방파제 감성돔과 지난번 조황 날짜캪쳐..
지난번 10일자 조황에 오해 있으신 부분 소명코자 카톡 캪쳐해서 같이 올립니다.
사실 카톡이나 문자로 받는 사진은 많지만 막상 올릴려면 여러가지 고려해야 할
사항들이 신경 쓰여서 그때그때 올리긴 쉽지 않습니다.
게으름 탓도 있구요..^^
1~2일 상간으로 제법 쓸만한 사진들이 모이면 올리고
모이지 않을 경우는 그냥 컴에 하드용량만 까먹고 잠자는 경우가 더 많습니다.
카톡날짜 확인 하시고 오해 없으셨으면 합니다.
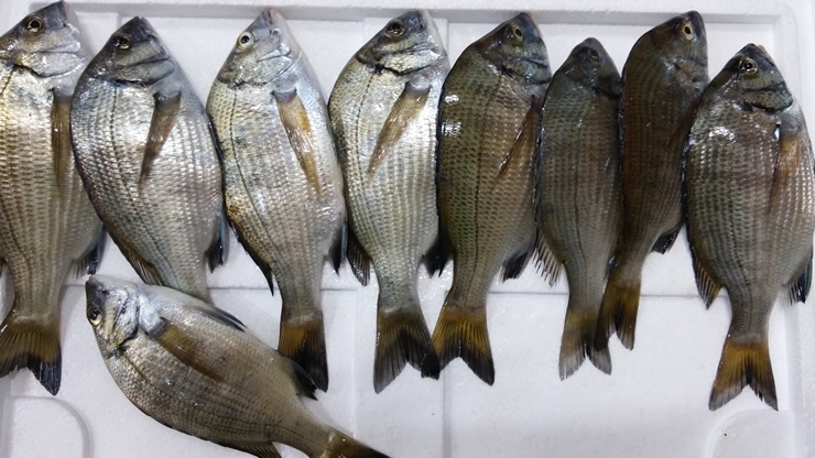
위 사진은 어제 조황입니다.
제가 직접 찍은 사진이구요..
이 사진도 주의보중에 무슨 감성돔이냐 하시거나
혹시 위험한 낚시를 조장하는 꼴이 될까봐
그냥 묵히고 말려다가 캪쳐 올리는 김에 같이 올립니다..
암튼 오늘 내일은 출조 자제 하시는 것이 좋을듯 합니다..^^
흥해25시낚시마트 054-262-9915
포항시 북구 흥해읍 마산리 36-1 (7번국도 영덕방향, 마산4거리 통과후 150m 우측 대로변
사실 카톡이나 문자로 받는 사진은 많지만 막상 올릴려면 여러가지 고려해야 할
사항들이 신경 쓰여서 그때그때 올리긴 쉽지 않습니다.
게으름 탓도 있구요..^^
1~2일 상간으로 제법 쓸만한 사진들이 모이면 올리고
모이지 않을 경우는 그냥 컴에 하드용량만 까먹고 잠자는 경우가 더 많습니다.
카톡날짜 확인 하시고 오해 없으셨으면 합니다.
위 사진은 어제 조황입니다.
제가 직접 찍은 사진이구요..
이 사진도 주의보중에 무슨 감성돔이냐 하시거나
혹시 위험한 낚시를 조장하는 꼴이 될까봐
그냥 묵히고 말려다가 캪쳐 올리는 김에 같이 올립니다..
암튼 오늘 내일은 출조 자제 하시는 것이 좋을듯 합니다..^^
흥해25시낚시마트 054-262-9915
포항시 북구 흥해읍 마산리 36-1 (7번국도 영덕방향, 마산4거리 통과후 150m 우측 대로변








