감포바다 기상 및 조황정보(감성돔,벵에돔)



안녕하세요. 감포 동경주낚시입니다.
2019년 4월 8일 월요일 감포 바다날씨입니다.
아침바다는 물색이 보통이고 너울파도가 약하게 있으며 바람이 없는 아침입니다,오늘은 대체로
맑은 날씨에 오전에 남서풍이 우후에 북동풍이 약하게 불고 파도는 조금 있겠습니다.
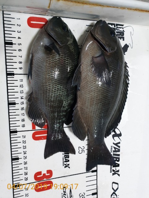
감포권에 감성돔이 조금 잔씨알이 조금씩 보이기 시작하네요, 이번주에는 봄감성돔이 마리수도
조금 나아질것으로 보입니다,볕이 잘드는 홈통 지역에는 낮부터 감성돔 입질이 있을것으로 보이
며 저부력채비가 어신 파악하는데 조금 유리해 보입니다.
벵에돔은 바람 영향으로 피고 가라앉기를 반복합니다, 표층까지 필때도 있고 중하층까지 가라앉
기도합니다.큰씨알 움직임이 제법 있으며 잡어는 영향이 미미한편입니다. 미끼는 홍개비가 무난
하고 크릴에도 반응이 있습니다.
주말에 원투 도다리는 조황이 썩 좋지 못했으며 학꽁치는 게릴라성 조황이나 오사리급이 보이니
끝물이 다돼가는것으로 보입니다.
오늘도 안전하고 즐거운 낚시가 되길 바랍니다.
물 때: 11 물( 만조 09:02 18:34 간조 02:23 13:16 )
풍 향/파 고: 오전 남-남서풍 2~8m(0.5~1.0m), 오후 북-북동풍 4~11m(1.0~2.0m)
표 층 수 온: 13.1도
네이버 밴드운영:https://band.us/@dkj7719922
2019년 4월 8일 월요일 감포 바다날씨입니다.
아침바다는 물색이 보통이고 너울파도가 약하게 있으며 바람이 없는 아침입니다,오늘은 대체로
맑은 날씨에 오전에 남서풍이 우후에 북동풍이 약하게 불고 파도는 조금 있겠습니다.
감포권에 감성돔이 조금 잔씨알이 조금씩 보이기 시작하네요, 이번주에는 봄감성돔이 마리수도
조금 나아질것으로 보입니다,볕이 잘드는 홈통 지역에는 낮부터 감성돔 입질이 있을것으로 보이
며 저부력채비가 어신 파악하는데 조금 유리해 보입니다.
벵에돔은 바람 영향으로 피고 가라앉기를 반복합니다, 표층까지 필때도 있고 중하층까지 가라앉
기도합니다.큰씨알 움직임이 제법 있으며 잡어는 영향이 미미한편입니다. 미끼는 홍개비가 무난
하고 크릴에도 반응이 있습니다.
주말에 원투 도다리는 조황이 썩 좋지 못했으며 학꽁치는 게릴라성 조황이나 오사리급이 보이니
끝물이 다돼가는것으로 보입니다.
오늘도 안전하고 즐거운 낚시가 되길 바랍니다.
물 때: 11 물( 만조 09:02 18:34 간조 02:23 13:16 )
풍 향/파 고: 오전 남-남서풍 2~8m(0.5~1.0m), 오후 북-북동풍 4~11m(1.0~2.0m)
표 층 수 온: 13.1도
네이버 밴드운영:https://band.us/@dkj7719922
| 주 소: 경주시 감포읍 감포리 595-1번지 (감포 복지회관 삼거리에서 포항방향 700M 우측편) (도로명 주소:경주시 감포읍 동해안로 2228 ) 핸드폰: 010-6510-9991 매 장: 054)771-9922 |






