위를 금지함에 따라 본문글 수정/삭제 기능을 폐지합니다.★★★
① 출 조 일 : 14...12...30
② 출 조 지 :
③ 출조 인원 :
④ 물 때 :
⑤ 바다 상황 :
⑥ 조황 요약 : 남양주 사장님 혼자 모시고 감성돔 낚시 다녀왔습니다
오늘은 잔씨알들도 몇마리 나오내요..
완도 은솔호 입니다
각종 장비 및 보험은 필
화장실..200마력엔진..2.34톤.. 승선인원 7 명
문의전화 010-5204-1677
%%%%%% 주말 예약 하세요....
① 출 조 일 : 14...12...30
② 출 조 지 :
③ 출조 인원 :
④ 물 때 :
⑤ 바다 상황 :
⑥ 조황 요약 : 남양주 사장님 혼자 모시고 감성돔 낚시 다녀왔습니다
오늘은 잔씨알들도 몇마리 나오내요..
완도 은솔호 입니다
각종 장비 및 보험은 필
화장실..200마력엔진..2.34톤.. 승선인원 7 명
문의전화 010-5204-1677
%%%%%% 주말 예약 하세요....







