영덕권 씨알 좋은 벵에돔 조황 소식입니다.


안녕하세요,
FTV 바다 통신원, 피쉬&피플 바다 통신원, 피싱태그 특파원 김진대입니다.
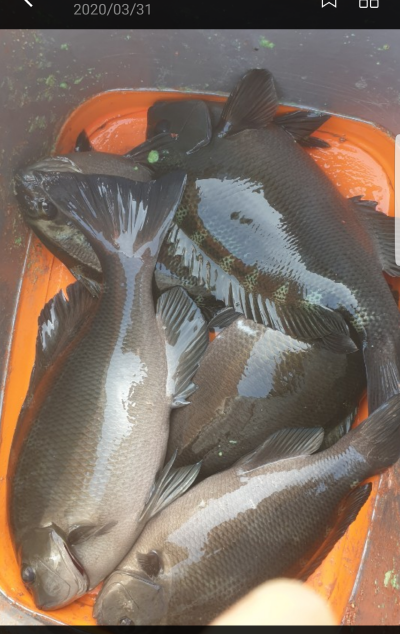
어제의 벵에돔 조황입니다.
파도가 잔잔하여 몇몇 회원분들께서 벵에돔 출조를..
예년에 비해 빨라진..아니 이제는 시즌이 따로 없을정도로 년중 벵에돔 낚시를 즐기고 있네요.
수온이 13도 수온을 넘어가니 벵에돔이 부상하기 시작하네요.
올해 벵에돔에 대한 기대가 ㅎㅎㅎ
씨알도 준수하며 점차 마릿수 조황으로 이어지지 않을까 하는 기대를 가져봅니다.
오늘의 바다는요.
파도는 현재 0.5미터 정도로 잔잔하며 물색은 맑고 바람은 현재 고요하나 오후에 북동풍이 제법 불듯..
수온은 13.3도로 출발합니다.
######## 국산 최고 품질의 특A급 크릴을 동해안 최저 가격으로 준비했으니 많은 이용 바랍니다.########
@@@@@최근 상주~영덕간 고속도로 개통으로 많은 조사님들께서 영덕을 찾아주시고계시네요.
청정지역 영덕바다의 매력에 푹 빠질수 있도록 수십년간의 경험을 살려 모든 조사님들이
손맛 보실수 있도록 최선을 다하겠습니다.(영덕 IC에서 8분거리에 위치하고 있습니다.) @@@@@
****** 본점에서는 그날의 파도, 물색, 바람의 방향과 세기에 따라 20여년간의 경험으로
확률 높은 포인트를 추천해 드리고 있습니다.******
**** 벵에돔 낚시의 패턴 변화로 "벵에짱"(파란소세지)도 미세하나마 내용물이 예년과 조금 다르게 제작되고
있느니 참고하시기 바랍니다. ****
####### 벵에돔 저승사자 ***일명 파란소세지*** @ 벵에짱 @ 준비되어 있습니다. #######
@@@@@ 홍개비, 혼무시, 꼬막미끼 준비되어 있습니다. @@@@@
♡♡♡ ♡♡ 해진 빵가루. 해진 감성돔 파우더 전문 취급점입니다.♡♡♡♡♡
**** 나만의 수제찌 전문 취급점입니다. ****
조황문의는......제발 휴대폰으로 문의 주세요
(유선은 바쁜 관계로 받기 힘듭니다.)
010-3528-4581
네이버 밴드운영 : https://band.us/@21cfishing ( 영덕 21세기 바다낚시 )
네비주소 : 경북 영덕군 남정면 동해대로 4078 번지 (장사~강구 중간지점, 7번 국도 도로변)
FTV 바다 통신원, 피쉬&피플 바다 통신원, 피싱태그 특파원 김진대입니다.
어제의 벵에돔 조황입니다.
파도가 잔잔하여 몇몇 회원분들께서 벵에돔 출조를..
예년에 비해 빨라진..아니 이제는 시즌이 따로 없을정도로 년중 벵에돔 낚시를 즐기고 있네요.
수온이 13도 수온을 넘어가니 벵에돔이 부상하기 시작하네요.
올해 벵에돔에 대한 기대가 ㅎㅎㅎ
씨알도 준수하며 점차 마릿수 조황으로 이어지지 않을까 하는 기대를 가져봅니다.
오늘의 바다는요.
파도는 현재 0.5미터 정도로 잔잔하며 물색은 맑고 바람은 현재 고요하나 오후에 북동풍이 제법 불듯..
수온은 13.3도로 출발합니다.
######## 국산 최고 품질의 특A급 크릴을 동해안 최저 가격으로 준비했으니 많은 이용 바랍니다.########
@@@@@최근 상주~영덕간 고속도로 개통으로 많은 조사님들께서 영덕을 찾아주시고계시네요.
청정지역 영덕바다의 매력에 푹 빠질수 있도록 수십년간의 경험을 살려 모든 조사님들이
손맛 보실수 있도록 최선을 다하겠습니다.(영덕 IC에서 8분거리에 위치하고 있습니다.) @@@@@
****** 본점에서는 그날의 파도, 물색, 바람의 방향과 세기에 따라 20여년간의 경험으로
확률 높은 포인트를 추천해 드리고 있습니다.******
**** 벵에돔 낚시의 패턴 변화로 "벵에짱"(파란소세지)도 미세하나마 내용물이 예년과 조금 다르게 제작되고
있느니 참고하시기 바랍니다. ****
####### 벵에돔 저승사자 ***일명 파란소세지*** @ 벵에짱 @ 준비되어 있습니다. #######
@@@@@ 홍개비, 혼무시, 꼬막미끼 준비되어 있습니다. @@@@@
♡♡♡ ♡♡ 해진 빵가루. 해진 감성돔 파우더 전문 취급점입니다.♡♡♡♡♡
**** 나만의 수제찌 전문 취급점입니다. ****
조황문의는......제발 휴대폰으로 문의 주세요
(유선은 바쁜 관계로 받기 힘듭니다.)
010-3528-4581
네이버 밴드운영 : https://band.us/@21cfishing ( 영덕 21세기 바다낚시 )
네비주소 : 경북 영덕군 남정면 동해대로 4078 번지 (장사~강구 중간지점, 7번 국도 도로변)






