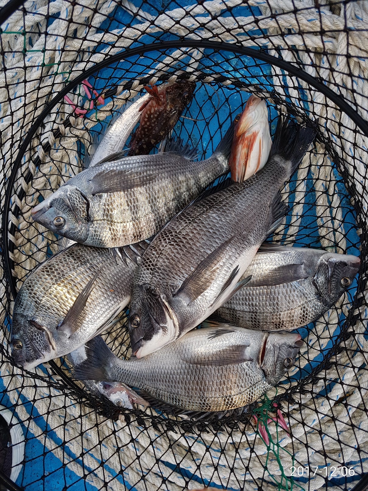
삼천포 발방권 감성돔
바람을 동반한 추위가 며칠간 지속되더니 또 한계단 떨어진 수온으로 인해 녀석들의 움직임이 둔화된듯하다. 사실 겨울낚시는 낚시 자체만을 즐기는데 의의 가져야 스트레스를 덜 받는다. 조과에 연연하다보면 좋은 느낌과 시간을 잃어버리는 수가 있을것같다. 다행히 녀석들의 얼굴이라도 볼수 있음을 감사드리고 또다른 날을 기약한다.
출항지 : 사천시(삼천포) 늑도항 사천시 늑도길 95
승선정원 : 8명
대상어종 : 감성돔,뽈락,생활낚시(문어,쭈꾸미외 다수어종)
출조문의 : 늑도호선장 010 - 8596- 9678
***물힘이 약해지는 조금시기(13물~4,5물)에 뽈락,문어,쭈꾸미,갑오징어 등 생활낚시는 유리하니 참고하시기 바랍니다. (낚시대,릴 대여가능) 신분증 필히지참
수협 987 - 62 - 106693 장기홍
출항지 : 사천시(삼천포) 늑도항 사천시 늑도길 95
승선정원 : 8명
대상어종 : 감성돔,뽈락,생활낚시(문어,쭈꾸미외 다수어종)
출조문의 : 늑도호선장 010 - 8596- 9678
***물힘이 약해지는 조금시기(13물~4,5물)에 뽈락,문어,쭈꾸미,갑오징어 등 생활낚시는 유리하니 참고하시기 바랍니다. (낚시대,릴 대여가능) 신분증 필히지참
수협 987 - 62 - 106693 장기홍








