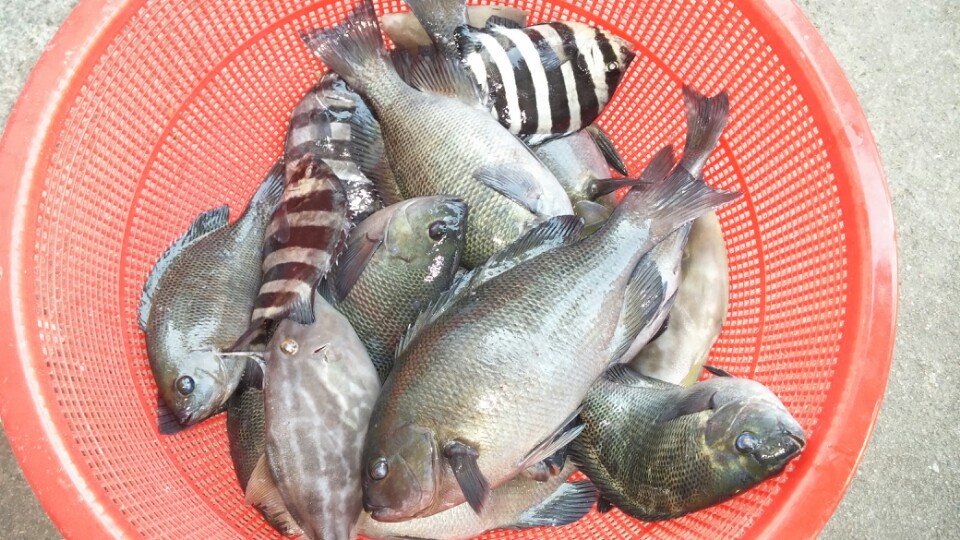
포항영일만항 감성돔ㆍ벵에돔 ㆍ쥐치
① 출 조 일 :
② 출 조 지 :
③ 출조 인원 :
④ 물 때 :
⑤ 바다 상황 :
⑥ 조황 요약 :
안녕하세요ㆍ영일만항에 위치한 낚시꾼의 집 등대낚시입니다
어제도 마찬가지로 고등어 조황이 저조하였읍니다
계릴라성으로 해질 문렵에 때로 활동하네요
고등어만 고집하지 마시고 전어카드채비에 쥐치가 잘나옵니다
검성돔시즌이 시작되면서 씨알급의 벵에돔도
움직이기 시작합니다 ㆍ
낮에는 벵에돔ㆍ해질무렵에는 감성돔낚시를 해보세요
항시 벵에돔ㆍ쥐치 미끼 홍개비 준비완료
오늘도 낚시하기에는 무난난 하루입니다
자세한 사항은 본점에 문의 하세요
조황문의 054ㅡ252ㅡ6474
010ㅡ3516ㅡ4429등대낚시
* *제13회 전국바다낚시 대회
*대회일시ㆍ11월2일 일요일
대회시간ㆍ07시부터12시까지
대회장소 ㆍ 영일만항 뜬방파제
집결지ㆍ 영일만항
참가비ㆍ오만원
참가인원ㆍ오백명
ㅣ등상금ㆍ일천만원
2등 상금ㆍ이백만원
3등상금ㆍ백만원
그외 등수ㆍ다양한 상품
대상어종 ㆍ감성돔ㆍ벵에돔 순으로 한마리
온라인 입금ㆍ신한은행: 110-374-381365 유성인
② 출 조 지 :
③ 출조 인원 :
④ 물 때 :
⑤ 바다 상황 :
⑥ 조황 요약 :
안녕하세요ㆍ영일만항에 위치한 낚시꾼의 집 등대낚시입니다
어제도 마찬가지로 고등어 조황이 저조하였읍니다
계릴라성으로 해질 문렵에 때로 활동하네요
고등어만 고집하지 마시고 전어카드채비에 쥐치가 잘나옵니다
검성돔시즌이 시작되면서 씨알급의 벵에돔도
움직이기 시작합니다 ㆍ
낮에는 벵에돔ㆍ해질무렵에는 감성돔낚시를 해보세요
항시 벵에돔ㆍ쥐치 미끼 홍개비 준비완료
오늘도 낚시하기에는 무난난 하루입니다
자세한 사항은 본점에 문의 하세요
조황문의 054ㅡ252ㅡ6474
010ㅡ3516ㅡ4429등대낚시
* *제13회 전국바다낚시 대회
*대회일시ㆍ11월2일 일요일
대회시간ㆍ07시부터12시까지
대회장소 ㆍ 영일만항 뜬방파제
집결지ㆍ 영일만항
참가비ㆍ오만원
참가인원ㆍ오백명
ㅣ등상금ㆍ일천만원
2등 상금ㆍ이백만원
3등상금ㆍ백만원
그외 등수ㆍ다양한 상품
대상어종 ㆍ감성돔ㆍ벵에돔 순으로 한마리
온라인 입금ㆍ신한은행: 110-374-381365 유성인







