학꽁치.씨알좋은 벵에돔
① 출 조 일 :
② 출 조 지 :
③ 출조 인원 :
④ 물 때 :
⑤ 바다 상황 :
⑥ 조황 요약 :
안녕하세요
감포낚시 이상언입니다
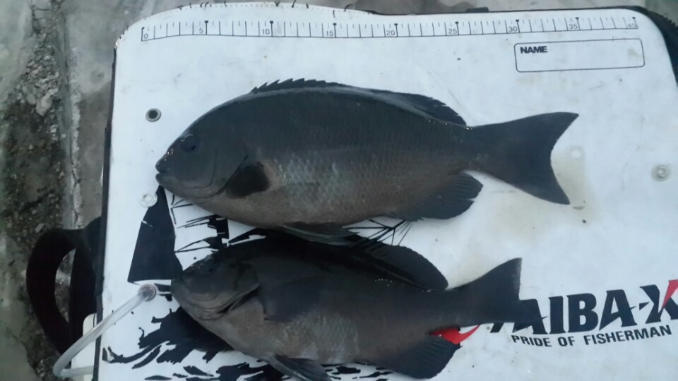
요즘 감포권 어종입니다
학꽁치는바글바글하며 오전조황이좋이며
벵에돔 조사님 깊은수심층공략 덩치급 벵에돔 낱마리
얼굴 볼수있습니다
감성돔조황은 조금 주춤한 상황이며 잔씨알급이 확인되고있습니다
이상 감포권 어종보고였습니다
씨스타호 선상낚시
@ 초보자.가족.단체.야유회 환영,낚시대 대여 합사라인.
@선상낚시 전용선 5.25톤 부력통 롤링다이 선수고래코 배흔들림 최소
@어군탐지기.지피에스.레이다
@커피.220v 발전기
$$$$$$$$ 선상낚시 대상어종및 출항시간 $$$$$$$$
대상어종:고등어.잡어:30.000원(미끼.채비별도)
선상농어루어,무늬오징어 에깅. 학꽁치(예약출조) 전문출조
선명:감포 씨스타호 낚시배 전용몰드 승선인원12명(선장포함) 5.25톤
입금계좌: 수협 이상언 630-62-057034
★출항시간은:오전7시오후1시 2회출항(시간 조절가능)
★낚시점도착시간은 출항시간 30분 전에 도착 하셔야 됨니다
$$$$$$$$$ 출조예약문의 $$$$$$$$$
선장 : 010~3523~1897
감포낚시 :054~748~1110
네비게이션주소: 경북 경주시 감포읍 감포리 628-2번지(감포낚시)감포k마트.감포현대카옆
② 출 조 지 :
③ 출조 인원 :
④ 물 때 :
⑤ 바다 상황 :
⑥ 조황 요약 :
안녕하세요
감포낚시 이상언입니다
요즘 감포권 어종입니다
학꽁치는바글바글하며 오전조황이좋이며
벵에돔 조사님 깊은수심층공략 덩치급 벵에돔 낱마리
얼굴 볼수있습니다
감성돔조황은 조금 주춤한 상황이며 잔씨알급이 확인되고있습니다
이상 감포권 어종보고였습니다
씨스타호 선상낚시
@ 초보자.가족.단체.야유회 환영,낚시대 대여 합사라인.
@선상낚시 전용선 5.25톤 부력통 롤링다이 선수고래코 배흔들림 최소
@어군탐지기.지피에스.레이다
@커피.220v 발전기
$$$$$$$$ 선상낚시 대상어종및 출항시간 $$$$$$$$
대상어종:고등어.잡어:30.000원(미끼.채비별도)
선상농어루어,무늬오징어 에깅. 학꽁치(예약출조) 전문출조
선명:감포 씨스타호 낚시배 전용몰드 승선인원12명(선장포함) 5.25톤
입금계좌: 수협 이상언 630-62-057034
★출항시간은:오전7시오후1시 2회출항(시간 조절가능)
★낚시점도착시간은 출항시간 30분 전에 도착 하셔야 됨니다
$$$$$$$$$ 출조예약문의 $$$$$$$$$
선장 : 010~3523~1897
감포낚시 :054~748~1110
네비게이션주소: 경북 경주시 감포읍 감포리 628-2번지(감포낚시)감포k마트.감포현대카옆









