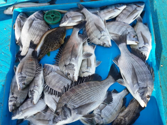
(완도 은솔호) 마리수 감성돔입니다~~~~
★★★글을 삭제하고 다시 올리는 비양심적인 행위를 금지함에 따라 본문글 수정/삭제 기능을 폐지합니다.★★★
① 출 조 일 : 14.....11...21
② 출 조 지 :
③ 출조 인원 :
④ 물 때 :
⑤ 바다 상황 :
⑥ 조황 요약 :
광주 조사님들과 대모도 다녀왔습니다
오늘도 여전히 손맛을 진하게 보고 철수 했내요...
완도 은솔호 입니다
각종 장비 및 보험은 필
화장실...200마력엔진....2.34톤... 승선인원 7명
문의전화 010-5204-1677
%%%%% 일요일(23일) 예약 됩니다...
① 출 조 일 : 14.....11...21
② 출 조 지 :
③ 출조 인원 :
④ 물 때 :
⑤ 바다 상황 :
⑥ 조황 요약 :
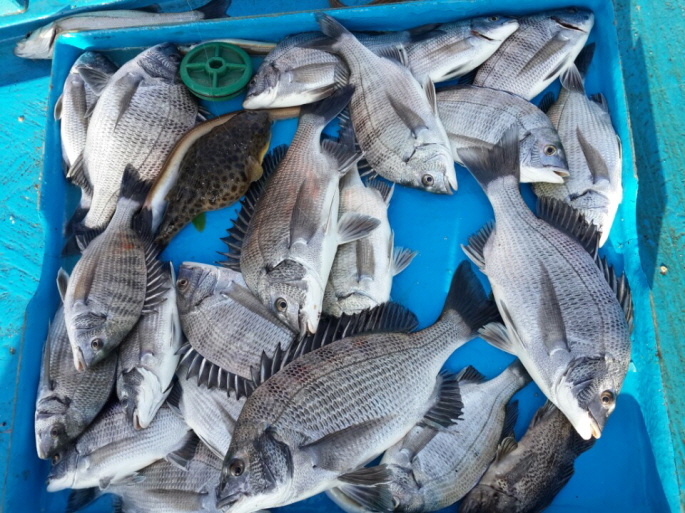
광주 조사님들과 대모도 다녀왔습니다
오늘도 여전히 손맛을 진하게 보고 철수 했내요...
완도 은솔호 입니다
각종 장비 및 보험은 필
화장실...200마력엔진....2.34톤... 승선인원 7명
문의전화 010-5204-1677
%%%%% 일요일(23일) 예약 됩니다...







